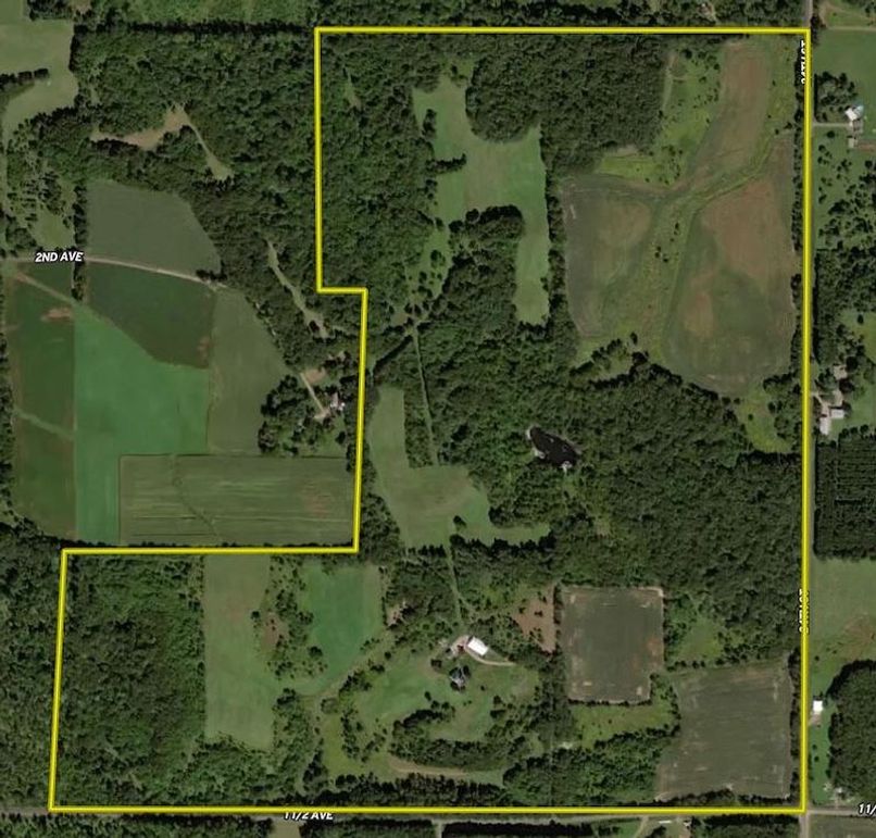
Custom Log Home W/ Pond, Hunting And Heated Shop On Acreage
Media
Summary
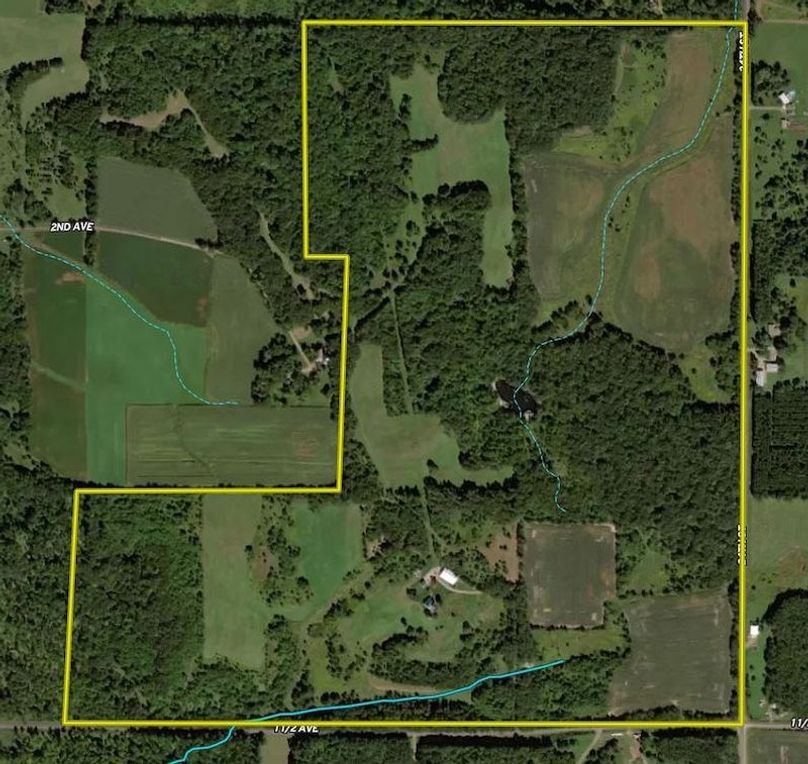
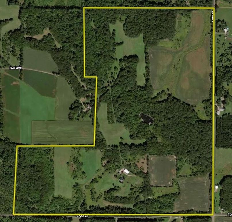
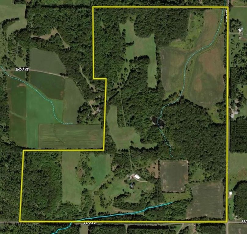
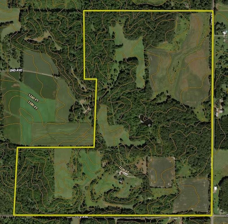
Property
- Type
- Recreational Land, Residential Land, Hunting Land
- Road Frontage
- Township Road
- Road Surface
- Blacktop/Asphalt
- Outbuildings
- Shop, Garage
Land Details
- Timber
- Enrolled in Government Program
- Grass
- Pond
Approximate Distances
| 5 Mi | to Sand Creek |
| 7 Mi | to New Auburn |
| 8 Mi | to Chetek |
| 30 Mi | to Chippewa Falls |
| 53 Mi | to New Richmond |
Utilities
| Electric: | Onsite |
| Propane: | Onsite |
| Sewer: | Onsite |
| Water: | Onsite |
Housing
Home
2BD / 1BA / 1HB 1799± sqft Built in 1987Features/Improvements
- Small Game
- Big Game
- Upland Game
- Predators
- Waterfowl
- Creek/Spring
- Wetlands
- Food Plot
- Tree Stands/Blinds
- Trail Network
Description
Welcome to a truly exceptional property that offers the ultimate blend of privacy, comfort, and outdoor adventure. This custom-built log home is nestled atop a pristine expanse of land, providing panoramic views over rolling hills, mature forests, and a large, tranquil pond. Designed for both relaxation and recreation, this home and land package is a dream for those who value nature, craftsmanship, and space.
Step inside the stunning log home and immediately feel the warmth and craftsmanship throughout. Designed for convenient main-floor living, the home features an open-concept layout with rustic wood finishes, a spacious kitchen, and cozy gathering spaces. The full walk-out basement offers flexibility for additional living space, entertainment areas, or storage. Just outside, enjoy the peaceful surroundings from your private pool and deck—a perfect place to unwind or host family and friends.
The property is outfitted with practical amenities to suit a variety of lifestyles. A heated detached garage ensures comfort year-round, while the large shed with an integrated shop is ideal for mechanics, craftsmen, or storage for recreational gear. Whether you're maintaining equipment or working on your next project, you’ll have all the space you need.
