Back to Listing
Whitetail Properties logo
217.285.9000 whitetailproperties.com
Screenshot 2025-10-29 at 3.05.06 PM
Davis Co, Iowa
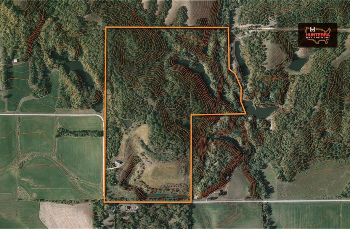
± 100 acres $799,000
This 100-acre turnkey property in northern Davis County offers the full Southern Iowa outdoor experience — excellent hunting, great fishing, and comfortable accommodations, all ready to enjoy.
  • 100± acres in northern Davis County with a mix of timber, food plots, and ponds
  • Turnkey setup with 1,200 sq. ft. finished cabin and attached shop for equipment storage
  • Cabin includes 2 bedrooms, 1 bath, laundry, pantry, and open-concept kitchen/living area
  • Excellent hunting with multiple established food plots and blinds already in place
  • Proven recent history of Boone and Crockett–class bucks harvested on the property
  • Seven ponds across the property and several stocked with bass, crappie, bluegill, walleye, and perch
  • Thick timber and quality bedding cover, creating outstanding whitetail habitat
  • Well-maintained trail system offering easy access to all food plots, ponds, stand locations and areas of the timber
  • 3.5 miles northwest of Floris
  • 12 miles southeast of Ottumwa
  • 90 miles from Des Moines area
Harlan "Hersh" Smith
Harlan "Hersh" Smith
Real Estate Salesperson, Land Specialist / Licensed in IA
Cell
641.931.6884
Corporate Office
217.285.9000
harlan.smith@whitetailproperties.com
Ben Harshyne
Ben Harshyne
Real Estate Salesperson, Land Specialist, IA Team Leader / Licensed in IA
Cell
319.853.1162
Corporate Office
217.285.9000
ben.harshyne@whitetailproperties.com
Equal Housing Lender
WHITETAIL PROPERTIES REAL ESTATE, LLC DBA WHITETAIL PROPERTIES, DBA WHITETAIL PROPERTIES REAL ESTATE. IN THE STATES OF NEBRASKA & NORTH DAKOTA DBA WHITETAIL TROPHY PROPERTIES REAL ESTATE LLC. LICENSED IN CO, MN, ND, SD, TN & WI - JEFFREY EVANS, BROKER. LICENSED IN FL, KS & MO - JEFFERSON KIRK GILBERT, BROKER. LICENSED IN TX & NM - JOEY BELLINGTON, BROKER. LICENSED IN IN - Dan Bates, BROKER. LICENSED IN AL, GA, LA, & MS - SYBIL STEWART, BROKER. LICENSED IN TN - TIM BURNETTE, BROKER. LICENSED IN TN & MS- JOSH MONK, BROKER. LICENSED IN AR - ANTHONY CHRISCO, BROKER. LICENSED IN NC, SC, VA - CHIP CAMP, BROKER. LICENSED IN IA, NC - RICHARD F. BAUGH, BROKER. LICENSED IN MI - EDMUND JOEL NOGASKI, BROKER. LICENSED IN IL, MD, WV - DEBBIE S. LAUX, BROKER. LICENSED IN ID, MT, OR, UT, WA, WY & NV - AARON MILLIKEN, BROKER. LICENSED IN NY - JOHN MYERS, REAL ESTATE BROKER. LICENSED IN OK - DEAN ANDERSON, BROKER. LICENSED IN KY - DEREK FISHER, BROKER. LICENSED IN OH - JEREMY SCHAEFER, PRINCIPAL BROKER. LICENSED IN NE & SD- JASON SCHENDT, BROKER. LICENSED IN PA- JACK BROWN, BROKER.
THE INFORMATION CONTAINED HEREIN IS DEEMED RELIABLE BUT IS NOT WARRANTED OR GUARANTEED BY THE BROKER OR SELLER. THE BROKER (WHITETAIL PROPERTIES) DOES NOT ASSUME LIABILITY FOR TYPOGRAPHICAL ERRORS, MISPRINTS, NOR FOR MISINFORMATION THAT MAY HAVE BEEN GIVEN US.
Screenshot 2025-10-29 at 3.05.19 PM 1 2 3 4 5
This document was generated on:
Back to Listing