Awesome Hunting Retreat Setup And Ready To Go In Parke County IN
Media
Summary
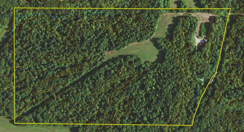
Property
- Type
- Recreational Land, Timberland, Hunting Land
- Road Frontage
- County Road
- Road Surface
- Pavement, Gravel
- Fencing
- Low
- Outbuildings
- Garage
Land Details
- Pasture
- Timber
- Enrolled in Government Program
- Grass
Approximate Distances
| 63 mi | to Inianapolis |
| 23 mi | to Terre Haute |
| 15 mi | to Rockville |
Utilities
| Electric: | Onsite |
| Gas: | Nearby |
| Sewer: | Onsite |
| Internet: | Nearby |
| Cable: | Nearby |
| Telephone: | Nearby |
| Water: | Onsite |
Housing
Lodge
2BD / 1BA 1440± sqft Built in 2020Features/Improvements
- Small Game
- Big Game
- Predators
- Food Plot
- Tree Stands/Blinds
- Trail Network
- Internal Road System
- Gated Entrance
- Seller's Mineral Rights Convey
Description
Looking for that awesome piece of property in the right neighborhood, look no further. This is a deer hunter's dream, all setup and ready to go for this hunting season, right in Parke Co. This property has produced many quality bucks. Quality deer management principles have been the guideline, ensuring an excellent deer herd calls this land home. Good trail systems run throughout the property, making it easy to get to all areas of the property, including the large 3+- acre food plot location and adjoining bedding field. 2 elevated Banks blinds are already set up in prime positions overlooking the food plot and ready to hunt this season. When the hunt is over, head back to camp, where you will find a nice finished and updated cabin/lodge. The cabin has 720+- square feet of living space. There is a kitchen/great room combo with vaulted ceilings; it also has two small bedrooms and one full bath making it the perfect getaway spot to enjoy with friends and family. Attached to the main living area is an oversize two-car garage with 720+- square feet to house all your toys and equipment. Besides great whitetail hunting, this property provides excellent hunting for turkey and small game. Several ridge tops provide excellent roosting areas for the turkey population here. Morel mushrooms are known to be plentiful here in the spring. The timber ground consists of a variety of hardwood timbers, with a majority being composed of oak and hickory. The property is in the Indiana Classified Forest program. Parke County is home to the world-famous cover bridge festival. Property only minutes from Rockville for all your dining and shopping needs. Nearby Raccoon Lake offers excellent boating, fishing and skiing for the family. This one has everything and will not last long, don't let this excellent opportunity slip by. Call for your own private showing.
The information contained herein is deemed reliable but is not warranted or guaranteed by the Broker, its Agents, or the Seller. Access to property, access to utilities, or any measurements including but not limited to, acreage, square footage, frontage, and mapping boundary lines shared herein has not been independently verified and is for purposes of marketing only. If exact measurements, access to property, or access to utilities is a concern, the property should be independently measured or investigated by the prospective buyer.
COOPERATING BROKER COMPENSATION: Please contact Listing Agent/Broker for terms of cooperating Buyer Broker compensation. Terms of compensation, if any, shall be ascertained by cooperating brokers before beginning efforts to accept the offer of cooperation. Buyer’s Agents/Brokers must be identified, by Buyers and/or their Brokers/Agents, on the first contact with Listing Broker/Agents to receive compensation. Otherwise, compensation will be at the sole discretion of the Seller, Broker, and Whitetail Properties Real Estate, LLC.
Real Estate Commissions and Cooperating Broker Compensation, if any, are fully negotiable and is not fixed or controlled by law, by Whitetail Properties Real Estate, LLC (or any division/trade name/DBA of), or its Agents/Brokers.
Sold Property
For more information or to see additional properties currently for sale see Bill Minor's listings.