Beyond the home, the land itself is a thoughtfully managed outdoor sanctuary. Strategically planted apple trees attract wildlife and add to the property's serene beauty. Multiple hunting areas are ready for use, including ladder stands and enclosed blinds—perfect for deer, bear, turkey, and more. The forest includes a mix of softwoods and hardwoods with a rich understory that provides excellent cover and food sources for wildlife.
Spend afternoons in the picnic area overlooking the large pond—an ideal setting for quiet reflection, family gatherings, or spotting waterfowl and other wildlife. The pond and surrounding landscape offer opportunities for fishing, canoeing, bird watching, or simply soaking in the peaceful surroundings.
Wildlife is abundant here, with deer, bear, turkeys, grouse, pheasant, and waterfowl regularly frequenting the land. Whether you're a seasoned hunter, an outdoor enthusiast, or someone looking for a quiet escape into nature, this property offers unmatched access to the great outdoors.
This is more than just a home—it's a legacy property. Ideal for full-time living, a vacation getaway, or an income-generating recreational retreat, this stunning estate invites you to live life closer to nature, in total comfort and style.
The information contained herein is deemed reliable but is not warranted or guaranteed by the Broker, its Agents, or the Seller. Access to property, access to utilities, or any measurements including but not limited to, acreage, square footage, frontage, and mapping boundary lines shared herein has not been independently verified and is for purposes of marketing only. If exact measurements, access to property, or access to utilities is a concern, the property should be independently measured or investigated by the prospective buyer.
COOPERATING BROKER COMPENSATION: Please contact Listing Agent/Broker for terms of cooperating Buyer Broker compensation. Terms of compensation, if any, shall be ascertained by cooperating brokers before beginning efforts to accept the offer of cooperation. Buyer’s Agents/Brokers must be identified, by Buyers and/or their Brokers/Agents, on the first contact with Listing Broker/Agents to receive compensation. Otherwise, compensation will be at the sole discretion of the Seller, Broker, and Whitetail Properties Real Estate, LLC.
Real Estate Commissions and Cooperating Broker Compensation, if any, are fully negotiable and is not fixed or controlled by law, by Whitetail Properties Real Estate, LLC (or any division/trade name/DBA of), or its Agents/Brokers.
Sold Property
For more information or to see additional properties currently for sale see Chris Polfus' listings.