Majestic Farm Located Next To A No-Hunting Refuge And Skunk River In Southeast Iowa
Media
Summary
Property
- Type
- Farms, Ranches, Undeveloped Land
Land Details
- Tillable
Description
Live and Online at Ranchandfarmauctions.com
Auction Date: 8/13/2025
Auction Time: 5:00 PM CT
Auction Held At: Lake Darling Lodge, 111 Lake Darling Rd, Brighton, IA 52540
Property Preview: Contact Agent For Details
Entire Farm Description:
Majestic Farm Located Next to a No-Hunting Refuge and the Skunk River in Southeast Iowa
Washington County, IA 511 - Harbison Cattle Company
Every once in a blue moon, and when you least expect it, an opportunity comes along to own a farm that truly is in a class of its own. Whitetail Properties Real Estate and Ranch & Farm Auctions is honored to present a rare chance to acquire part of a legacy farm—the secluded and storied land formerly known as Springtown.
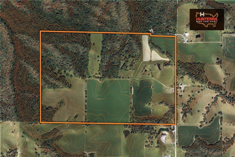
In real estate, they say location is everything, and that couldn’t be more true here. This offering sits at the end of a dead-end road, tucked between southern Iowa’s infamous Skunk River and the protected wildlife sanctuary of Brinton Timber. Located upriver from Brighton in southwest Washington County, the two tracts span approximately 511 acres on both sides of Fir Avenue, blending privacy, income, habitat, and raw beauty.
West Farm (Tract 1) 238± acres
Tract 1 lies on the west side and directly adjoins Brinton Timber—a county-owned sanctuary where no hunting is allowed. It’s not often you can buy land that borders a protected refuge like this, offering a major advantage for hunters and deer management-minded buyers. There are 98 tillable acres, 25 in the Conservation Reserve Program, and about 115 acres in timber. A select harvest recently removed only the oldest and largest trees, preserving future value and improving wildlife cover. I noticed that the terrain here is flatter than most mixed-use properties, making it easier to farm while still offering strong habitat potential. The northeast 40 is dynamic, and has open groves that make excellent staging and transition areas, one of the foodplot areas, and two fishable ponds. To the far west in the back, there is a secluded cove adjoining the fence line against the vast county park timber. This spot would be an incredible green plot to set up as the deer move toward the middle of the farm, where the big fields are. Lastly, the north field is flanked by large blocks of timber, and is of the size and shape that make dream late-season cold weather setups. Can you imagine the deer piling out of Brinton, toward your blind, as the snow is falling?! Completing the west farm offering is a new open-faced barn for storing equipment, and a large insulated machine shed that could be a great place to set up as a weekend getaway if you choose not to build in one of the many great building site areas. This property is subject to a covenant that prohibits the establishment or operation of any commercial swine feeding operation (CAFO) and the application of swine manure on the land.
East Farm (Tract 2) 273± acres
Across the road, the east side is a completely different world—rugged, scenic, and deeply rooted in natural history. Rolling hills, winding valleys, and ancient oaks create a timeless feel. These massive hardwoods are remnants of the pre-agriculture oak savanna, giving this tract a rare, old-school character. It’s been a working cattle farm for generations, sustained by natural springs and protected hollows. One of the most striking features is the presence of live water. Several drainages carry fresh spring water through the valleys, including one high-pressure tube that has purged crystal-clear spring water for as long as anyone can remember. It’s a rare and valuable resource. The east tract has approximately 51 crop acres and a beautiful 22-acre hay meadow. Several CRP fields generate modest income and reflect the stewardship this land has received over the years. Washington County is known for its flat farmland, but there’s nothing else like this place nearby. The terrain here is full of subtle folds and ridges, creating a sense of seclusion that makes you feel like you’ve stepped into another era. With its proximity to the Skunk River and bordering large tracts, this side holds massive potential as a premier hunting and recreational property. This farm is a celebration of everything southern Iowa can offer—rolling pasture, spring-fed valleys, scattered timber, productive fields, and a history that’s written in the landscape itself. This property is subject to a covenant that prohibits the establishment or operation of any commercial swine feeding operation (CAFO) and the application of swine manure on the land. There is a private cemetery on tract 2. The Smith family has a permanent access easement to visit the cemetery. The owner of Washington County parcel 1313200006 has a nonexclusive easement for access to and use of the natural spring located north of said parcel. Parcel owner must maintain the cistern and submersible pump for parcel owner's use.
