Back to Listing
Whitetail Properties logo
217.285.9000 whitetailproperties.com
Page 3.36 Aerial 1
Page Co, Virginia
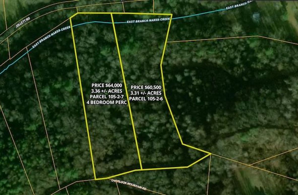
± 3.31 acres $60,500
Wooded tract in the Overlook Mountain community near Shenandoah featuring frontage along the east branch of Naked Creek. The property offers mountain views with selective clearing, varied topography, and deeded right-of-way access. Electricity is available along the lot for convenient connection. Located near Massanutten Resort, Harrisonburg, and Shenandoah National Park. Suitable for recreational property, vacation use, or rural residential use, subject to buyer verification.
  • Located east of Shenandoah in the Overlook Mountain community
  • A 50 ft-wide deeded right-of-way off of Overlook Mountain Road secures access
  • Electricity is already running on the lot making for an affordable connection
  • Frontage on the east brand of Naked Creek
  • Vacation rentals are allowed in this community
  • Zoned Residential
  • Adjoining 3.36 +/- acre lot is also available for purchase - see aerials for details
Chad Pangle
Chad Pangle
Associate Broker, Land Specialist / Licensed in VA
Cell
540.975.3487
Corporate Office
217.285.9000
chad.pangle@whitetailproperties.com
Equal Housing Lender
WHITETAIL PROPERTIES REAL ESTATE, LLC DBA WHITETAIL PROPERTIES, DBA WHITETAIL PROPERTIES REAL ESTATE. IN THE STATES OF NEBRASKA & NORTH DAKOTA DBA WHITETAIL TROPHY PROPERTIES REAL ESTATE LLC. LICENSED IN CO, MN, ND, SD, TN & WI - JEFFREY EVANS, BROKER. LICENSED IN FL, KS & MO - JEFFERSON KIRK GILBERT, BROKER. LICENSED IN TX & NM - JOEY BELLINGTON, BROKER. LICENSED IN IN - Dan Bates, BROKER. LICENSED IN AL, GA, LA, & MS - SYBIL STEWART, BROKER. LICENSED IN TN - TIM BURNETTE, BROKER. LICENSED IN TN & MS- JOSH MONK, BROKER. LICENSED IN AR - ANTHONY CHRISCO, BROKER. LICENSED IN NC, SC, VA - CHIP CAMP, BROKER. LICENSED IN IA, NC - RICHARD F. BAUGH, BROKER. LICENSED IN MI - EDMUND JOEL NOGASKI, BROKER. LICENSED IN IL, MD, WV - DEBBIE S. LAUX, BROKER. LICENSED IN ID, MT, OR, UT, WA, WY & NV - AARON MILLIKEN, BROKER. LICENSED IN NY - JOHN MYERS, REAL ESTATE BROKER. LICENSED IN OK - DEAN ANDERSON, BROKER. LICENSED IN KY - DEREK FISHER, BROKER. LICENSED IN OH - JEREMY SCHAEFER, PRINCIPAL BROKER. LICENSED IN NE & SD- JASON SCHENDT, BROKER. LICENSED IN PA- JACK BROWN, BROKER.
THE INFORMATION CONTAINED HEREIN IS DEEMED RELIABLE BUT IS NOT WARRANTED OR GUARANTEED BY THE BROKER OR SELLER. THE BROKER (WHITETAIL PROPERTIES) DOES NOT ASSUME LIABILITY FOR TYPOGRAPHICAL ERRORS, MISPRINTS, NOR FOR MISINFORMATION THAT MAY HAVE BEEN GIVEN US.
Page 3.36 Aerial 2 001 IMG_6863 IMG_6865 IMG_6867 IMG_6871
This document was generated on:
Back to Listing