104+/- Acres Of Prime Farmland, Hardwoods And Hunting
New
Media
Summary
Property
- Type
- Recreational Land, Undeveloped Land, Hunting Land
- Road Frontage
- County Road
Land Details
- Timber
Approximate Distances
| 4.55 mi | to Cuba |
| 2.93 mi | to Friendship |
| 3.1 mi | to I-86 |
Utilities
| Electric: | Nearby |
Features/Improvements
- Small Game
- Big Game
- Seller's Mineral Rights Convey
Description
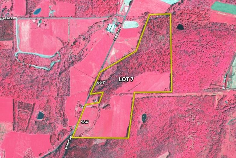
Discover the beauty and exceptional potential of this 104-acre recreational and agricultural property, where open farmland and mature hardwood forest come together to create a truly versatile countryside retreat. Tucked away for privacy yet easily accessible by a shared roadway and a private access road, the land offers a peaceful setting well-suited for farming, hunting, and relaxation. The property features three productive fields, including one lower field and two upper fields with views, providing excellent opportunities for agricultural use, pasture, or food plots. Complimenting the fields is an impressive 53-acre +/- stand of mature hardwoods, offering long-term timber value, scenic beauty, and outstanding wildlife habitat. Outdoor enthusiasts will appreciate the strong presence of deer and other game that regularly move through the fields and forest, making this property an ideal hunting destination. The combination of open ground and wooded acreage also creates an excellent setting for a cabin or retreat, with the potential for sweeping views of the surrounding countryside. Whether your vision includes agricultural production, recreational enjoyment, timber management, or generating income through land leasing, this property offers the flexibility to support it all. If agriculture is your primary interest, there are two sister lots (#9 & #10) that connect to this property to expand your tillable presence. With its balanced mix of fields and forest, quiet surroundings, and strong access, this land stands out as both a rewarding country getaway and a solid long-term investment opportunity. Call today for more details or to schedule a showing! ADDITIONAL INFORMATION: Timber and GMO rights convey, Tillable acres, Electric at the road, 4.55 miles to Cuba, 2.93 miles to Friendship, 3.1 miles to I-86. Taxes $TBD. Buyer agent must be present on all showings. Do not send clients out without accompanying them. Disclaimer: Map illustrations are for reference purposes only and not the representations of the Listing agent or brokerage Whitetail Properties Real Estate LLC. Illustrations are provided by Land ID. Parties should be advised to confirm Illustrations with licensed professional service providers.
Details
-
104+/- acres located in Allegany County
-
Combination of productive farmland and mature hardwood forest
-
Three open fields including one lower field and two upper fields with views
-
Approximately 53+/- acres of mature hardwood timber
-
Strong deer and wildlife activity throughout the property
-
Suitable for agriculture, hunting, recreation, or future building sites
-
Access provided by a shared roadway and a private access road
-
Electric available at the road
-
Timber and GMO rights convey
-
Buyer agent must be present on all showings, please do not send clients out without accompanying them
-
NYS MLS #11623388
Other
Coordinates
42.1982, -78.19405
The information contained herein is deemed reliable but is not warranted or guaranteed by the Broker, its Agents, or the Seller. Access to property, access to utilities, or any measurements including but not limited to, acreage, square footage, frontage, and mapping boundary lines shared herein has not been independently verified and is for purposes of marketing only. If exact measurements, access to property, or access to utilities is a concern, the property should be independently measured or investigated by the prospective buyer.
COOPERATING BROKER COMPENSATION: Please contact Listing Agent/Broker for terms of cooperating Buyer Broker compensation. Terms of compensation, if any, shall be ascertained by cooperating brokers before beginning efforts to accept the offer of cooperation. Buyer’s Agents/Brokers must be identified, by Buyers and/or their Brokers/Agents, on the first contact with Listing Broker/Agents to receive compensation. Otherwise, compensation will be at the sole discretion of the Seller, Broker, and Whitetail Properties Real Estate, LLC.
Real Estate Commissions and Cooperating Broker Compensation, if any, are fully negotiable and is not fixed or controlled by law, by Whitetail Properties Real Estate, LLC (or any division/trade name/DBA of), or its Agents/Brokers.