Excellent Hunting Property With Plots And Trails
Media
Summary
Property
- Type
- Recreational Land, Timberland, Undeveloped Land, Hunting Land
- Road Surface
- Dirt
Land Details
- Timber
Approximate Distances
| 1.29 mi | to Howard |
| 8.4 mi | to Bath |
| 7.1 mi | to Hornell |
| 6.4 mi | to Canisteo |
Utilities
| Electric: | Nearby |
Features/Improvements
- Small Game
- Big Game
- Upland Game
- Creek/Spring
- Food Plot
- Trail Network
Description
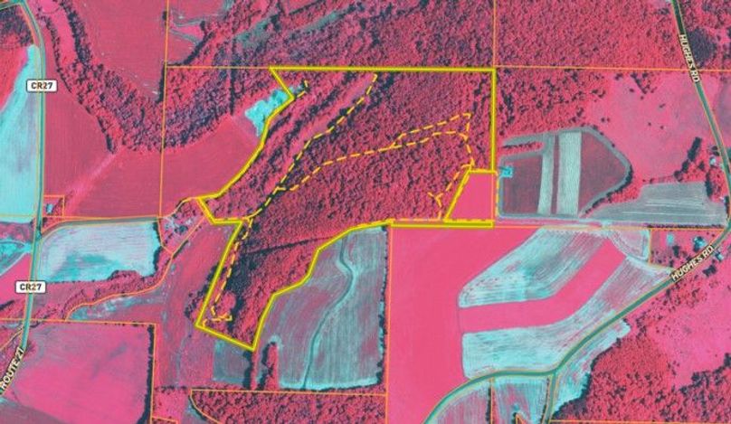
We are pleased to present a Steuben County hunting property with trails, plots, timber and topography. Deer and turkey hunters will enjoy the variety of habitat and over two miles of ATV trails providing access throughout the property. This property is accessed with ta deeded right of way named Pfitzenmaier road. The road leads to the base of a gently sloped west side that greets you with a long food plot running parallel to the hillside. Apple trees and hidden corners make this a perfect opportunity and location to attract deer and turkey. Mixed conifers and hardwoods make up the construction of the woods providing a variety of mast food and bedding cover. A small creek meanders through the bottom of the parcel, giving a water source and early succession cover to all wildlife here. There is a reported $40,000+/- of timber value on the property, and was observed as already identified and marked. The crown of the hill is planted in ag fields, which enhances the hunting opportunity and attractiveness to deer. The Lower fields are also planted in ag fields giving food choices for wild game. The far corner of the lower field would be a great pace for a hunting cabin or place to park a trailer for deer season and not disturb he property. Check this one out. Priced well to sell in a prime area of Steuben county. ADDITIONAL INFORMATION: Timber rights convey, Timber value @ $40,000+/-, Deer hunting, Turkey Hunting, ATV trails, Pond, Food plots, Cabin locations, Electric at the road. Taxes $2508 (2023), 1.29 miles to Howard, NY, 8.4 miles to Bath , NY, 7.1 miles to Hornell, NY, 6.4 miles to Canisteo, NY, Sold AS IS.
The information contained herein is deemed reliable but is not warranted or guaranteed by the Broker, its Agents, or the Seller. Access to property, access to utilities, or any measurements including but not limited to, acreage, square footage, frontage, and mapping boundary lines shared herein has not been independently verified and is for purposes of marketing only. If exact measurements, access to property, or access to utilities is a concern, the property should be independently measured or investigated by the prospective buyer.
COOPERATING BROKER COMPENSATION: Please contact Listing Agent/Broker for terms of cooperating Buyer Broker compensation. Terms of compensation, if any, shall be ascertained by cooperating brokers before beginning efforts to accept the offer of cooperation. Buyer’s Agents/Brokers must be identified, by Buyers and/or their Brokers/Agents, on the first contact with Listing Broker/Agents to receive compensation. Otherwise, compensation will be at the sole discretion of the Seller, Broker, and Whitetail Properties Real Estate, LLC.
Real Estate Commissions and Cooperating Broker Compensation, if any, are fully negotiable and is not fixed or controlled by law, by Whitetail Properties Real Estate, LLC (or any division/trade name/DBA of), or its Agents/Brokers.
Sold Property
For more information or to see additional properties currently for sale see Paul Vaicunas' listings.