Tract 1 Description:
Tract 1 lies on the west side and directly adjoins Brinton Timber—a county-owned sanctuary where no hunting is allowed. It’s not often you can buy land that borders a protected refuge like this, offering a major advantage for hunters and deer management-minded buyers. There are 98 tillable acres, 25 in the Conservation Reserve Program, and about 115 acres in timber. A select harvest recently removed only the oldest and largest trees, preserving future value and improving wildlife cover. I noticed that the terrain here is flatter than most mixed-use properties, making it easier to farm while still offering strong habitat potential. The northeast 40 is dynamic, and has open groves that make excellent staging and transition areas, one of the foodplot areas, and two fishable ponds. To the far west in the back, there is a secluded cove adjoining the fence line against the vast county park timber. This spot would be an incredible green plot to set up as the deer move toward the middle of the farm, where the big fields are. Lastly, the north field is flanked by large blocks of timber and is of the size and shape that makes for dream late-season cold-weather setups. Can you imagine the deer piling out of Brinton, toward your blind, as the snow is falling! Completing the west farm offering is a new open-faced barn for storing equipment, and a large insulated machine shed that could be a great place to set up as a weekend getaway if you choose not to build in one of the many great building site areas. This property is subject to a covenant that prohibits the establishment or operation of any commercial swine feeding operation (CAFO) and the application of swine manure on the land.
Tract #: Tract 1
Deeded acres: 238± acres
FSA Farmland Acres: 97.87 row crop
Soil Types: Clinton silt loam, Keomah silt loam
Soil PI/NCCPI/CSR2: CSR2 74.8
CRP Acres/payment: 26.73 acres CRP thru 2028
Taxes: $5912
Lease Status: Tillable leased thru 3/1/2035
Possession: Immediate possession
Survey needed?: No survey needed
Brief Legal: 238± ACRES SE ¼ SW ¼ AND PT S ½ SE ¼ S11, N ½ NE ¼ AND NE ¼ NW ¼ S14 T74N R9W WASHINGTON CO IA
PIDs: 13-11-300-004, 13-11-400-009, 13-11-400-007, 13-14-100-002, 13-14-200-001, 13-14-200-002
Lat/Lon: 41.21811, -91.85662
Zip Code: 52540
Tract 2 Description:
Across the road, the east side is a completely different world—rugged, scenic, and deeply rooted in natural history. Rolling hills, winding valleys, and ancient oaks create a timeless feel. These massive hardwoods are remnants of the pre-agriculture oak savanna, giving this tract a rare, old-school character. It’s been a working cattle farm for generations, sustained by natural springs and protected hollows. One of the most striking features is the presence of live water. Several drainages carry fresh spring water through the valleys, including one high-pressure tube that has purged crystal-clear spring water for as long as anyone can remember. It’s a rare and valuable resource. The east tract has approximately 51 crop acres and a beautiful 22-acre hay meadow. Several CRP fields generate modest income and reflect the stewardship this land has received over the years. Washington County is known for its flat farmland, but there’s nothing else like this place nearby. The terrain here is full of subtle folds and ridges, creating a sense of seclusion that makes you feel like you’ve stepped into another era. With its proximity to the Skunk River and bordering large tracts, this side holds massive potential as a premier hunting and recreational property. This farm celebrates everything southern Iowa has to offer—rolling pastures, spring-fed valleys, scattered timber, productive fields, and a history written in the landscape itself. This property is subject to a covenant that prohibits the establishment or operation of any commercial swine feeding operation (CAFO) and the application of swine manure on the land. There is a private cemetery on tract 2. The Smith family has a permanent access easement to visit the cemetery.
Tract #: Tract 2
Deeded Acres: 273± acres
FSA Farmland Acres: 75± acres
Soil Types: Clinton silt loam, Ainsworth silt loam
Soil PI/NCCPI/CSR2: CSR2 68.5
CRP Acres/payment: 1.1 acres CRP thru 2028
Taxes: $7762
Lease Status: Tillable leased thru 3/1/2035
Possession: Immediate possession
Survey needed?: No survey needed
Brief Legal: 273± ACRES SE ¼ SW ¼ AND SW ¼ SE ¼ S12 AND PT NE ¼ AND PT NW ¼ NE ¼ S13 T74N R9W WASHINGTON CO IA
PIDs: 13-12-300-004, 13-12-400-005, 13-13-100-001, 13-13-100-003, 13-13-100-002, 13-13-100-006, 13-12-300-006
Lat/Lon: 41.21788, -91.84229
Zip Code: 52540
The information contained herein is deemed reliable but is not warranted or guaranteed by the Broker, its Agents, or the Seller. Access to property, access to utilities, or any measurements including but not limited to, acreage, square footage, frontage, and mapping boundary lines shared herein has not been independently verified and is for purposes of marketing only. If exact measurements, access to property, or access to utilities is a concern, the property should be independently measured or investigated by the prospective buyer.
COOPERATING BROKER COMPENSATION: Please contact Listing Agent/Broker for terms of cooperating Buyer Broker compensation. Terms of compensation, if any, shall be ascertained by cooperating brokers before beginning efforts to accept the offer of cooperation. Buyer’s Agents/Brokers must be identified, by Buyers and/or their Brokers/Agents, on the first contact with Listing Broker/Agents to receive compensation. Otherwise, compensation will be at the sole discretion of the Seller, Broker, and Whitetail Properties Real Estate, LLC.
Real Estate Commissions and Cooperating Broker Compensation, if any, are fully negotiable and is not fixed or controlled by law, by Whitetail Properties Real Estate, LLC (or any division/trade name/DBA of), or its Agents/Brokers.
Sold Property
For more information or to see additional properties currently for sale see Ben Harshyne's listings.