Back to Listing
Whitetail Properties logo
217.285.9000 whitetailproperties.com
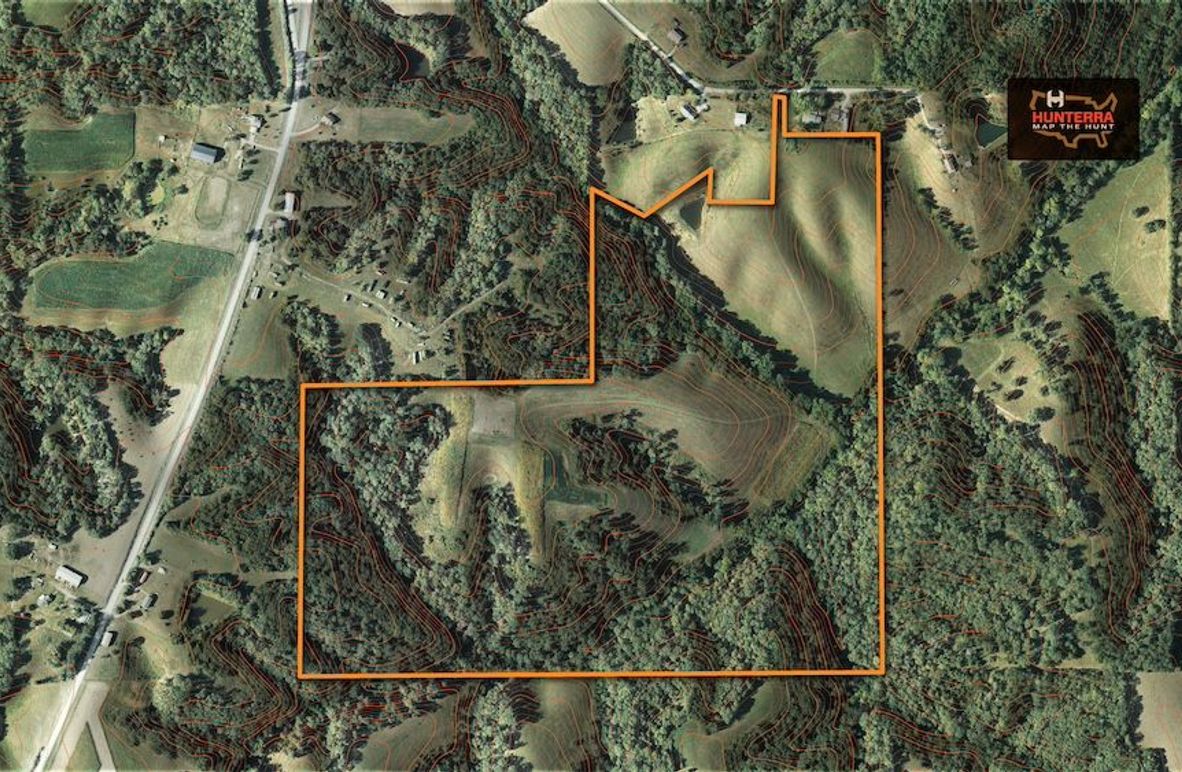
Wapello 107 Map - _0001_aerial
Wapello Co, Iowa
± 107 acres
Over the last eight years, the owner of this farm has taken bucks scoring 186, 193, and 195. This is a proven property that’s been dialed in by a high-level deer manager, and if you’ve been waiting for a no-brainer opportunity in this competitive market, consider acting decisively.
  • Top shelf hunting farm that is a manageable size
  • Proven history with bucks scoring 186, 193, and 195
  • Same owner over the last 8 years
  • Located in a top-end neighborhood for mature bucks
  • Two strategic food plot locations simplify access and hunting
  • No road frontage—completely hidden from public view
  • Secluded access on a dead-end road
  • Killer rut stand in a textbook pinch point on the south end
  • Killer rut stand in a textbook pinch point on the south end
  • Strong late-season setup with history of cold-weather success
  • Cabin site with driveway access and beautiful southern views
  • Stocked pond included, plus great turkey hunting in the area
  • Between Eldon, Ottumwa, and Floris - next to Miller Chapel
  • 1.5 hour drive from Des Moines and Iowa City
Ben Harshyne
Ben Harshyne
Real Estate Salesperson, Land Specialist, IA Team Leader / Licensed in IA
Cell
319.853.1162
Corporate Office
217.285.9000
ben.harshyne@whitetailproperties.com
Rich Baugh
Rich Baugh
Real Estate Broker Officer, Land Specialist / Licensed in IA, Broker / Licensed in NC, Broker Salesperson / Licensed in MO
Cell
319.750.9273
Corporate Office
217.285.9000
rich.baugh@whitetailproperties.com
Equal Housing Lender
WHITETAIL PROPERTIES REAL ESTATE, LLC DBA WHITETAIL PROPERTIES, DBA WHITETAIL PROPERTIES REAL ESTATE. IN THE STATES OF NEBRASKA & NORTH DAKOTA DBA WHITETAIL TROPHY PROPERTIES REAL ESTATE LLC. LICENSED IN CO, MN, ND, SD, TN & WI - JEFFREY EVANS, BROKER. LICENSED IN FL, KS & MO - JEFFERSON KIRK GILBERT, BROKER. LICENSED IN TX & NM - JOEY BELLINGTON, BROKER. LICENSED IN IN - Dan Bates, BROKER. LICENSED IN AL, GA, LA, & MS - SYBIL STEWART, BROKER. LICENSED IN TN - TIM BURNETTE, BROKER. LICENSED IN TN & MS- JOSH MONK, BROKER. LICENSED IN AR - ANTHONY CHRISCO, BROKER. LICENSED IN NC, SC, VA - CHIP CAMP, BROKER. LICENSED IN IA, NC - RICHARD F. BAUGH, BROKER. LICENSED IN MI - EDMUND JOEL NOGASKI, BROKER. LICENSED IN IL, MD, WV - DEBBIE S. LAUX, BROKER. LICENSED IN ID, MT, OR, UT, WA, WY & NV - AARON MILLIKEN, BROKER. LICENSED IN NY - JOHN MYERS, REAL ESTATE BROKER. LICENSED IN OK - DEAN ANDERSON, BROKER. LICENSED IN KY - DEREK FISHER, BROKER. LICENSED IN OH - JEREMY SCHAEFER, PRINCIPAL BROKER. LICENSED IN NE & SD- JASON SCHENDT, BROKER. LICENSED IN PA- JACK BROWN, BROKER.
THE INFORMATION CONTAINED HEREIN IS DEEMED RELIABLE BUT IS NOT WARRANTED OR GUARANTEED BY THE BROKER OR SELLER. THE BROKER (WHITETAIL PROPERTIES) DOES NOT ASSUME LIABILITY FOR TYPOGRAPHICAL ERRORS, MISPRINTS, NOR FOR MISINFORMATION THAT MAY HAVE BEEN GIVEN US.
Wapello 107 Map - _0005_zoom 1 1 2 3 4 5
This document was generated on:
Back to Listing