87.3+/- Acres Of Tillable Land With Excellent Hunting
New
Media
Summary
Property
- Type
- Recreational Land, Undeveloped Land, Hunting Land
Land Details
- Tillable
Approximate Distances
| 3.85 mi | to Cuba |
| 2.72 mi | to Friendship |
| 3.1 mi | to I-86 |
Utilities
| Electric: | Nearby |
Features/Improvements
- Small Game
- Big Game
- Food Plot
- Seller's Mineral Rights Convey
Description
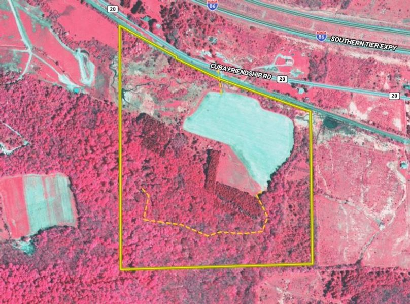
This 87± acre property is a combination of excellent deer habitat and tillable acres located just minutes east of Cuba, NY. Access is provided by a newer road that crosses the railroad tracks, progressing south off of Rt 20 into the field. The field has been planted in corn (2025) and has a gentle slope leading to the woods above. The forest is predominantly mixed hardwoods, with two stands of planted Norway Spruce providing thermal cover for deer. Approximately 20% of the stand consists of oak, with the remainder being hard and red maple. The Ash trees have been removed, and a professional forester has managed the timber stand recently with a releasing harvest to produce another marketable harvest in 8 +/- years, then again, in another 10 +/- years. This property has a great location for a cabin where a camper is currently located on the hill overlooking the field. Deer sign and trails were abundant on all acres of this parcel, and with tillable acres as part of this property, food plotting would be a breeze to attract and hold deer on the land. The Northwest corner is a lowland area with field grasses and old apple trees, and some elements of wetlands are present, too. A main logging trail runs centrally through the woods, making access a breeze and wide enough for any side-by-side or ATV. Call today for more details or to schedule a showing! ADDITIONAL INFORMATION: Timber and GMO rights convey, Tillable acres, Electric at the road, 3.85 miles to Cuba, 2.72 miles to Friendship, 3.1 miles to I-86. Taxes $TBD. Buyer agent must be present on all showings. Do not send clients out without accompanying them. Disclaimer: Map illustrations are for reference purposes only and not the representations of the Listing agent or brokerage Whitetail Properties Real Estate LLC. Illustrations are provided by Land ID. Parties should be advised to confirm Illustrations with licensed professional service providers.
Details
-
Tillable field planted in corn during the 2025 season
-
Mixed hardwood forest with oak and maple components
-
Two stands of planted Norway Spruce providing thermal cover
-
Professionally managed timber with future harvest potential
-
Established logging trail suitable for ATV or side-by-side access
-
Hilltop location currently used for a camper overlooking the field
-
Lowland area with grasses, old apple trees, and wetland elements
-
Electric available at the road with convenient access
-
Buyer agent must be present on all showings, please do not send clients out without accompanying them
-
NY STATE MLS #11624679
Other
Coordinates
42.20845, -78.22055
The information contained herein is deemed reliable but is not warranted or guaranteed by the Broker, its Agents, or the Seller. Access to property, access to utilities, or any measurements including but not limited to, acreage, square footage, frontage, and mapping boundary lines shared herein has not been independently verified and is for purposes of marketing only. If exact measurements, access to property, or access to utilities is a concern, the property should be independently measured or investigated by the prospective buyer.
COOPERATING BROKER COMPENSATION: Please contact Listing Agent/Broker for terms of cooperating Buyer Broker compensation. Terms of compensation, if any, shall be ascertained by cooperating brokers before beginning efforts to accept the offer of cooperation. Buyer’s Agents/Brokers must be identified, by Buyers and/or their Brokers/Agents, on the first contact with Listing Broker/Agents to receive compensation. Otherwise, compensation will be at the sole discretion of the Seller, Broker, and Whitetail Properties Real Estate, LLC.
Real Estate Commissions and Cooperating Broker Compensation, if any, are fully negotiable and is not fixed or controlled by law, by Whitetail Properties Real Estate, LLC (or any division/trade name/DBA of), or its Agents/Brokers.