Back to Listing
Whitetail Properties logo
217.285.9000 whitetailproperties.com
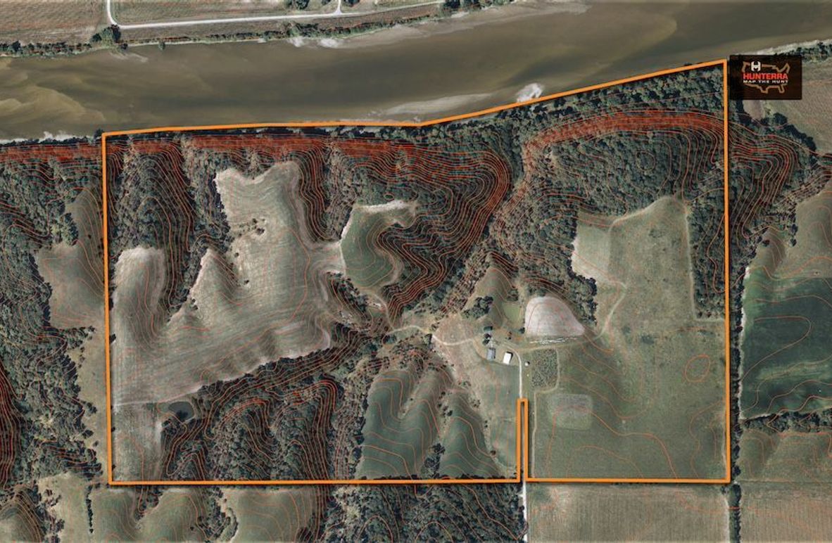
Aerial_Map
Van Buren Co, Iowa
± 208 acres
For anyone who’s dreamed of owning a farm with a cabin in the middle of nowhere, this is as close to perfect as it gets. It’s been set up by renowned whitetail couple, Lee and Tiffany Lakosky.
  • 208 acres overlooking the Des Moines River in Van Buren County
  • Private end-of-the-road location on King Avenue
  • Built and managed by Lee and Tiffany Lakosky
  • 1,860 squre foot 3BR/2BA ranch home with west-facing patio views
  • Three metal-wrapped outbuildings plus skinning shed with hoist and freezer
  • Stocked pond and fruit-bearing apple trees near the home
  • 50/50 mix of timber and open ground for optimal habitat and income
  • 45 acres of soybeans, 5 acres of clover and fall blends planted for 2025
  • Excellent stand access for north and south winds
  • Trophy neighborhood with proven whitetail history
Ben Harshyne
Ben Harshyne
Real Estate Broker Associate, Land Specialist, IA Team Leader / Licensed in IA
Cell
319.853.1162
Corporate Office
217.285.9000
ben.harshyne@whitetailproperties.com
Equal Housing Lender
WHITETAIL PROPERTIES REAL ESTATE, LLC DBA WHITETAIL PROPERTIES, DBA WHITETAIL PROPERTIES REAL ESTATE. IN THE STATES OF NEBRASKA & NORTH DAKOTA DBA WHITETAIL TROPHY PROPERTIES REAL ESTATE LLC. LICENSED IN CO, MN, ND, SD, TN & WI - JEFFREY EVANS, BROKER. LICENSED IN FL, KS & MO - JEFFERSON KIRK GILBERT, BROKER. LICENSED IN TX & NM - JOEY BELLINGTON, BROKER. LICENSED IN IN - Dan Bates, BROKER. LICENSED IN AL, GA, LA, & MS - SYBIL STEWART, BROKER. LICENSED IN TN - TIM BURNETTE, BROKER. LICENSED IN TN & MS- JOSH MONK, BROKER. LICENSED IN AR - ANTHONY CHRISCO, BROKER. LICENSED IN NC, SC, VA - CHIP CAMP, BROKER. LICENSED IN IA, NC - RICHARD F. BAUGH, BROKER. LICENSED IN MI - EDMUND JOEL NOGASKI, BROKER. LICENSED IN IL, MD, WV - DEBBIE S. LAUX, BROKER. LICENSED IN ID, MT, OR, UT, WA, WY & NV - AARON MILLIKEN, BROKER. LICENSED IN NY - JOHN MYERS, REAL ESTATE BROKER. LICENSED IN OK - DEAN ANDERSON, BROKER. LICENSED IN KY - DEREK FISHER, BROKER. LICENSED IN OH - JEREMY SCHAEFER, PRINCIPAL BROKER. LICENSED IN NE & SD- JASON SCHENDT, BROKER. LICENSED IN PA- JACK BROWN, BROKER.
THE INFORMATION CONTAINED HEREIN IS DEEMED RELIABLE BUT IS NOT WARRANTED OR GUARANTEED BY THE BROKER OR SELLER. THE BROKER (WHITETAIL PROPERTIES) DOES NOT ASSUME LIABILITY FOR TYPOGRAPHICAL ERRORS, MISPRINTS, NOR FOR MISINFORMATION THAT MAY HAVE BEEN GIVEN US.
1 2 3 4 5 6
This document was generated on:
Back to Listing