Private Hunting And Buildable Land With Sugar Creek Access Tract 2
Media
Summary
Property
- Type
- Recreational Land, Residential Land, Hunting Land
- Road Frontage
- County Road
- Road Surface
- Blacktop/Asphalt, Gravel
Land Details
- Pasture
- Timber
- Tillable
Approximate Distances
| 14 mi | to Versailles |
| 18 mi | to North Vernon |
| 16 mi | to Greensburg |
| 20 mi | to Batesville |
| 69 mi | to Indianapolis |
| 70 mi | to Cincinnati, OH |
Utilities
| Electric: | Nearby |
| Water: | Nearby |
Features/Improvements
- Small Game
- Big Game
- Predators
- Trail Network
- Seller's Mineral Rights Convey
Description
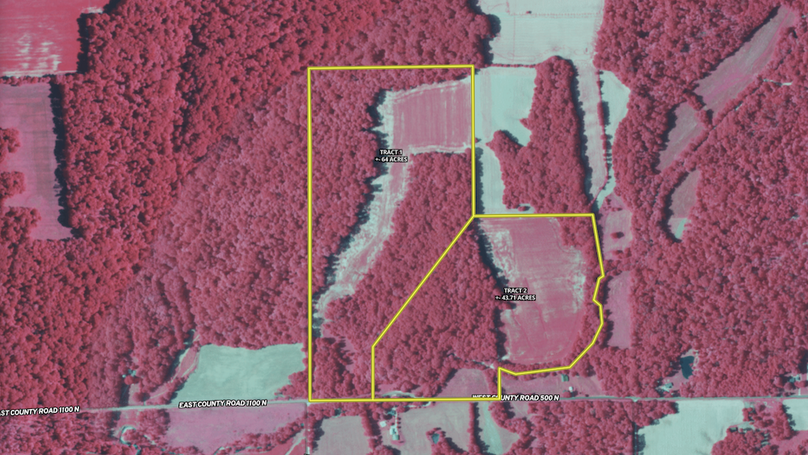
Tract 2 of 2: This ±43.71-acre rural tract near Osgood, Indiana, offers a balanced mix of +-18 acres of tillable land—untouched for two years—and +- ±25 acres of woods. The tillable soils are predominantly silt loams with favorable ratings. Hardwood timber was lightly harvested previously, encouraging new understory growth across rolling hillsides. Multiple access points exist: two established entrances from County Road 500 N and roughly 1,000 feet of frontage. Electric and water services are readily available at the roadside. A new professional survey dated December 2024 clearly defines acreage and property lines, excluding the splits.
Topographically, a field is set back from the road, offering build sites with limited visibility from the frontage. From the interior, nearly no neighboring homes are visible. The mix of open field, wooded edges, trails, and interior trails supports hunting for deer and turkey, enabling quiet entry and exit routes to minimize disturbance to wildlife. Along the southeast boundary, the property borders Sugar Creek for approximately 2,200 feet. A limited floodplain—extending about 100 feet on either side of the creek—occupies only a small portion of the total acreage.
Potential uses include new residential construction, crop farming, livestock operations, recreational hunting, or long-term holding and investment. The combination of open ground, forest, dependable infrastructure, and surveyed boundaries accommodates a variety of rural land uses. Nearby outdoor amenities enhance the region’s recreational appeal: Ripley County is home to extensive public lands, including Versailles State Park—featuring more than 5,900 acres of forest, trails, and a 230-acre lake—and the Big Oaks National Wildlife Refuge, which spans over 50,000 acres across multiple counties with opportunities for public hunting and wildlife observation.
Details
-
18 acres of tillable silt-loam soils, uncultivated for two years
-
25 acres of lightly harvested hardwoods fostering new growth
-
Two access points on County Road 500 N with ~1,000 ft of road frontage
-
Field set back from road offers secluded building sites, limited visibility
-
Suitable for residential, agricultural, livestock, recreational, or investment
Area Info
Other
Coordinates
39.149, -85.435
Annual Taxes
$500
The information contained herein is deemed reliable but is not warranted or guaranteed by the Broker, its Agents, or the Seller. Access to property, access to utilities, or any measurements including but not limited to, acreage, square footage, frontage, and mapping boundary lines shared herein has not been independently verified and is for purposes of marketing only. If exact measurements, access to property, or access to utilities is a concern, the property should be independently measured or investigated by the prospective buyer.
COOPERATING BROKER COMPENSATION: Please contact Listing Agent/Broker for terms of cooperating Buyer Broker compensation. Terms of compensation, if any, shall be ascertained by cooperating brokers before beginning efforts to accept the offer of cooperation. Buyer’s Agents/Brokers must be identified, by Buyers and/or their Brokers/Agents, on the first contact with Listing Broker/Agents to receive compensation. Otherwise, compensation will be at the sole discretion of the Seller, Broker, and Whitetail Properties Real Estate, LLC.
Real Estate Commissions and Cooperating Broker Compensation, if any, are fully negotiable and is not fixed or controlled by law, by Whitetail Properties Real Estate, LLC (or any division/trade name/DBA of), or its Agents/Brokers.