Private Outdoor Playground and Doorway to 1,000+ Acres of Daniel Boone National Forest
New
Media
Summary
Property
- Type
- Recreational Land, Timberland
- Road Surface
- Dirt
Land Details
- Timber
Description
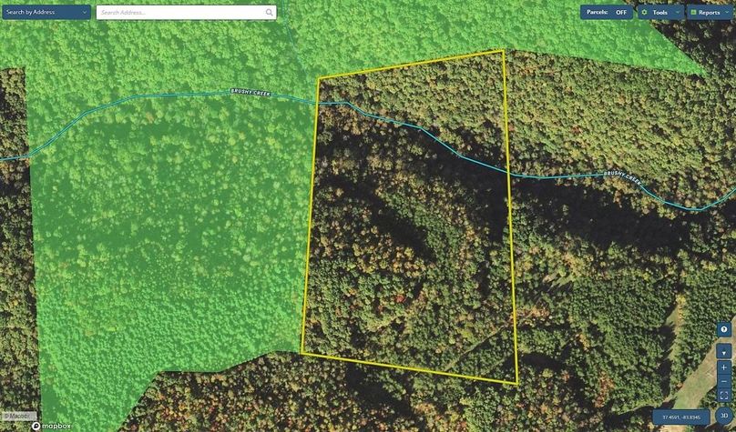
Tucked deep into the mountains of Eastern Kentucky and bordering the breathtaking Daniel Boone National Forest, this 33.7± acre forested tract offers a rare opportunity to own a private mountain property with direct access to thousands of acres of protected public land. With over 2,100 feet of shared boundary along the north and west sides, this property serves not only as a beautiful standalone retreat, but also as a gateway to more than 1,000 contiguous acres of Daniel Boone National Forest immediately to the north—effectively expanding your backyard to an outdoor paradise. The land showcases a diverse mix of terrain and habitat, highlighted by a mature oak and hickory forest, blended with softwoods including maple, beech, and poplar along the slopes. In the northern portion of the property, you’ll find over 900 feet of scenic blue-line stream, bordered by impressive rock cliffs and natural outcroppings that add character and visual appeal. The topography is moderate and usable across much of the tract, with steeper, north-facing slopes near the stream that feature striking rock formations and rugged mountain scenery. A functional network of trails winds throughout the property, providing excellent access and opening the door to multiple off-grid cabin or homesite options, all with true end-of-the-road privacy. For the avid outdoorsman, this land is a dream come true. The combination of diverse habitats, water, and immediate National Forest access creates an exceptional environment for deer and turkey hunting. Beyond hunting, the property is ideally suited for hiking, camping, ATV or horseback riding, exploring, and unplugging from everyday life. Whether you’re looking for a secluded mountain getaway, a hunting haven, or a long-term off-grid retreat, this tract is truly a diamond in the rough—an outdoor playground waiting to be discovered. If this kind of adventure is what you’ve been missing, give me a call and let’s see if this incredible property is the right fit for you.
Details
-
13 miles to Booneville, KY... 30 miles to London, KY... 32 miles to Red River Gorge
-
Quiet off the grid building or recreational tract with no restrictions
-
2100 feet of shared National Forest Boundary and 900 feet of blue line stream running through the property
Other
Coordinates
37.4548, -83.8327
The information contained herein is deemed reliable but is not warranted or guaranteed by the Broker, its Agents, or the Seller. Access to property, access to utilities, or any measurements including but not limited to, acreage, square footage, frontage, and mapping boundary lines shared herein has not been independently verified and is for purposes of marketing only. If exact measurements, access to property, or access to utilities is a concern, the property should be independently measured or investigated by the prospective buyer.
COOPERATING BROKER COMPENSATION: Please contact Listing Agent/Broker for terms of cooperating Buyer Broker compensation. Terms of compensation, if any, shall be ascertained by cooperating brokers before beginning efforts to accept the offer of cooperation. Buyer’s Agents/Brokers must be identified, by Buyers and/or their Brokers/Agents, on the first contact with Listing Broker/Agents to receive compensation. Otherwise, compensation will be at the sole discretion of the Seller, Broker, and Whitetail Properties Real Estate, LLC.
Real Estate Commissions and Cooperating Broker Compensation, if any, are fully negotiable and is not fixed or controlled by law, by Whitetail Properties Real Estate, LLC (or any division/trade name/DBA of), or its Agents/Brokers.