Back to Listing
Whitetail Properties logo
217.285.9000 whitetailproperties.com
LAND ID infrared
Cattaraugus Co, New York
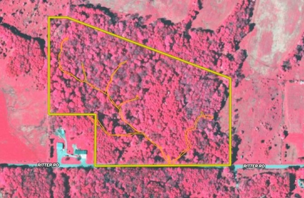
± 24 acres
This 24+/- acre parcel near Cattaraugus offers mature hardwoods, proven deer and turkey hunting, and a reconditioned ATV trail system with over a mile of accessible roads. Recently select-harvested, it features widened trails for food plots, a prime site for a cabin or camper, and 995 feet of road frontage for year-round access. Just minutes from local towns, this property is ready to enjoy for the 2025 hunting season.
  • Mature hardwood forest
  • Proven deer and turkey hunting success
  • Recently select-harvested
  • Maintained ATV-accessible trail system
  • Widened trails for food plot potential
  • 995 feet of road frontage
  • Prime site for cabin, camper, or home
  • Close to Ellicottville
  • Year-round accessibility
  • GMOs convey
  • Buyer agent must be present on all showings, do not send clients out without accompanying them
  • MLS #11554385
Paul Vaicunas
Paul Vaicunas
Real Estate Salesperson, Land Specialist, NY Team Leader / Licensed in NY
Cell
716.515.5388
Corporate Office
217.285.9000
paul.vaicunas@whitetailproperties.com
James Klossner
James Klossner
Associate Real Estate Broker, Land Specialist / Licensed in NY
Cell
585.333.4558
Corporate Office
217.285.9000
james.klossner@whitetailproperties.com
Equal Housing Lender
WHITETAIL PROPERTIES REAL ESTATE, LLC DBA WHITETAIL PROPERTIES, DBA WHITETAIL PROPERTIES REAL ESTATE. IN THE STATES OF NEBRASKA & NORTH DAKOTA DBA WHITETAIL TROPHY PROPERTIES REAL ESTATE LLC. LICENSED IN CO, MN, ND, SD, TN & WI - JEFFREY EVANS, BROKER. LICENSED IN FL, KS & MO - JEFFERSON KIRK GILBERT, BROKER. LICENSED IN TX & NM - JOEY BELLINGTON, BROKER. LICENSED IN IN - Dan Bates, BROKER. LICENSED IN AL, GA, LA, & MS - SYBIL STEWART, BROKER. LICENSED IN TN - TIM BURNETTE, BROKER. LICENSED IN TN & MS- JOSH MONK, BROKER. LICENSED IN AR - ANTHONY CHRISCO, BROKER. LICENSED IN NC, SC, VA - CHIP CAMP, BROKER. LICENSED IN IA, NC - RICHARD F. BAUGH, BROKER. LICENSED IN MI - EDMUND JOEL NOGASKI, BROKER. LICENSED IN IL, MD, WV - DEBBIE S. LAUX, BROKER. LICENSED IN ID, MT, OR, UT, WA, WY & NV - AARON MILLIKEN, BROKER. LICENSED IN NY - JOHN MYERS, REAL ESTATE BROKER. LICENSED IN OK - DEAN ANDERSON, BROKER. LICENSED IN KY - DEREK FISHER, BROKER. LICENSED IN OH - JEREMY SCHAEFER, PRINCIPAL BROKER. LICENSED IN NE & SD- JASON SCHENDT, BROKER. LICENSED IN PA- JACK BROWN, BROKER.
THE INFORMATION CONTAINED HEREIN IS DEEMED RELIABLE BUT IS NOT WARRANTED OR GUARANTEED BY THE BROKER OR SELLER. THE BROKER (WHITETAIL PROPERTIES) DOES NOT ASSUME LIABILITY FOR TYPOGRAPHICAL ERRORS, MISPRINTS, NOR FOR MISINFORMATION THAT MAY HAVE BEEN GIVEN US.
LAND ID Far 0 1 2 3 4
This document was generated on:
Back to Listing