Secluded Timber And Hunting Retreat With Cabin And Pond
New
Media
Summary
Property
- Type
- Recreational Land, Hunting Land
Land Details
- Timber
- Pond
Approximate Distances
| 5.6 mi | to Bolivar |
| 5.8 mi | to Friendship |
| 6.4 | to Wellsville |
Utilities
| Water: | Onsite |
| Electric: | Onsite |
| Internet: | Onsite |
Housing
Cabin
3BD / 1BA 576± sqft Built in 1960Description
We are pleased to present a country charm and private recreational retreat just minutes from Bolivar, New York. This attractive, clean wooded property has been carefully managed, with evidence of prior logging and harvest operations observed as recently as 2021 - enhancing both accessibility and long-term value.
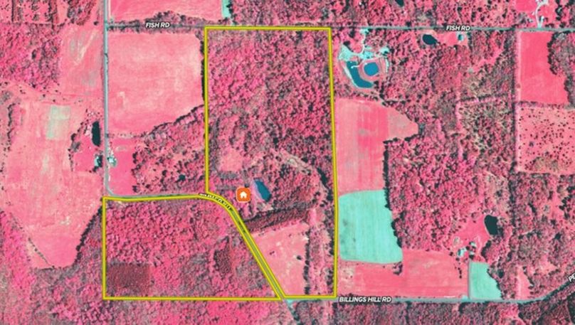
Tucked away from busy roads, the setting is quiet, secluded and ideal for a hunting camp, weekend getaway, or future residential build. As you enter the property, you’re welcomed by a charming cabin overlooking a scenic pond, complete with a groomed lawn area that creates a peaceful, park-like atmosphere.
A well-established network of old logging roads - previously traveled by side-by-side ATV - remains open and easily navigable, offering excellent internal access throughout the land and doubling as ready-made walking or riding trails.
The property boasts a strong timber investment profile, with documented income reaching as high as $86,000 in 2021 as qualified in writing by licensed forester. With a landowner projected harvest value of $74,000 in 2036. There may also be some immediate residual timber value, with additional growth expected over the next 10–15 years.
Featuring a mature forest dominated by hardwoods, this property offers exceptional wildlife habitat and hunting potential. With approximately 5,165 feet (nearly one mile) of combined road frontage along Fish Road, Zimmer Road, and Billings Hill Road, access and future flexibility are outstanding.
The existing 576 sq ft cabin, originally built in 1960, includes 3 bedrooms, 1 bathroom, an open kitchen and common area, plus an enclosed porch - perfect for relaxing after a day outdoors. Utilities include spring water, septic, Oil fuel and Electric and Wi-Fi on site.
Additional highlights include a tranquil pond, no barrier wetlands (though some wetlands are present), and a versatile landscape well-suited for recreation, hunting, or building.
Whether you're seeking a proven hunting property, a timber investment, or a private rural escape, this unique offering checks all the boxes.
ADDITIONAL INFORMATION: Buyer's agent must be present for showings, a side by side is recommended for showings, GMO’s Convey, Timber rights convey, History of past timber revenue, food plot fields, creek, Pond, Spring, 5.6 miles to Bolivar, 5.8 miles to Friendship, 6.4 miles to Wellsville, Taxes $4,475.
Disclaimer: Map illustrations are for reference purposes only and not the representations of the Listing agent or brokerage Whitetail Properties Real Estate LLC. Illustrations are provided by Land ID. Parties should be advised to confirm Illustrations with licensed professional service providers.
Details
-
Quiet & secluded
-
Ideal for hunting camp, weekend getaway or future residential build
-
Charming 576 sq ft cabin overlooking scenic pond
-
Well established network of old logging roads, easily navigable
-
Strong timber investment profile
-
Buyer's agent must be present for showings
-
GMO's and Timber Rights convey
Other
Coordinates
42.1255, -78.0833
Annual Taxes
$4,475
The information contained herein is deemed reliable but is not warranted or guaranteed by the Broker, its Agents, or the Seller. Access to property, access to utilities, or any measurements including but not limited to, acreage, square footage, frontage, and mapping boundary lines shared herein has not been independently verified and is for purposes of marketing only. If exact measurements, access to property, or access to utilities is a concern, the property should be independently measured or investigated by the prospective buyer.
COOPERATING BROKER COMPENSATION: Please contact Listing Agent/Broker for terms of cooperating Buyer Broker compensation. Terms of compensation, if any, shall be ascertained by cooperating brokers before beginning efforts to accept the offer of cooperation. Buyer’s Agents/Brokers must be identified, by Buyers and/or their Brokers/Agents, on the first contact with Listing Broker/Agents to receive compensation. Otherwise, compensation will be at the sole discretion of the Seller, Broker, and Whitetail Properties Real Estate, LLC.
Real Estate Commissions and Cooperating Broker Compensation, if any, are fully negotiable and is not fixed or controlled by law, by Whitetail Properties Real Estate, LLC (or any division/trade name/DBA of), or its Agents/Brokers.