Hunting Cabins Near Rock Creek State Forest In Greenwood, NY
Media
Summary
Property
- Type
- Recreational Land, Residential Land, Hunting Land
- Road Surface
- Gravel, Dirt
Approximate Distances
| 6.5 mi | to Andover |
| 3.2 mi | to Greenwood |
| 6.9 mi | to Canisteo |
| 6.4 mi | to Rexville |
Utilities
| Electric: | Onsite |
| Water: | Onsite |
Features/Improvements
- Small Game
- Big Game
- Upland Game
- Food Plot
- Tree Stands/Blinds
- Seller's Mineral Rights Convey
Description
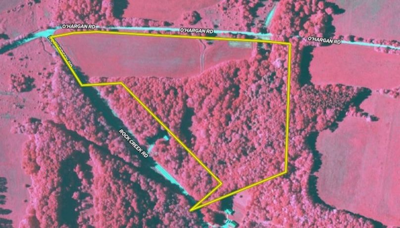
We are pleased to present a beautiful property with two rustic cabins near Greenwood, NY. Located on a quiet road and close to the 704 acres of Rock Creek State Forest in WMU 8, this property has two rustic cabins for weekend getaways or stays during deer camp. The first cabin is the cook cabin and living space, complete with a fridge, wood stove, sink and shower. The second cabin is the bunkhouse, ready for 5 to 6 people, with the restroom just outside, separate from the sleeping quarters. The land presents with a mix of hardwoods (Oaks), some hemlock near the creek and a large field for a mix of habitat that is excellent for deer hunting. A high house platform for a hunting blind is being included with this property. The new owners will enjoy the conveniences of having 20 acres of their own land to manage with fields, food plots, and apple trees while having an expanded hunting opportunity a mere 800 feet away from the state land. From your front door, O'harigan Road courses 1.4 miles through the north parcel of Rock Creek State Forest for easy access. Cleverly created for a great deer and turkey camp, this is an opportunity to own a state land border property. Call us today for a showing. ADDITIONAL INFORMATION: GMOs convey, 1,821 Feet of Road Frontage combined, Electric, Well, Septic, Window A/C, Wood Stove, Fridge, Food plot, Creek, Apple Trees, Deer Hunting, Taxes $965, 6.5 miles to Andover, NY, 3.2 miles to Greenwood, NY, 6.9 miles to Canisteo, NY, 6.4 miles to Rexville, NY. Agents must be present for showings. Sold AS IS.
The information contained herein is deemed reliable but is not warranted or guaranteed by the Broker, its Agents, or the Seller. Access to property, access to utilities, or any measurements including but not limited to, acreage, square footage, frontage, and mapping boundary lines shared herein has not been independently verified and is for purposes of marketing only. If exact measurements, access to property, or access to utilities is a concern, the property should be independently measured or investigated by the prospective buyer.
COOPERATING BROKER COMPENSATION: Please contact Listing Agent/Broker for terms of cooperating Buyer Broker compensation. Terms of compensation, if any, shall be ascertained by cooperating brokers before beginning efforts to accept the offer of cooperation. Buyer’s Agents/Brokers must be identified, by Buyers and/or their Brokers/Agents, on the first contact with Listing Broker/Agents to receive compensation. Otherwise, compensation will be at the sole discretion of the Seller, Broker, and Whitetail Properties Real Estate, LLC.
Real Estate Commissions and Cooperating Broker Compensation, if any, are fully negotiable and is not fixed or controlled by law, by Whitetail Properties Real Estate, LLC (or any division/trade name/DBA of), or its Agents/Brokers.
Sold Property
For more information or to see additional properties currently for sale see Paul Vaicunas' listings.