Back to Listing
Whitetail Properties logo
217.285.9000 whitetailproperties.com
A1
Clearwater Co, Minnesota
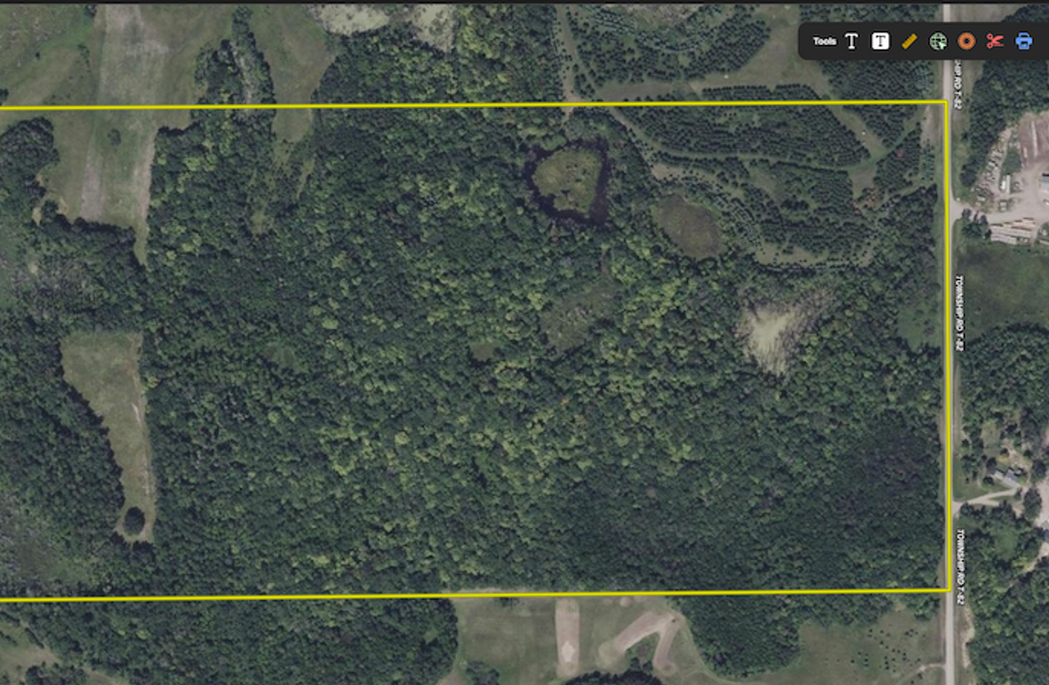
± 80 acres $304,000
80-acre wooded tract in Clearwater County MN with mature hardwoods, aspen and pine, rolling terrain, bedding cover, two food plot sites and established trails. Muddy blind included with gated township road access near Clearbrook and Bagley
  • 80 ac of prime whitetail hunting in Clearwater County, Minnesota
  • Located approximately 5.5 miles south of Clearbrook and 8.5 miles north of Bagley
  • Primarily wooded with mature hardwood, aspen and pine timber
  • Rolling terrain with lowland bedding pockets
  • Two established food plot locations
  • Established internal trail system
  • Muddy blind included
  • Gated access from a township road
  • Located in Minnesota Deer Zone 210, 2 Deer Zone in 2025
  • Located in Bear Zone 41
  • Additional 80 acres may be available to the north
Josh Miller
Josh Miller
Real Estate Salesperson, Land Specialist / Licensed in MN, ND
Cell
218.850.8627
Corporate Office
217.285.9000
josh.miller@whitetailproperties.com
Equal Housing Lender
WHITETAIL PROPERTIES REAL ESTATE, LLC DBA WHITETAIL PROPERTIES, DBA WHITETAIL PROPERTIES REAL ESTATE. IN THE STATES OF NEBRASKA & NORTH DAKOTA DBA WHITETAIL TROPHY PROPERTIES REAL ESTATE LLC. LICENSED IN CO, MN, ND, SD, TN & WI - JEFFREY EVANS, BROKER. LICENSED IN FL, KS & MO - JEFFERSON KIRK GILBERT, BROKER. LICENSED IN TX & NM - JOEY BELLINGTON, BROKER. LICENSED IN IN - Dan Bates, BROKER. LICENSED IN AL, GA, LA, & MS - SYBIL STEWART, BROKER. LICENSED IN TN - TIM BURNETTE, BROKER. LICENSED IN TN & MS- JOSH MONK, BROKER. LICENSED IN AR - ANTHONY CHRISCO, BROKER. LICENSED IN NC, SC, VA - CHIP CAMP, BROKER. LICENSED IN IA, NC - RICHARD F. BAUGH, BROKER. LICENSED IN MI - EDMUND JOEL NOGASKI, BROKER. LICENSED IN IL, MD, WV - DEBBIE S. LAUX, BROKER. LICENSED IN ID, MT, OR, UT, WA, WY & NV - AARON MILLIKEN, BROKER. LICENSED IN NY - JOHN MYERS, REAL ESTATE BROKER. LICENSED IN OK - DEAN ANDERSON, BROKER. LICENSED IN KY - DEREK FISHER, BROKER. LICENSED IN OH - JEREMY SCHAEFER, PRINCIPAL BROKER. LICENSED IN NE & SD- JASON SCHENDT, BROKER. LICENSED IN PA- JACK BROWN, BROKER.
THE INFORMATION CONTAINED HEREIN IS DEEMED RELIABLE BUT IS NOT WARRANTED OR GUARANTEED BY THE BROKER OR SELLER. THE BROKER (WHITETAIL PROPERTIES) DOES NOT ASSUME LIABILITY FOR TYPOGRAPHICAL ERRORS, MISPRINTS, NOR FOR MISINFORMATION THAT MAY HAVE BEEN GIVEN US.
A3 1 2 DJI_0003 DJI_0008 DJI_0009
This document was generated on:
Back to Listing