Sold

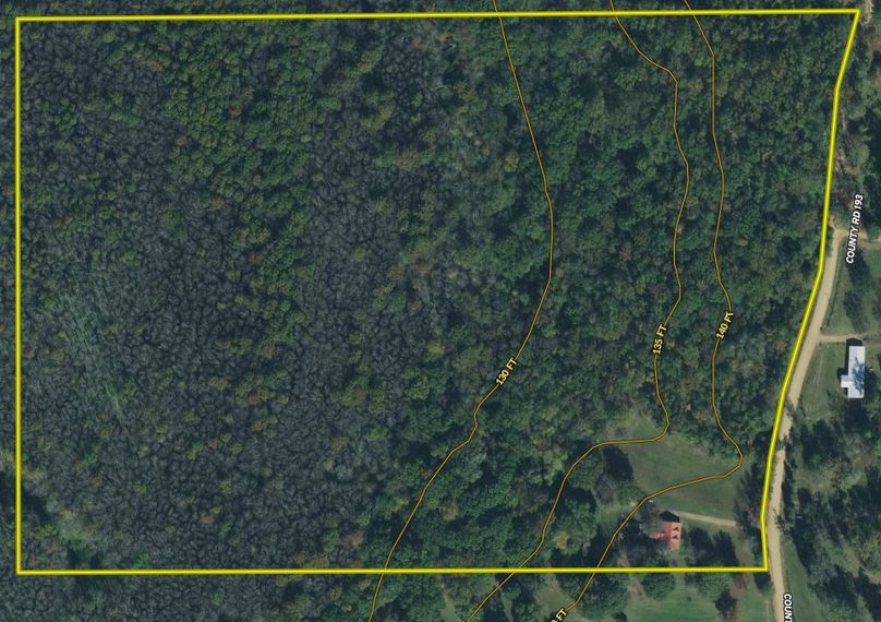
Country Home On Sharky Bayou Near Carrollton MS

Acreage 40.48 Acres +/-
Price Sold