Back to Listing
Whitetail Properties logo
217.285.9000 whitetailproperties.com
Zoom in
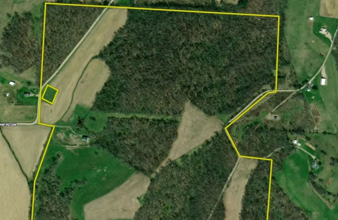
Coshocton Co, Ohio
± 158.6 acres
This beautiful farm blends income-producing tillable land with mature woods, ideal for hunting, recreation, or investment. Located in a top trophy whitetail region, it offers strong big-buck potential. Extensive road frontage allows easy access and future lot split possibilities. Rolling hills provide scenic views and great build sites. A rare mix of open woods, thick cover, and farmland adds function and beauty. Mineral rights transfer. A true all-in-one opportunity!
  • Mix of tillable ground and woods
  • Located in top trophy whitetail area
  • Excellent hunting potential
  • Expansive road frontage and easy access
  • Seller’s mineral rights convey
  • Strong investment potential
Rich Flowers
Rich Flowers
Real Estate Salesperson, Land Specialist / Licensed in OH
Cell
740.334.3628
Corporate Office
217.285.9000
rich.flowers@whitetailproperties.com
Equal Housing Lender
WHITETAIL PROPERTIES REAL ESTATE, LLC DBA WHITETAIL PROPERTIES, DBA WHITETAIL PROPERTIES REAL ESTATE. IN THE STATES OF NEBRASKA & NORTH DAKOTA DBA WHITETAIL TROPHY PROPERTIES REAL ESTATE LLC. LICENSED IN CO, MN, ND, SD, TN & WI - JEFFREY EVANS, BROKER. LICENSED IN FL, KS & MO - JEFFERSON KIRK GILBERT, BROKER. LICENSED IN TX & NM - JOEY BELLINGTON, BROKER. LICENSED IN IN - Dan Bates, BROKER. LICENSED IN AL, GA, LA, & MS - SYBIL STEWART, BROKER. LICENSED IN TN - TIM BURNETTE, BROKER. LICENSED IN TN & MS- JOSH MONK, BROKER. LICENSED IN AR - ANTHONY CHRISCO, BROKER. LICENSED IN NC, SC, VA - CHIP CAMP, BROKER. LICENSED IN IA, NC - RICHARD F. BAUGH, BROKER. LICENSED IN MI - EDMUND JOEL NOGASKI, BROKER. LICENSED IN IL, MD, WV - DEBBIE S. LAUX, BROKER. LICENSED IN ID, MT, OR, UT, WA, WY & NV - AARON MILLIKEN, BROKER. LICENSED IN NY - JOHN MYERS, REAL ESTATE BROKER. LICENSED IN OK - DEAN ANDERSON, BROKER. LICENSED IN KY - DEREK FISHER, BROKER. LICENSED IN OH - JEREMY SCHAEFER, PRINCIPAL BROKER. LICENSED IN NE & SD- JASON SCHENDT, BROKER. LICENSED IN PA- JACK BROWN, BROKER.
THE INFORMATION CONTAINED HEREIN IS DEEMED RELIABLE BUT IS NOT WARRANTED OR GUARANTEED BY THE BROKER OR SELLER. THE BROKER (WHITETAIL PROPERTIES) DOES NOT ASSUME LIABILITY FOR TYPOGRAPHICAL ERRORS, MISPRINTS, NOR FOR MISINFORMATION THAT MAY HAVE BEEN GIVEN US.
Zoom Out A B c D E
This document was generated on:
Back to Listing