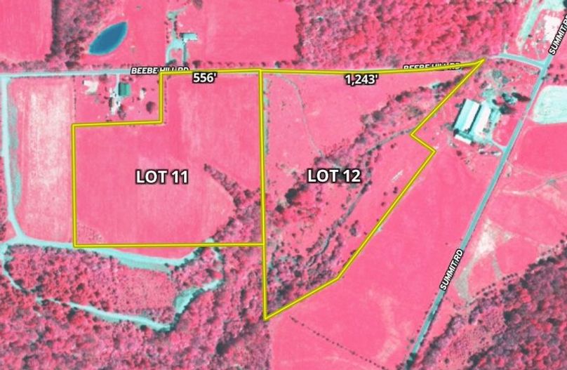
20.22+/- Acres Of Prime Tillable Farmland With Building Potential
New
Media
Summary
Property
Approximate Distances
| 3.85 mi | to Cuba |
| 2.72 mi | to Friendship |
| 3.1 mi | to I-86 |
Utilities
| Electric: | Nearby |
Features/Improvements
- Seller's Mineral Rights Convey
Description
This 20.22+-/ acre property sits high on Beebe Hill Road overlooking hills and has a south-facing view. Currently, this property is in hay production and offers an excellent opportunity for agricultural use, future development, or a country home with ample road frontage. The land is well laid out for efficient farming while also offering flexibility for a variety of other uses. There is a sister lot (#12) connecting to this parcel that is pasture ground if you choose to expand your ag land or a building site. With productive soils, an efficient field layout, and multiple use possibilities, this property is an easy access property with beautiful views. Call today for more details or to schedule a showing! ADDITIONAL INFORMATION: Timber and GMO rights convey, Tillable acres, Electric at the road, 3.85 miles to Cuba, 2.72 miles to Friendship, 3.1 miles to I-86. Taxes $TBD. Buyer agent must be present on all showings. Do not send clients out without accompanying them. Disclaimer: Map illustrations are for reference purposes only and not the representations of the Listing agent or brokerage Whitetail Properties Real Estate LLC. Illustrations are provided by Land ID. Parties should be advised to confirm Illustrations with licensed professional service providers.
Details
-
20.22+/- acres of productive tillable land
-
Elevated setting with south-facing views
-
Currently in hay production
-
Ample road frontage on Beebe Hill Road
-
Electric available at the road
-
Sister lot available for potential expansion
-
Timber and GMO rights convey
-
Buyer agent must be present on all showings, please do not send clients out without accompanying them
-
NYS MLS #11623613
Other
Coordinates
42.1968, -78.1999
The information contained herein is deemed reliable but is not warranted or guaranteed by the Broker, its Agents, or the Seller. Access to property, access to utilities, or any measurements including but not limited to, acreage, square footage, frontage, and mapping boundary lines shared herein has not been independently verified and is for purposes of marketing only. If exact measurements, access to property, or access to utilities is a concern, the property should be independently measured or investigated by the prospective buyer.
COOPERATING BROKER COMPENSATION: Please contact Listing Agent/Broker for terms of cooperating Buyer Broker compensation. Terms of compensation, if any, shall be ascertained by cooperating brokers before beginning efforts to accept the offer of cooperation. Buyer’s Agents/Brokers must be identified, by Buyers and/or their Brokers/Agents, on the first contact with Listing Broker/Agents to receive compensation. Otherwise, compensation will be at the sole discretion of the Seller, Broker, and Whitetail Properties Real Estate, LLC.
Real Estate Commissions and Cooperating Broker Compensation, if any, are fully negotiable and is not fixed or controlled by law, by Whitetail Properties Real Estate, LLC (or any division/trade name/DBA of), or its Agents/Brokers.