Hunting And Recreation Land With Great Trails Near Bedford And Seymour Indiana
Reduced
Media
Summary
Property
- Type
- Recreational Land, Residential Land, Timberland, Undeveloped Land, Hunting Land
- Road Frontage
- County Road
- Road Surface
- Blacktop/Asphalt
Land Details
- Timber
Approximate Distances
| 10 mi | to Brownstown |
| 18 mi | to Bedford |
| 20 mi | to Seymour |
| 37 mi | to Bloomington |
| 62 mi | to Louisville, KY |
| 82 mi | to Indianapolis |
Utilities
| Electric: | Nearby |
Features/Improvements
- Small Game
- Big Game
- Trail Network
- Seller's Mineral Rights Convey
Description
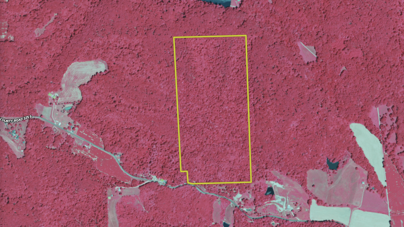
PRICE REDUCED! This property presents substantial acreage in southwest Jackson County, Indiana, configured as a rectangle extending inland from the roadway. Entry to the property includes a pull-through camp area set above the road and screened by tall timber. Two gates, one at each end, facilitate convenient drive-through access. The property's network of trails is robust and well-maintained, allowing the frequent use of SXS and ATVs. These trails traverse diverse terrain, including wooded ridges, creek bottom, and woodland hilltops.
The mature timber stand comprises oak, walnut, hickory, gum, poplar, and varied understory and age classes. Even in the summer months, visibility through the woods extends 100 yards or more, aiding navigation and wildlife observation. Trail routes descend through hills and ridges to a wide-open creek bottom, then ascend to a long, tall ridge on the far side. Wildlife activity is evident; several deer and wild turkey were encountered upon entry, indicating daily habitat use.
Access is convenient: the property sits a short distance from U.S. 50, providing straightforward regional travel to the east or west. Nearby towns offer practical amenities: Brownstown and Bedford are the closest centers for dining and shopping; Seymour and Bloomington lie a modest drive away and offer broader lodging, dining, and entertainment options. Several state and national recreation areas are within reach, including nearby Jackson-Washington State Forest and Spring Mill State Park to the southwest and portions of Hoosier National Forest and Austin Bottoms not far away. Indianapolis is approximately 1.5 hours north, and Louisville is about one hour south, making this property a logical midpoint gathering spot.
Overall, this parcel offers substantial timbered acreage, mechanical access via trails, gated privacy, and proximity to infrastructure and amenities, offering versatility for recreation, hunting, or retreat.
Details
-
Gated pull-through camp area set above road and hidden by timber
-
Well-developed ATV/SXS trails throughout varied terrain
-
Mix of mature hardwoods: oak, walnut, hickory, gum, poplar
-
Great visibility through the woods
-
Trails descend to creek bottom and climb to back ridge hilltop
-
Convenient access via U.S. 50; near Brownstown & Bedford amenities
-
Easy Drive to Seymour or Bloomington
Area Info
Other
Coordinates
38.842, -86.189
Annual Taxes
$304
The information contained herein is deemed reliable but is not warranted or guaranteed by the Broker, its Agents, or the Seller. Access to property, access to utilities, or any measurements including but not limited to, acreage, square footage, frontage, and mapping boundary lines shared herein has not been independently verified and is for purposes of marketing only. If exact measurements, access to property, or access to utilities is a concern, the property should be independently measured or investigated by the prospective buyer.
COOPERATING BROKER COMPENSATION: Please contact Listing Agent/Broker for terms of cooperating Buyer Broker compensation. Terms of compensation, if any, shall be ascertained by cooperating brokers before beginning efforts to accept the offer of cooperation. Buyer’s Agents/Brokers must be identified, by Buyers and/or their Brokers/Agents, on the first contact with Listing Broker/Agents to receive compensation. Otherwise, compensation will be at the sole discretion of the Seller, Broker, and Whitetail Properties Real Estate, LLC.
Real Estate Commissions and Cooperating Broker Compensation, if any, are fully negotiable and is not fixed or controlled by law, by Whitetail Properties Real Estate, LLC (or any division/trade name/DBA of), or its Agents/Brokers.