Highly Managed Small Parcel In Northwest WI
Media
Summary
Property
- Type
- Recreational Land
- Road Frontage
- County Road, Township Road
- Road Surface
- Blacktop/Asphalt
- Fencing
- Partial
Land Details
- Timber
- Tillable
Features/Improvements
- Small Game
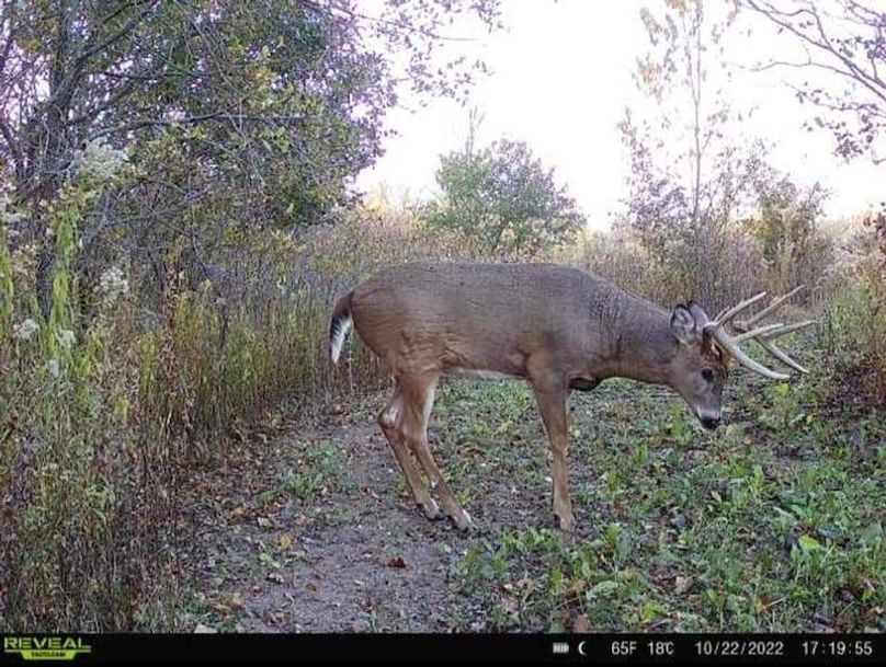
- Big Game
- Upland Game
- Predators
- Wetlands
- Tree Stands/Blinds
- Trail Network
Description
PRICE REDUCED! On occasion a land owner brings me one of those special opportunities that really make me get excited. Not that I don't like all the listings I take, but now and then, I just get a feeling, and I know I am listing a real "sleeper"! Well, this is one of those properties. I sold this property to the current owner a few years back and and they started to manage it up. I could see the potential as it was thick, with good access and located in a high deer density area of Polk County. Wi. What they did to it over the next few years is remarkable. So, I walked the entire property last night as I prepared to write this listing and one thing really stuck out. This small parcel was well thought out if you want to maximize your hunting opportunities. Access and stand sites avoided areas where the deer were living and eating. A lot of food in the form of small food plots and corn had been added to the property. I estimate about 12 ac of this 55 ac parcel are in food. Three box blinds are strategically located for easy access without disturbing key bedding areas. I noticed a feature I had not seen and I coined them "licking branch islands". These are islands of vegetation where the seller has mowed in a circle creating little islands of small trees with over hanging branches. The deer are hammering these little features! Scrapes and licking branches all around the perimeter. And, of course, they are strategically located within bow range. Oh, did I mention the seller is a land manager/habitat designer, Jake and Rodney Polk from Polk Whitetail Management? They are Polk Co. Wisconsin's premier land plan writers. So, if you want a turn-key, well-planned out property with a history of producing some real slammers, this may be it! Call Land Specialist Neil A. Hauger for a tour today.
The information contained herein is deemed reliable but is not warranted or guaranteed by the Broker, its Agents, or the Seller. Access to property, access to utilities, or any measurements including but not limited to, acreage, square footage, frontage, and mapping boundary lines shared herein has not been independently verified and is for purposes of marketing only. If exact measurements, access to property, or access to utilities is a concern, the property should be independently measured or investigated by the prospective buyer.
COOPERATING BROKER COMPENSATION: Please contact Listing Agent/Broker for terms of cooperating Buyer Broker compensation. Terms of compensation, if any, shall be ascertained by cooperating brokers before beginning efforts to accept the offer of cooperation. Buyer’s Agents/Brokers must be identified, by Buyers and/or their Brokers/Agents, on the first contact with Listing Broker/Agents to receive compensation. Otherwise, compensation will be at the sole discretion of the Seller, Broker, and Whitetail Properties Real Estate, LLC.
Real Estate Commissions and Cooperating Broker Compensation, if any, are fully negotiable and is not fixed or controlled by law, by Whitetail Properties Real Estate, LLC (or any division/trade name/DBA of), or its Agents/Brokers.
Sold Property
For more information or to see additional properties currently for sale see Neil Hauger's listings.