Southern Illinois Country Home On Acreage
Media
Summary
Property
- Type
- Farms, Recreational Land, Residential Land, Hunting Land
- Road Frontage
- State Highway
- Road Surface
- Blacktop/Asphalt
- Fencing
- Low Fence, Partial
- Outbuildings
- Shop, Barn
Land Details
- Pasture
- Timber
- Grass
- Hay
- Open
- Pond
Approximate Distances
| 40 mi | to Marion |
| 44 mi | to Paducah, KY |
| 151 mi | to St. Louis, MO |
| 159 mi | to Nashville, TN |
Utilities
| Electric: | Onsite |
| Sewer: | Onsite |
| Water: | Onsite |
Housing
Home
3BD / 1BA 1560± sqftFeatures/Improvements
- Small Game
- Big Game
- Predators
- Fish
- Trail Network
Description
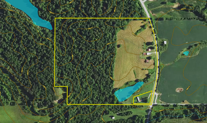
Discover the tranquility and charm of rural living with this delightful country home situated on expansive acreage. The 1,560-square-foot home offers 3 bedrooms and 1 bathroom, providing ample space for family life or a cozy retreat. The spacious kitchen and living areas are designed for comfort and practicality, while the unfinished basement offers potential for additional living space or storage. Enjoy the serene surroundings from the covered front and back porches, perfect for relaxing and taking in the views. The large yard is ideal for outdoor activities, complemented by a detached garage and storage barns that provide ample space for vehicles and equipment. This property is not just a home, but a true haven for outdoor enthusiasts and hunters. The land is a prime habitat for deer and turkey hunting, featuring gently rolling topography that creates an inviting landscape for wildlife. A 1.5+/- acre pond adds to the scenic beauty and provides a reliable water source for animals. With 12+/- acres of open ground, there are numerous ideal locations for food plots, enhancing the property's appeal to hunters. The property includes lots of edge and transition cover, essential for supporting a healthy game population. Timbered ridges and draws filled with softwoods and mast-producing hardwoods offer natural food sources and cover for wildlife. Areas of dense security and bedding cover are scattered throughout, making the property even more attractive to deer and turkey. An established trail system ensures easy navigation and access to various parts of the property. With 1,100 feet of road frontage and multiple access points, the property is both accessible and private. Utilities are available along the road frontage, adding to the convenience and potential for development. This country home on acreage offers a unique opportunity to enjoy a peaceful rural lifestyle while benefiting from excellent hunting opportunities. Whether you are looking for a permanent residence, a weekend getaway, or a hunting retreat, this property is a perfect choice. Give us a call today and schedule your private tour!
The information contained herein is deemed reliable but is not warranted or guaranteed by the Broker, its Agents, or the Seller. Access to property, access to utilities, or any measurements including but not limited to, acreage, square footage, frontage, and mapping boundary lines shared herein has not been independently verified and is for purposes of marketing only. If exact measurements, access to property, or access to utilities is a concern, the property should be independently measured or investigated by the prospective buyer.
COOPERATING BROKER COMPENSATION: Please contact Listing Agent/Broker for terms of cooperating Buyer Broker compensation. Terms of compensation, if any, shall be ascertained by cooperating brokers before beginning efforts to accept the offer of cooperation. Buyer’s Agents/Brokers must be identified, by Buyers and/or their Brokers/Agents, on the first contact with Listing Broker/Agents to receive compensation. Otherwise, compensation will be at the sole discretion of the Seller, Broker, and Whitetail Properties Real Estate, LLC.
Real Estate Commissions and Cooperating Broker Compensation, if any, are fully negotiable and is not fixed or controlled by law, by Whitetail Properties Real Estate, LLC (or any division/trade name/DBA of), or its Agents/Brokers.
Sold Property
For more information or to see additional properties currently for sale see Chad Wilkinson's listings.