Back to Listing
Whitetail Properties logo
217.285.9000 whitetailproperties.com
1
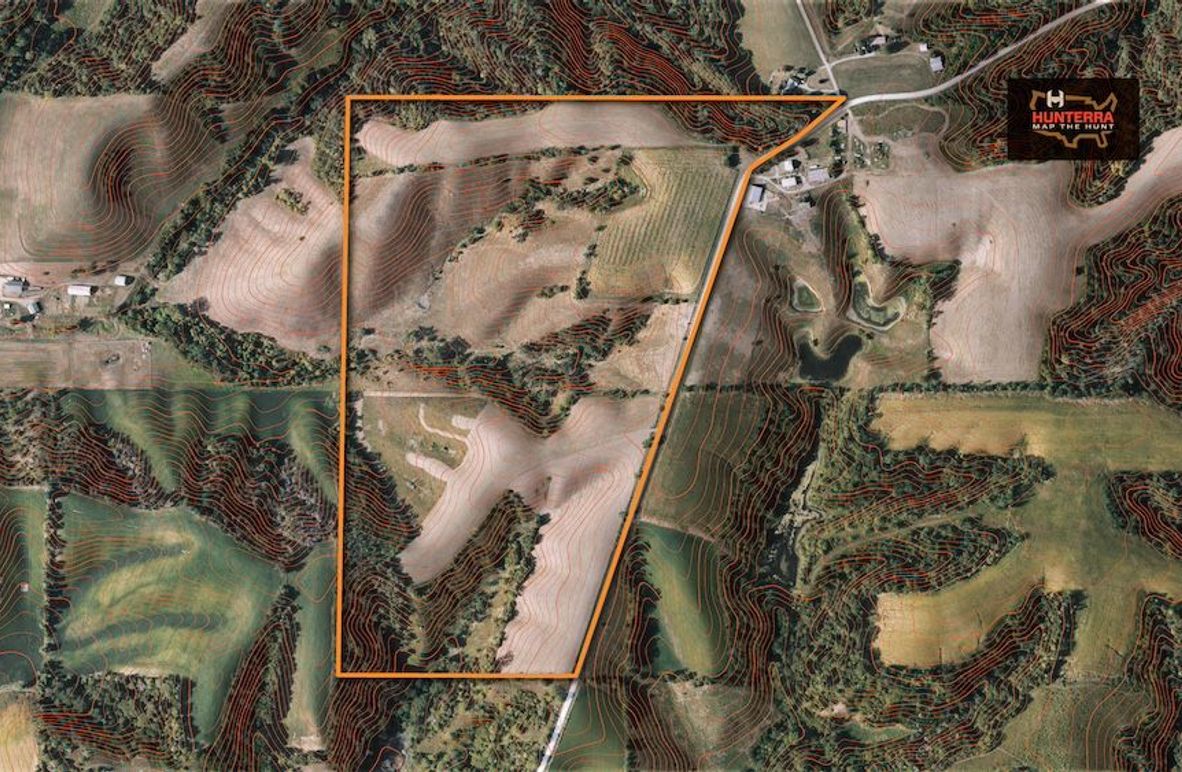
Tama Co, Iowa
± 90 acres $535,000
90-acre farm near the Iowa River with CRP income, pasture, timber, and crop ground. Great hunting, habitat diversity, and building sites with scenic views.
  • 90 acres in southeast Tama County
  • Between Chelsea and Belle Plaine
  • Less than 1 mile from blacktop road
  • Great building sites
  • Hunting property, mixed use farm with CRP, pasture, tillable, timber
  • In the hills above the Iowa River
  • 29 acres CRP through 2033, $7,565 annual income
  • Thick native grass fields
  • 9-acre crop field
  • 30-acre pasture with ridges, draws, small spring-fed pond
  • 23 acres of brushy timber for diversity
  • Private feel, mostly hidden from the road
  • North field would be a perfect food plot location
  • South trail leads to blind over secluded bottom
  • Excellent large pond site
  • 40 miles west of Cedar Rapids
  • 1 hour from Iowa City
  • Less than 1.5 hours from Ames and Des Moines
  • Taxes approximately $1,200 pending Tama County Assessor verification
Ben Harshyne
Ben Harshyne
Real Estate Salesperson, Land Specialist, IA Team Leader / Licensed in IA
Cell
319.853.1162
Corporate Office
217.285.9000
ben.harshyne@whitetailproperties.com
Equal Housing Lender
WHITETAIL PROPERTIES REAL ESTATE, LLC DBA WHITETAIL PROPERTIES, DBA WHITETAIL PROPERTIES REAL ESTATE. IN THE STATES OF NEBRASKA & NORTH DAKOTA DBA WHITETAIL TROPHY PROPERTIES REAL ESTATE LLC. LICENSED IN CO, MN, ND, SD, TN & WI - JEFFREY EVANS, BROKER. LICENSED IN FL, KS & MO - JEFFERSON KIRK GILBERT, BROKER. LICENSED IN TX & NM - JOEY BELLINGTON, BROKER. LICENSED IN IN - Dan Bates, BROKER. LICENSED IN AL, GA, LA, & MS - SYBIL STEWART, BROKER. LICENSED IN TN - TIM BURNETTE, BROKER. LICENSED IN TN & MS- JOSH MONK, BROKER. LICENSED IN AR - ANTHONY CHRISCO, BROKER. LICENSED IN NC, SC, VA - CHIP CAMP, BROKER. LICENSED IN IA, NC - RICHARD F. BAUGH, BROKER. LICENSED IN MI - EDMUND JOEL NOGASKI, BROKER. LICENSED IN IL, MD, WV - DEBBIE S. LAUX, BROKER. LICENSED IN ID, MT, OR, UT, WA, WY & NV - AARON MILLIKEN, BROKER. LICENSED IN NY - JOHN MYERS, REAL ESTATE BROKER. LICENSED IN OK - DEAN ANDERSON, BROKER. LICENSED IN KY - DEREK FISHER, BROKER. LICENSED IN OH - JEREMY SCHAEFER, PRINCIPAL BROKER. LICENSED IN NE & SD- JASON SCHENDT, BROKER. LICENSED IN PA- JACK BROWN, BROKER.
THE INFORMATION CONTAINED HEREIN IS DEEMED RELIABLE BUT IS NOT WARRANTED OR GUARANTEED BY THE BROKER OR SELLER. THE BROKER (WHITETAIL PROPERTIES) DOES NOT ASSUME LIABILITY FOR TYPOGRAPHICAL ERRORS, MISPRINTS, NOR FOR MISINFORMATION THAT MAY HAVE BEEN GIVEN US.
2 3 4 5 6 7
This document was generated on:
Back to Listing