Back to Listing
Whitetail Properties logo
217.285.9000 whitetailproperties.com
Close Up
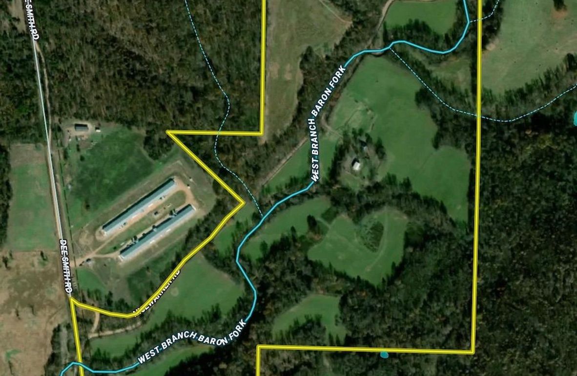
Washington Co, Arkansas
± 107.94 acres $899,900
Welcome to this breathtaking Ozark farm nestled in a serene and picturesque setting, less than 50 minutes from Fayetteville. This exceptional cattle farm offers endless potential, making it a once-in-a-lifetime opportunity for buyers seeking rural real estate with investment appeal. Spanning several acres, this property is fully fenced and cross-fenced, providing an ideal environment for cattle operations and other agricultural pursuits.
  • Located under 50 minutes from Fayetteville
  • Great cattle farm with endless potential
  • Property is fenced and cross fenced
  • Numerous live springs throughout
  • Ideal combination of open pasture and hardwood timber
  • Several buildable sites with breathtaking panoramic views
  • Old farmhouse that could be renovated
  • Spring box and water well located on site
  • Large shop for all your workshop and storage needs
  • Ideal whitetail habitat
  • Several food plot and stand locations
  • Once in a lifetime opportunity
Tony Chrisco
Tony Chrisco
Principal Broker, Land Specialist, AR Team Leader / Licensed in AR, Salesperson, Land Specialist / Licensed in MO
Arkansas Cell
479.866.2622
Corporate Office
217.285.9000
Missouri Cell
417.860.0259
tony.chrisco@whitetailproperties.com
Chris Files
Chris Files
Salesperson, Land Specialist / Licensed in AR, MO
Cell
479.877.5260
Corporate Office
217.285.9000
chris.files@whitetailproperties.com
Equal Housing Lender
WHITETAIL PROPERTIES REAL ESTATE, LLC DBA WHITETAIL PROPERTIES, DBA WHITETAIL PROPERTIES REAL ESTATE. IN THE STATES OF NEBRASKA & NORTH DAKOTA DBA WHITETAIL TROPHY PROPERTIES REAL ESTATE LLC. LICENSED IN CO, MN, ND, SD, TN & WI - JEFFREY EVANS, BROKER. LICENSED IN FL, KS & MO - JEFFERSON KIRK GILBERT, BROKER. LICENSED IN TX & NM - JOEY BELLINGTON, BROKER. LICENSED IN IN - Dan Bates, BROKER. LICENSED IN AL, GA, LA, & MS - SYBIL STEWART, BROKER. LICENSED IN TN - TIM BURNETTE, BROKER. LICENSED IN TN & MS- JOSH MONK, BROKER. LICENSED IN AR - ANTHONY CHRISCO, BROKER. LICENSED IN NC, SC, VA - CHIP CAMP, BROKER. LICENSED IN IA, NC - RICHARD F. BAUGH, BROKER. LICENSED IN MI - EDMUND JOEL NOGASKI, BROKER. LICENSED IN IL, MD, WV - DEBBIE S. LAUX, BROKER. LICENSED IN ID, MT, OR, UT, WA, WY & NV - AARON MILLIKEN, BROKER. LICENSED IN NY - JOHN MYERS, REAL ESTATE BROKER. LICENSED IN OK - DEAN ANDERSON, BROKER. LICENSED IN KY - DEREK FISHER, BROKER. LICENSED IN OH - JEREMY SCHAEFER, PRINCIPAL BROKER. LICENSED IN NE & SD- JASON SCHENDT, BROKER. LICENSED IN PA- JACK BROWN, BROKER.
THE INFORMATION CONTAINED HEREIN IS DEEMED RELIABLE BUT IS NOT WARRANTED OR GUARANTEED BY THE BROKER OR SELLER. THE BROKER (WHITETAIL PROPERTIES) DOES NOT ASSUME LIABILITY FOR TYPOGRAPHICAL ERRORS, MISPRINTS, NOR FOR MISINFORMATION THAT MAY HAVE BEEN GIVEN US.
Wide View 1 2 3 4 5
This document was generated on:
Back to Listing