Back to Listing
Whitetail Properties logo
217.285.9000 whitetailproperties.com
Screenshot 2024-10-18 at 1.22.37 PM
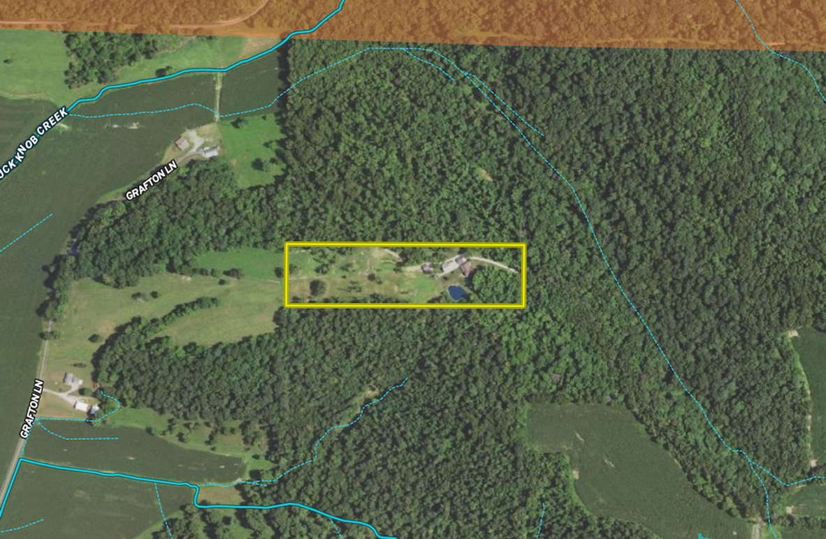
Martin Co, Indiana
± 10 acres $699,900
This secluded 3-bedroom timber-frame homestead in Center Township, Martin County, IN, offers nearly 4,500 sq ft of living space. Built in 2006, it sits on a ridge overlooking Boggs Creek bottoms and Crane Naval Support Area, offering unmatched privacy. The property features a chef’s kitchen, a master suite with a marble shower and clawfoot tub, a walk-out basement, a stocked pond, a 2-car garage, a horse barn with fenced paddocks, and more—perfect for those seeking solitude and homestead living
  • Secluded 3-bedroom timber-frame homestead with nearly 4,500 sq ft of living space
  • Open-concept great room with timber beams, a flagstone fireplace, and chef’s kitchen
  • Basement with outdoor access and a theater room, rec area, and an accessible patio overlooking a stocked pond
  • Equestrian facilities include a 24x32 horse barn, 3 fenced paddocks, and ample storage space
Zach Holt
Zach Holt
Real Estate Broker, Land Specialist / Licensed in IN
Cell
812.887.2954
Corporate Office
217.285.9000
zach.holt@whitetailproperties.com
Kris Christianson
Kris Christianson
Real Estate Broker, Land Specialist / Licensed in IN
Cell
812.896.5814
Corporate Office
217.285.9000
kris.christianson@whitetailproperties.com
Equal Housing Lender
WHITETAIL PROPERTIES REAL ESTATE, LLC DBA WHITETAIL PROPERTIES, DBA WHITETAIL PROPERTIES REAL ESTATE. IN THE STATES OF NEBRASKA & NORTH DAKOTA DBA WHITETAIL TROPHY PROPERTIES REAL ESTATE LLC. LICENSED IN CO, MN, ND, SD, TN & WI - JEFFREY EVANS, BROKER. LICENSED IN FL, KS & MO - JEFFERSON KIRK GILBERT, BROKER. LICENSED IN TX & NM - JOEY BELLINGTON, BROKER. LICENSED IN IN - Dan Bates, BROKER. LICENSED IN AL, GA, LA, & MS - SYBIL STEWART, BROKER. LICENSED IN TN - TIM BURNETTE, BROKER. LICENSED IN TN & MS- JOSH MONK, BROKER. LICENSED IN AR - ANTHONY CHRISCO, BROKER. LICENSED IN NC, SC, VA - CHIP CAMP, BROKER. LICENSED IN IA, NC - RICHARD F. BAUGH, BROKER. LICENSED IN MI - EDMUND JOEL NOGASKI, BROKER. LICENSED IN IL, MD, WV - DEBBIE S. LAUX, BROKER. LICENSED IN ID, MT, OR, UT, WA, WY & NV - AARON MILLIKEN, BROKER. LICENSED IN NY - JOHN MYERS, REAL ESTATE BROKER. LICENSED IN OK - DEAN ANDERSON, BROKER. LICENSED IN KY - DEREK FISHER, BROKER. LICENSED IN OH - JEREMY SCHAEFER, PRINCIPAL BROKER. LICENSED IN NE & SD- JASON SCHENDT, BROKER. LICENSED IN PA- JACK BROWN, BROKER.
THE INFORMATION CONTAINED HEREIN IS DEEMED RELIABLE BUT IS NOT WARRANTED OR GUARANTEED BY THE BROKER OR SELLER. THE BROKER (WHITETAIL PROPERTIES) DOES NOT ASSUME LIABILITY FOR TYPOGRAPHICAL ERRORS, MISPRINTS, NOR FOR MISINFORMATION THAT MAY HAVE BEEN GIVEN US.
Screenshot 2024-10-18 at 1.23.50 PM 1 2 3 4 5
This document was generated on:
Back to Listing