Back to Listing
Whitetail Properties logo
217.285.9000 whitetailproperties.com
Aerial 1
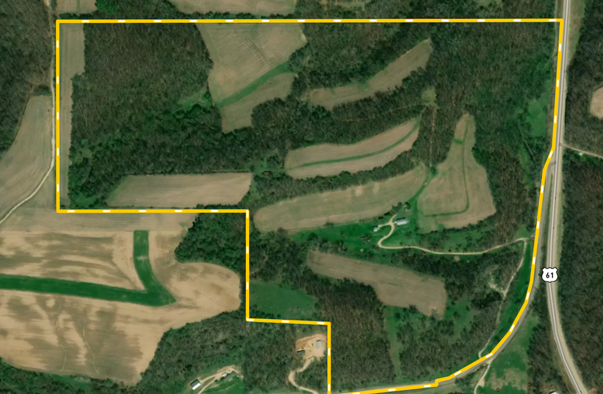
Grant Co, Wisconsin
± 155.25 acres
Exceptional deer hunting farm ready to be set up for your hunting paradise. There are 9 different fields scattered on the property adding up to 44 acres +/-. The opportunities are endless for how you set up these fields to maximize your hunts. Timber funnels help direct deer movement past your stands. There are multiple springs on the property and a small stream. There’s an older farmhouse that needs to work and barn on site with electric and a well.
  • Exception deer and turkey hunting farm
  • 9 different fields consisting of 44 acres +/- tillable
  • Hardwood timber ready for harvest
  • Excellent trail system through the property
  • Older farmhouse and barn on site
  • Electricity and well on site
  • Fences around the property for grazing cattle
  • Multiple springs on the property
  • 10 minutes from Boscobel, 1.5 hours from Madison, 2.5 hours from Milwaukee
Kyle Schultz
Kyle Schultz
Real Estate Salesperson, Land Specialist / Licensed in WI, Licensed Real Estate Broker, Land Specialist / Licensed in IL
Cell
608.406.4609
Corporate Office
217.285.9000
kyle.schultz@whitetailproperties.com
Equal Housing Lender
WHITETAIL PROPERTIES REAL ESTATE, LLC DBA WHITETAIL PROPERTIES, DBA WHITETAIL PROPERTIES REAL ESTATE. IN THE STATES OF NEBRASKA & NORTH DAKOTA DBA WHITETAIL TROPHY PROPERTIES REAL ESTATE LLC. LICENSED IN CO, MN, ND, SD, TN & WI - JEFFREY EVANS, BROKER. LICENSED IN FL, KS & MO - JEFFERSON KIRK GILBERT, BROKER. LICENSED IN TX & NM - JOEY BELLINGTON, BROKER. LICENSED IN IN - Dan Bates, BROKER. LICENSED IN AL, GA, LA, & MS - SYBIL STEWART, BROKER. LICENSED IN TN - TIM BURNETTE, BROKER. LICENSED IN TN & MS- JOSH MONK, BROKER. LICENSED IN AR - ANTHONY CHRISCO, BROKER. LICENSED IN NC, SC, VA - CHIP CAMP, BROKER. LICENSED IN IA, NC - RICHARD F. BAUGH, BROKER. LICENSED IN MI - EDMUND JOEL NOGASKI, BROKER. LICENSED IN IL, MD, WV - DEBBIE S. LAUX, BROKER. LICENSED IN ID, MT, OR, UT, WA, WY & NV - AARON MILLIKEN, BROKER. LICENSED IN NY - JOHN MYERS, REAL ESTATE BROKER. LICENSED IN OK - DEAN ANDERSON, BROKER. LICENSED IN KY - DEREK FISHER, BROKER. LICENSED IN OH - JEREMY SCHAEFER, PRINCIPAL BROKER. LICENSED IN NE & SD- JASON SCHENDT, BROKER. LICENSED IN PA- JACK BROWN, BROKER.
THE INFORMATION CONTAINED HEREIN IS DEEMED RELIABLE BUT IS NOT WARRANTED OR GUARANTEED BY THE BROKER OR SELLER. THE BROKER (WHITETAIL PROPERTIES) DOES NOT ASSUME LIABILITY FOR TYPOGRAPHICAL ERRORS, MISPRINTS, NOR FOR MISINFORMATION THAT MAY HAVE BEEN GIVEN US.
Aerial 4 Grant 155.25 - 1 of 57 Grant 155.25 - 2 of 57 Grant 155.25 - 3 of 57 Grant 155.25 - 4 of 57 Grant 155.25 - 5 of 57
This document was generated on:
Back to Listing