40 Acres of Hardwoods on Beaucoup Creek
Media
Summary
Property
- Type
- Recreational Land, Hunting Land
- Outbuildings
- Metal
Land Details
- Timber
Approximate Distances
| 15 miles | to Caney Lake |
| 32 miles | to Monroe, La. |
| 13 miles | to Columbia, La. |
Features/Improvements
- Small Game
- Big Game
Description
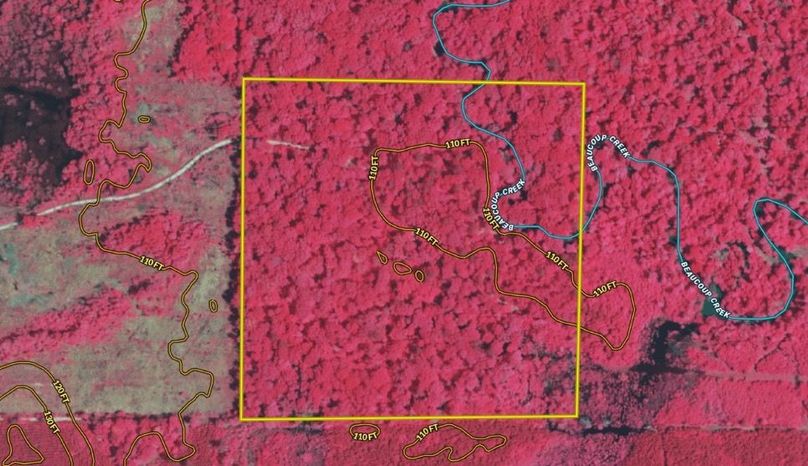
Looking for a quiet place to escape and enjoy the outdoors? This 40-acre tract along Beaucoup Creek offers the seclusion and natural beauty you’ve been searching for. The property is covered in mature hardwoods and provides excellent wildlife habitat with plenty of acorns and cover to attract deer, squirrels, and turkeys. The towering timber creates a true “big woods” feel that’s rare to find on a smaller tract and holds long-term timber value. Beaucoup Creek meanders through the land, adding both beauty and natural resources that benefit wildlife and create a peaceful setting for camping, fishing, or simply relaxing by the water. Tucked in the center of the property is a small camp that has served as a base for hunting trips and weekend getaways. The camp currently runs off a generator and will need some improvements, but it’s a great starting point to create your own retreat. With no water or electricity on-site, this is an ideal spot for anyone looking for a true off-the-grid getaway. Whether you’re an avid hunter, an outdoor enthusiast, or someone seeking peace and quiet, this property may be perfect for you. Ideal for a hunting retreat, a weekend escape, or a long-term investment, this 40-acre tract on Beaucoup Creek deserves a closer look.
Details
-
Mature hardwood timber
-
Camp onsite
-
Good hunting
-
Quiet and secluded area
-
Beaucoup creek
Other
Coordinates
32.08587, -92.30164
The information contained herein is deemed reliable but is not warranted or guaranteed by the Broker, its Agents, or the Seller. Access to property, access to utilities, or any measurements including but not limited to, acreage, square footage, frontage, and mapping boundary lines shared herein has not been independently verified and is for purposes of marketing only. If exact measurements, access to property, or access to utilities is a concern, the property should be independently measured or investigated by the prospective buyer.
COOPERATING BROKER COMPENSATION: Please contact Listing Agent/Broker for terms of cooperating Buyer Broker compensation. Terms of compensation, if any, shall be ascertained by cooperating brokers before beginning efforts to accept the offer of cooperation. Buyer’s Agents/Brokers must be identified, by Buyers and/or their Brokers/Agents, on the first contact with Listing Broker/Agents to receive compensation. Otherwise, compensation will be at the sole discretion of the Seller, Broker, and Whitetail Properties Real Estate, LLC.
Real Estate Commissions and Cooperating Broker Compensation, if any, are fully negotiable and is not fixed or controlled by law, by Whitetail Properties Real Estate, LLC (or any division/trade name/DBA of), or its Agents/Brokers.