Beautiful Hilltop Farm In East Central Iowa
Reduced
Media
Summary
Property
- Type
- Farms, Ranches, Recreational Land, Timberland, Undeveloped Land, Hunting Land, Horse Property
- Road Frontage
- County Road
- Road Surface
- Gravel
- Fencing
- Partial, Low
Land Details
- Pasture
- Timber
- Tillable
- Enrolled in Government Program
- Grass
- Hay
- Open
- Pond
Approximate Distances
| 2.5 mi | to Chelsea |
| 5 mi | to Belle Plaine |
| 40 mi | to Cedar Rapids |
| 70 mi | to Ames |
Utilities
| Electric: | Nearby |
| Water: | Nearby |
Features/Improvements
- Small Game
- Big Game
- Upland Game
- Predators
- Trail Network
Description
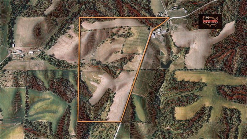
PRICE REDUCED! This 90-acre farm sits in the majestic rolling hills above the Iowa River, in an area known for its beauty and strong whitetail country. With a mix of income acres, pasture, timber, and brush, it lies out naturally for both recreation and mixed-use investment.
The farm includes 29 acres of CRP enrolled through 2033, paying $255/acre for an annual income of $7,565. The CRP fields are tall and thick, with excellent stands of native grass that not only generate income but also provide valuable cover and wildlife habitat. There’s also a 9-acre crop field that could add a little more income if you rent it out. From the gravel road, the property is mostly hidden thanks to this dense screening from the native grasses and crops, giving it a private feel. In the middle, there is 30 acres of pasture that has two ridges and two draws, and the remaining 23 acres of brushy timber round out the diversity.
For hunters, the potential here is easy to see. The north CRP field stretches west and borders adjoining timber, making it a natural food plot site. The deer sign is already evident, and with a food source in place, this area would become a reliable hunting setup. On the south end, a winding trail leads back to an old hunting blind overlooking a secluded bottom. This section is a thick bedding area that has produced consistent deer activity for years. A small pond is already in place, but the deep ravines across the property create opportunities for building a larger pond in the future.
This farm has great bones because of its layout and location. It’s naturally a good hunting property, but for a buyer who wants a project farm, the habitat improvements and development potential here are exciting. The diversity of income, agriculture, and timber will appeal to a wide range of buyers. And for those who want to build, there are several attractive sites with westerly views from the high road. All of this sits less than a mile from the hard surface road connecting Chelsea and Belle Plaine.
Contact listing agent Ben Harshyne with Whitetail Properties Real Estate if you’re interested.
Details
-
90 acres in southeast Tama County
-
Between Chelsea and Belle Plaine
-
Less than 1 mile from blacktop road
-
Great building sites
-
Hunting property, mixed use farm with CRP, pasture, tillable, timber
-
In the hills above the Iowa River
-
29 acres CRP through 2033, $7,565 annual income
-
Thick native grass fields
-
9-acre crop field
-
30-acre pasture with ridges, draws, small spring-fed pond
-
23 acres of brushy timber for diversity
-
Private feel, mostly hidden from the road
-
North field would be a perfect food plot location
-
South trail leads to blind over secluded bottom
-
Excellent large pond site
-
40 miles west of Cedar Rapids
-
1 hour from Iowa City
-
Less than 1.5 hours from Ames and Des Moines
-
Taxes approximately $1,200 pending Tama County Assessor verification
Area Info
Other
Coordinates
41.931145, -92.353009
The information contained herein is deemed reliable but is not warranted or guaranteed by the Broker, its Agents, or the Seller. Access to property, access to utilities, or any measurements including but not limited to, acreage, square footage, frontage, and mapping boundary lines shared herein has not been independently verified and is for purposes of marketing only. If exact measurements, access to property, or access to utilities is a concern, the property should be independently measured or investigated by the prospective buyer.
COOPERATING BROKER COMPENSATION: Please contact Listing Agent/Broker for terms of cooperating Buyer Broker compensation. Terms of compensation, if any, shall be ascertained by cooperating brokers before beginning efforts to accept the offer of cooperation. Buyer’s Agents/Brokers must be identified, by Buyers and/or their Brokers/Agents, on the first contact with Listing Broker/Agents to receive compensation. Otherwise, compensation will be at the sole discretion of the Seller, Broker, and Whitetail Properties Real Estate, LLC.
Real Estate Commissions and Cooperating Broker Compensation, if any, are fully negotiable and is not fixed or controlled by law, by Whitetail Properties Real Estate, LLC (or any division/trade name/DBA of), or its Agents/Brokers.