Bison Ranch Opportunity – Prime NY Location On McMichael Road
Media
Summary
Property
- Type
- Ranches, Recreational Land, Hunting Land
Land Details
- Pasture
Approximate Distances
| 2.6 mi | to Prattsburg |
| 6.2 mi | to Naples |
Utilities
| Electric: | Nearby |
Features/Improvements
- Small Game
- Big Game
- Upland Game
- Seller's Mineral Rights Convey
Description
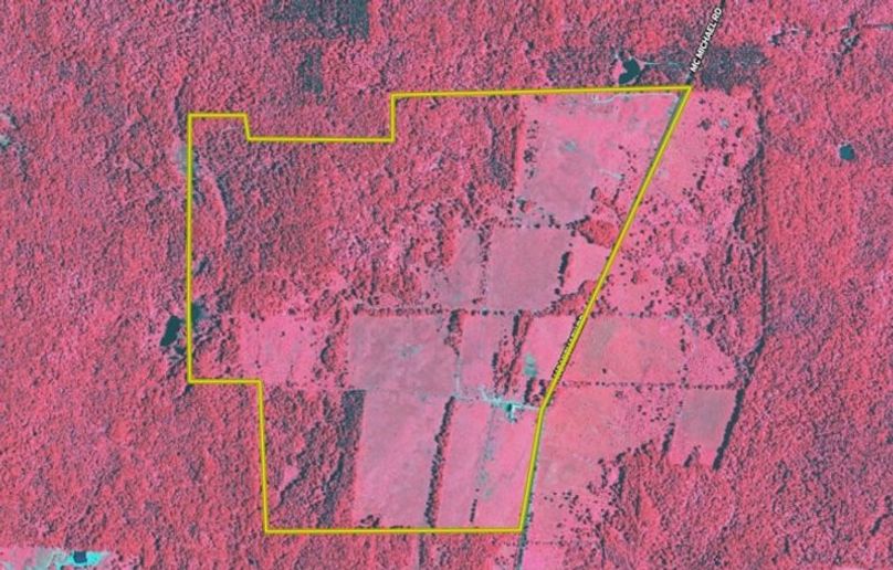
Spectacular views, extensive fencing, and endless potential - welcome to this 345-acre bison ranch perched atop the highest elevation of McMichael Road. Currently operating as a bison ranch grazing and winter grounds, this expansive property is fully enclosed with miles of new high-tensile wire fencing and sturdy posts, designed for strength and longevity. The ranch features approximately 169 acres of open pasture, thoughtfully divided into multiple rotational grazing paddocks, ideal for herd management and forage sustainability. The timber on the property has been recently harvested, leaving no significant timber value but resulting in prime regeneration and dense bedding cover, creating excellent deer habitat. Deer are abundant, making this property appealing not just to agricultural buyers, but also to recreational and hunting enthusiasts. With over 4,360 feet of road frontage, this land offers numerous potential home sites, from private hilltop dream homes to a possible family compound. The panoramic views stretch across the rolling Steuben County hills, offering unmatched sunsets and peaceful seclusion. While optimized for bison, the land is perfectly suited for beef or dairy cattle, or could easily be adapted for equine or other agricultural uses. A classic old barn still stands on the property, though it will require significant repairs or removal, offering an opportunity to design your own agricultural setup. Whether you're continuing livestock operations, planning your country estate, or seeking a retreat with abundant wildlife and natural beauty, this property delivers exceptional possibilities. Call today for more details or to schedule a showing! ADDITIONAL INFORMATION: Timber and GMO rights convey, Pastures, New fence and posts, Deer Hunting, Turkey Hunting, Electric at the road, 2.6 miles to Prattsburg, NY, 6.2 miles to Naples, NY, Taxes TBD, Sold AS IS. Sales must be concurrent with sister listing. Buyer's agent must be present on all showings. Do not send clients out without accompanying them. Disclaimer: Map illustrations are for reference purposes only and are not representations of the Listing Agent or brokerage. Illustrations are provided by Land ID. Parties should be advised to confirm Illustrations with licensed professional service providers.
Details
-
Bison ranch perched atop the highest elevation of McMichael Road
-
Over 4,360 feet of road frontage
-
Fully enclosed with miles of new high-tensile wire fencing and sturdy posts
-
169+/- acres of open pasture
-
Ideal for beef or dairy cattle - easily adaptable for horses or other agricultural uses
-
Deer and turkey hunting
-
Timber and GMO rights convey
-
Sold AS IS
-
Sales must be concurrent with sister listing
-
Buyer agent must be present on all showings, do not send clients out without accompanying them
-
MLS #11492171
Other
Coordinates
42.563058, -77.281449
The information contained herein is deemed reliable but is not warranted or guaranteed by the Broker, its Agents, or the Seller. Access to property, access to utilities, or any measurements including but not limited to, acreage, square footage, frontage, and mapping boundary lines shared herein has not been independently verified and is for purposes of marketing only. If exact measurements, access to property, or access to utilities is a concern, the property should be independently measured or investigated by the prospective buyer.
COOPERATING BROKER COMPENSATION: Please contact Listing Agent/Broker for terms of cooperating Buyer Broker compensation. Terms of compensation, if any, shall be ascertained by cooperating brokers before beginning efforts to accept the offer of cooperation. Buyer’s Agents/Brokers must be identified, by Buyers and/or their Brokers/Agents, on the first contact with Listing Broker/Agents to receive compensation. Otherwise, compensation will be at the sole discretion of the Seller, Broker, and Whitetail Properties Real Estate, LLC.
Real Estate Commissions and Cooperating Broker Compensation, if any, are fully negotiable and is not fixed or controlled by law, by Whitetail Properties Real Estate, LLC (or any division/trade name/DBA of), or its Agents/Brokers.