Secluded Waterfront Building Lot In Lowell, Indiana
New
Media
Summary
Property
- Type
- Recreational Land, Residential Land, Undeveloped Land, Hunting Land, Horse Property, Lakefront
- Road Frontage
- County Road
- Road Surface
- Gravel, Dirt
- Fencing
- Partial
Land Details
- Open
- Pond
- Lake
Approximate Distances
| 1.5 mi | to Downtown Lowell, IN |
| 15 mi | to Crown Point, IN |
| 36 mi | to Chicago |
| 20 mi | to Valparaiso, IN |
| 6 mi | to Highway I-65 |
Utilities
| Electric: | Onsite |
| Gas: | Nearby |
| Internet: | Nearby |
| Cable: | Nearby |
Features/Improvements
- Small Game
- Big Game
- Waterfowl
- Fish
- Wetlands
- Slough
- Gated Entrance
Description
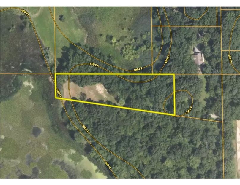
This 1.54-acre, waterfront building lot is located in a very secluded location, down a private easement in Lowell, Indiana. The property offers a combination of open space, surrounded by trees and nature, with views overlooking a small lake on a County Parks property. With the existing utilities, proximity to community amenities, and property location, it may make an awesome location for a camper, barn, cabin, or a new construction home. The parcel includes a private well and established electric service, reducing the need for and high cost of initial utility installation. The property has an approved Soil test for a septic system, allowing buyers to move forward with development plans after obtaining the required permits. The lot size provides flexibility for a variety of building designs while maintaining manageable acreage for maintenance and use. The property has a gentle slope down to the water's edge, which not only promotes good drainage but may also allow for a walk-out construction plan. The property overlooks the natural wetland Lake Bel-Aire, which is part of a 28-acre tract owned and maintained by the Lowell Parks Department. This setting offers open views and adjacency to publicly owned green space without placing maintenance responsibility on the property owner. The nearby parkland contributes to the area's open character and provides access to town-managed outdoor space. Currently, that property is not accessible from the road and consists mainly of trees, natural vegetation, and the wetland lake; it is almost like you would have your own private nature preserve right in your backyard! The lot is located near Lowell High School and town services, shops, and dining options. Road access is via 175th Street, which turns into a long, tree-lined driveway to the property via the legal easement. The surrounding area includes a mix of residential properties, open land, and public spaces consistent with this part of Lake County. Lowell is located in northwest Indiana and provides convenient access to larger communities and regional routes. The property is approximately 1.5 miles from downtown Lowell, about 17 miles from Crown Point, approximately 20 miles from Valparaiso, and around 35 miles from downtown Chicago. These nearby towns and cities offer expanded shopping, medical services, employment centers, and additional amenities. This property may be suitable for buyers seeking a buildable lot with existing utilities, a lake view, and proximity to schools and town amenities. All potential uses and building plans should be verified with Lake County and Town of Lowell officials to ensure compliance with zoning ordinances, building codes, and septic regulations.
Details
-
Waterfront building lot in a secluded and desirable location
-
Electric service already in place and land has an approved soil test for septic
-
Access is via a long, private tree lined driveway easement with a gate at entrance
-
Lot already has a cleared location for a new home or barn construction
-
Land slopes down to the waters edge and may allow for a walkout basement
-
Property could be used for camping, bonfires or outdoor events also
Area Info
Other
Coordinates
41.2968, -87.3972
Annual Taxes
$1,500
The information contained herein is deemed reliable but is not warranted or guaranteed by the Broker, its Agents, or the Seller. Access to property, access to utilities, or any measurements including but not limited to, acreage, square footage, frontage, and mapping boundary lines shared herein has not been independently verified and is for purposes of marketing only. If exact measurements, access to property, or access to utilities is a concern, the property should be independently measured or investigated by the prospective buyer.
COOPERATING BROKER COMPENSATION: Please contact Listing Agent/Broker for terms of cooperating Buyer Broker compensation. Terms of compensation, if any, shall be ascertained by cooperating brokers before beginning efforts to accept the offer of cooperation. Buyer’s Agents/Brokers must be identified, by Buyers and/or their Brokers/Agents, on the first contact with Listing Broker/Agents to receive compensation. Otherwise, compensation will be at the sole discretion of the Seller, Broker, and Whitetail Properties Real Estate, LLC.
Real Estate Commissions and Cooperating Broker Compensation, if any, are fully negotiable and is not fixed or controlled by law, by Whitetail Properties Real Estate, LLC (or any division/trade name/DBA of), or its Agents/Brokers.