28.8+/- Wooded Acres Near Bolivar With Secluded Build Site
Media
Summary
Property
- Type
- Recreational Land, Residential Land, Undeveloped Land, Hunting Land
Land Details
- Open
Approximate Distances
| 1.1 mi | to Bolivar |
| 9.6 mi | to Wellsville |
| 4.6 mi | to PA line |
| 9.8 mi | to I-86 Southern Tier Expressway |
Utilities
| Electric: | Nearby |
Features/Improvements
- Small Game
- Big Game
- Gated Entrance
Description
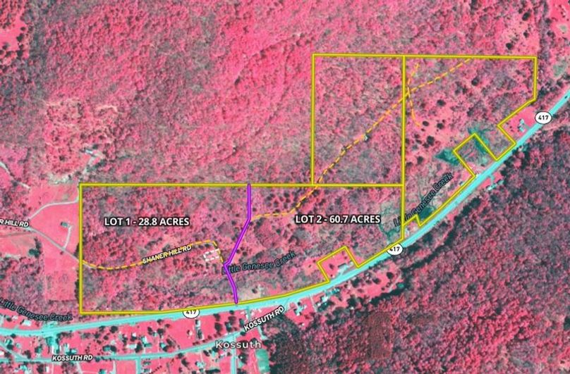
Discover the perfect blend of privacy and convenience on this beautifully wooded 28.8 +/- acre parcel just 1.1 miles from the heart of Bolivar, NY. A newly constructed and level building site (approximately 60' x 100') has already been cleared and prepped, complete with a private driveway tucked discreetly off Route 417 for 100% seclusion. Ready to build or park a home on. There is no zoning on this property, so using your imagination, this is a property with endless options. The setting is ideal for those looking to build a weekend retreat, hunting cabin, or full-time residence surrounded by nature, and hunting at your doorstep. Towering hardwoods and quiet forest trails surround the homesite, offering peace, privacy, and abundant wildlife. With all the conveniences of town services just minutes away, this property offers the rare opportunity to enjoy rural living without sacrificing accessibility. This property is a sister property to Lot #2, a 60.7 acre parcel with an improved road on it. You may combine these lots for an even larger footprint of country living, deer hunting, and privacy for a total of 98.5 acres of prime hunting and privacy. Whether you're looking for a quiet place to live, hunt, or escape to on the weekends, this Bolivar property checks all the boxes. ADDITIONAL INFORMATION: Borders Lot #2 60.7 acres, GMOs Convey, Electric at the road, 28.8 +/- Wooded acres, 60' x 100' level, Cleared building site, Gated shared driveway access off Rt 417, Secluded location, not visible from the road, 1.1 miles to Bolivar town center, Excellent setting for a cabin, home, or recreation, Abundant wildlife, natural beauty, and peaceful surroundings, 980 ft Road frontage, 1.1 miles to Bolivar, 9.6 miles to Wellsville, 4.6 miles to PA line, 9.8 miles to I-86 southern tier expressway. Buyer's agent must be present on all showings. Do not send clients out without accompanying them. Disclaimer: Map illustrations are for reference purposes only and not the representations of the Listing agent or brokerage Whitetail Properties Real Estate LLC. Illustrations are provided by Land ID. Parties should be advised to confirm Illustrations with licensed professional service providers.
Details
-
28.8+/- wooded acres in Allegany County
-
Cleared 60'x100' building site prepped and ready
-
Private gated driveway tucked off Route 417
-
No zoning allows for flexible land use
-
Excellent setting for a home, cabin, or recreational retreat
-
Towering hardwoods and quiet forest trails
-
Borders a 60.7+/- acre sister parcel also for sale
-
980 feet of road frontage
-
Buyer's agent must be present on all showings, do not send clients out without accompanying them
Other
Coordinates
42.06634, -78.14304
The information contained herein is deemed reliable but is not warranted or guaranteed by the Broker, its Agents, or the Seller. Access to property, access to utilities, or any measurements including but not limited to, acreage, square footage, frontage, and mapping boundary lines shared herein has not been independently verified and is for purposes of marketing only. If exact measurements, access to property, or access to utilities is a concern, the property should be independently measured or investigated by the prospective buyer.
COOPERATING BROKER COMPENSATION: Please contact Listing Agent/Broker for terms of cooperating Buyer Broker compensation. Terms of compensation, if any, shall be ascertained by cooperating brokers before beginning efforts to accept the offer of cooperation. Buyer’s Agents/Brokers must be identified, by Buyers and/or their Brokers/Agents, on the first contact with Listing Broker/Agents to receive compensation. Otherwise, compensation will be at the sole discretion of the Seller, Broker, and Whitetail Properties Real Estate, LLC.
Real Estate Commissions and Cooperating Broker Compensation, if any, are fully negotiable and is not fixed or controlled by law, by Whitetail Properties Real Estate, LLC (or any division/trade name/DBA of), or its Agents/Brokers.