Back to Listing
Whitetail Properties logo
217.285.9000 whitetailproperties.com
Land ID CLose
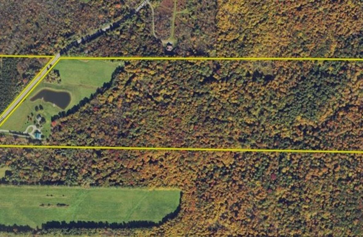
Chautauqua Co, New York
± 81 acres $779,900
This stunning country retreat blends craftsmanship, privacy, and natural beauty. A custom log home with 4 beds, 2 baths, and scenic decks sits alongside a heated workshop barn, wildflower meadows, and a tranquil pond with a beach. Behind the home, 67 acres of mature hardwoods offer timber value, trails, and abundant wildlife. Located minutes from Cassadaga Lake and area attractions, this unique property is perfect for a private residence, recreational escape, or long-term investment.
  • GMOs Convey
  • Exceptional 81+/- acre country retreat in Chautauqua County with privacy, craftsmanship and natural beauty
  • 1,137 feet +/- road frontage (east), 1,080 feet +/- road frontage to a private driveway leading to a circular drive
  • Stunning two-story 66'x44' barn features heated workshop, concrete floors, elevated stone pad and rock wall façade
  • Gambrel-style custom log home offers 1664 sq ft 4 bedrooms 2 full baths and warm rustic charm
  • East-facing deck overlooks wildflower meadows, pond and scenic countryside views
  • West-facing covered porch welcomes guests with handcrafted log staircase and beam construction
  • Tranquil pond includes private beach perfect for swimming, lounging and starry night skies
  • 67-acre mature hardwood forest with riverine habitat and $49K in timber value
  • Well and septic passed county
  • Survey in hand
  • SOLD AS IS
  • Buyer agent must be present on all showings; do not send clients out without accompanying them
  • MLS #11533690
Paul Vaicunas
Paul Vaicunas
Real Estate Salesperson, Land Specialist, NY Team Leader / Licensed in NY
Cell
716.515.5388
Corporate Office
217.285.9000
paul.vaicunas@whitetailproperties.com
James Klossner
James Klossner
Associate Real Estate Broker, Land Specialist / Licensed in NY
Cell
585.333.4558
Corporate Office
217.285.9000
james.klossner@whitetailproperties.com
Equal Housing Lender
WHITETAIL PROPERTIES REAL ESTATE, LLC DBA WHITETAIL PROPERTIES, DBA WHITETAIL PROPERTIES REAL ESTATE. IN THE STATES OF NEBRASKA & NORTH DAKOTA DBA WHITETAIL TROPHY PROPERTIES REAL ESTATE LLC. LICENSED IN CO, MN, ND, SD, TN & WI - JEFFREY EVANS, BROKER. LICENSED IN FL, KS & MO - JEFFERSON KIRK GILBERT, BROKER. LICENSED IN TX & NM - JOEY BELLINGTON, BROKER. LICENSED IN IN - Dan Bates, BROKER. LICENSED IN AL, GA, LA, & MS - SYBIL STEWART, BROKER. LICENSED IN TN - TIM BURNETTE, BROKER. LICENSED IN TN & MS- JOSH MONK, BROKER. LICENSED IN AR - ANTHONY CHRISCO, BROKER. LICENSED IN NC, SC, VA - CHIP CAMP, BROKER. LICENSED IN IA, NC - RICHARD F. BAUGH, BROKER. LICENSED IN MI - EDMUND JOEL NOGASKI, BROKER. LICENSED IN IL, MD, WV - DEBBIE S. LAUX, BROKER. LICENSED IN ID, MT, OR, UT, WA, WY & NV - AARON MILLIKEN, BROKER. LICENSED IN NY - JOHN MYERS, REAL ESTATE BROKER. LICENSED IN OK - DEAN ANDERSON, BROKER. LICENSED IN KY - DEREK FISHER, BROKER. LICENSED IN OH - JEREMY SCHAEFER, PRINCIPAL BROKER. LICENSED IN NE & SD- JASON SCHENDT, BROKER. LICENSED IN PA- JACK BROWN, BROKER.
THE INFORMATION CONTAINED HEREIN IS DEEMED RELIABLE BUT IS NOT WARRANTED OR GUARANTEED BY THE BROKER OR SELLER. THE BROKER (WHITETAIL PROPERTIES) DOES NOT ASSUME LIABILITY FOR TYPOGRAPHICAL ERRORS, MISPRINTS, NOR FOR MISINFORMATION THAT MAY HAVE BEEN GIVEN US.
Land ID far 1 1a 2 2a 3
This document was generated on:
Back to Listing