Back to Listing
Whitetail Properties logo
217.285.9000 whitetailproperties.com
Oconto10Dombrowski closeaerial
Oconto Co, Wisconsin
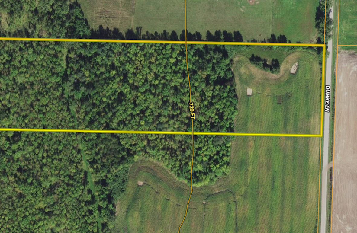
± 10 acres
You located a great opportunity to build your home or cabin on a flat piece of land with almost 2 acres of open ground, now being farmed, and the remainder of the property a mature forest perfect for hunting. The deer and turkeys coming to the field every day are a joy to see, certainly tempting for any hunter. If you are like most people who have looked for a long time for the right piece of land to build, you found it.
  • 2 acres of open tillable now being farmed, this year soybeans
  • 8 acres of beautiful woods with heavy cover
  • The property taxes are extremely low at just $90 per year+/-
  • Dumke Ln is a dead-end asphalt road just perfect for building a home or cabin
  • Farm fields are found in all directions, this land holds a quiet spot for deer to accumulate
Terry Patrick
Terry Patrick
Real Estate Salesperson, Land Specialist / Licensed in MI, WI
Cell
715.965.1901
Corporate Office
217.285.9000
terry.patrick@whitetailproperties.com
Equal Housing Lender
WHITETAIL PROPERTIES REAL ESTATE, LLC DBA WHITETAIL PROPERTIES, DBA WHITETAIL PROPERTIES REAL ESTATE. IN THE STATES OF NEBRASKA & NORTH DAKOTA DBA WHITETAIL TROPHY PROPERTIES REAL ESTATE LLC. LICENSED IN CO, MN, ND, SD, TN & WI - JEFFREY EVANS, BROKER. LICENSED IN FL, KS & MO - JEFFERSON KIRK GILBERT, BROKER. LICENSED IN TX & NM - JOEY BELLINGTON, BROKER. LICENSED IN IN - Dan Bates, BROKER. LICENSED IN AL, GA, LA, & MS - SYBIL STEWART, BROKER. LICENSED IN TN - TIM BURNETTE, BROKER. LICENSED IN TN & MS- JOSH MONK, BROKER. LICENSED IN AR - ANTHONY CHRISCO, BROKER. LICENSED IN NC, SC, VA - CHIP CAMP, BROKER. LICENSED IN IA, NC - RICHARD F. BAUGH, BROKER. LICENSED IN MI - EDMUND JOEL NOGASKI, BROKER. LICENSED IN IL, MD, WV - DEBBIE S. LAUX, BROKER. LICENSED IN ID, MT, OR, UT, WA, WY & NV - AARON MILLIKEN, BROKER. LICENSED IN NY - JOHN MYERS, REAL ESTATE BROKER. LICENSED IN OK - DEAN ANDERSON, BROKER. LICENSED IN KY - DEREK FISHER, BROKER. LICENSED IN OH - JEREMY SCHAEFER, PRINCIPAL BROKER. LICENSED IN NE & SD- JASON SCHENDT, BROKER. LICENSED IN PA- JACK BROWN, BROKER.
THE INFORMATION CONTAINED HEREIN IS DEEMED RELIABLE BUT IS NOT WARRANTED OR GUARANTEED BY THE BROKER OR SELLER. THE BROKER (WHITETAIL PROPERTIES) DOES NOT ASSUME LIABILITY FOR TYPOGRAPHICAL ERRORS, MISPRINTS, NOR FOR MISINFORMATION THAT MAY HAVE BEEN GIVEN US.
Oconto10Dombrowski faraerial 2 3 5 8 (13) 9
This document was generated on:
Back to Listing