Private Hunting And Buildable Land With Sugar Creek Access
Media
Summary
Property
- Type
- Recreational Land, Residential Land, Undeveloped Land, Hunting Land
- Road Frontage
- County Road
- Road Surface
- Blacktop/Asphalt
Land Details
- Pasture
- Timber
- Tillable
Approximate Distances
| 14 mi | to Versailles |
| 18 mi | to North Vernon |
| 16 mi | to Greensburg |
| 20 mi | to Batesville |
| 69 mi | to Indianapolis |
| 70 mi | to Cincinnati, OH |
Utilities
| Electric: | Nearby |
| Water: | Nearby |
Features/Improvements
- Small Game
- Big Game
- Predators
- Seller's Mineral Rights Convey
Description
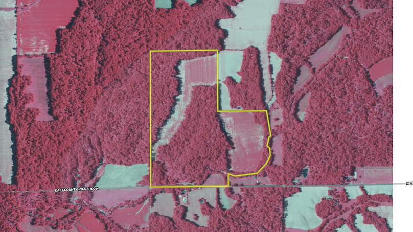
This rural tract near Osgood, Indiana, features a combination of approximately 36 acres of tillable land—untouched for the past two years—and roughly 71 acres of wooded acreage. The tillable soils are predominantly silt loams with favorable ratings. The hardwood timber has been lightly harvested, allowing sunlight to spark new growth across the hillsides. The property offers multiple access points: three established roads enter from County Road 500 N (east, central, and west), with approx. ±1,500 feet of road frontage. Electric and water services are readily available at the roadside. The parcel extends approximately 2,700 feet from the front into the interior, providing a deep, private layout. A new survey dated December 2024 clearly defines acreage and property lines. Topography features two fields set back from the road, each offering secluded build sites with minimal visibility from the roadside. Nearly no neighboring homes are visible from these sites. The combination of fields, wooded edges, trails, and access roads creates an arrangement beneficial to hunting deer and turkey, affording quiet entries and exits to minimize disturbance to game. The property abuts Sugar Creek over approximately 2,200 feet along the southeast boundary. A limited floodplain zone—roughly 100 feet on either side of the creek—occupies only a small portion of the total acreage. Potential uses include new residential construction, farming, livestock operations, recreational hunting, and long-term holding or general investment. The blend of open and wooded ground, reliable infrastructure, and surveyed boundaries supports a variety of rural land uses without overselling outcomes. Ripley County is home to Versailles State Park, with over 3,000 acres of forests, trails, and a 230-acre lake for fishing and boating. Nearby, Big Oaks National Wildlife Refuge spans more than 50,000 acres across several counties, offering public hunting, wildlife observation, and habitat for diverse species, enhancing the area’s outdoor recreation appeal.
Details
-
Predominantly silt loam soils with solid productivity
-
1,500+ ft of County Road 500 N frontage with electric and water available
-
Two secluded fields ideal for building with strong privacy
-
Light timber removal encourages flora and wildlife movement
-
Excellent deer and turkey habitat with quiet access/trail network
-
Suitable for hunting land, recreation, homesites, farming, livestock, or holding
Area Info
Other
Coordinates
39.15, -85.438
Annual Taxes
$1,691
The information contained herein is deemed reliable but is not warranted or guaranteed by the Broker, its Agents, or the Seller. Access to property, access to utilities, or any measurements including but not limited to, acreage, square footage, frontage, and mapping boundary lines shared herein has not been independently verified and is for purposes of marketing only. If exact measurements, access to property, or access to utilities is a concern, the property should be independently measured or investigated by the prospective buyer.
COOPERATING BROKER COMPENSATION: Please contact Listing Agent/Broker for terms of cooperating Buyer Broker compensation. Terms of compensation, if any, shall be ascertained by cooperating brokers before beginning efforts to accept the offer of cooperation. Buyer’s Agents/Brokers must be identified, by Buyers and/or their Brokers/Agents, on the first contact with Listing Broker/Agents to receive compensation. Otherwise, compensation will be at the sole discretion of the Seller, Broker, and Whitetail Properties Real Estate, LLC.
Real Estate Commissions and Cooperating Broker Compensation, if any, are fully negotiable and is not fixed or controlled by law, by Whitetail Properties Real Estate, LLC (or any division/trade name/DBA of), or its Agents/Brokers.