26.6+/- Acres Of Prime Tillable Farmland With Building Potential
New
Media
Summary
Property
Approximate Distances
| 4.55 mi | to Cuba |
| 2.93 mi | to Friendship |
| 3.1 mi | to I-86 |
Utilities
| Electric: | Nearby |
Features/Improvements
- Seller's Mineral Rights Convey
Description
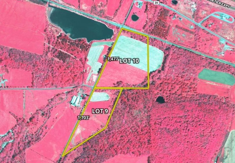
This 26.6+/- acre property offers an excellent opportunity for agricultural use, future development, or a country retreat, featuring all level and prime tillable acreage. The land is well laid out for efficient farming while also offering flexibility for a variety of other uses. The field provides an outstanding setting for a home or barn that lends itself well to scenic views and convenient access. Whether your plans include expanding an existing farm operation or establishing a rural residence, this property offers the space and versatility to bring those plans to life. For buyers looking to increase their tillable acreage or investment footprint, there is additional potential through two adjacent sister lots, identified as Lot #8 and Lot #9, which can be paired with this property to create a larger, contiguous land holding. This makes the property especially attractive for agricultural expansion or long-term land investment. With productive soils, an efficient field layout, and multiple use possibilities, this property is an easy access, easy tillable opportunity. Call today for more details or to schedule a showing! ADDITIONAL INFORMATION: Timber and GMO rights convey, Tillable acres, Electric at the road, 4.55 miles to Cuba, 2.93 miles to Friendship, 3.1 miles to I-86. Taxes $TBD. Buyer agent must be present on all showings. Do not send clients out without accompanying them. Disclaimer: Map illustrations are for reference purposes only and not the representations of the Listing agent or brokerage Whitetail Properties Real Estate LLC. Illustrations are provided by Land ID. Parties should be advised to confirm Illustrations with licensed professional service providers.
Details
-
26.6+/- acres located in Allegany County
-
Level parcel consisting entirely of tillable farmland
-
Efficient field layout suitable for farming operations
-
Potential building site for a home or barn
-
Productive soils with multiple future use options
-
Easy access for equipment and vehicles
-
Electric available at the road
-
Opportunity to expand with adjacent sister lots
-
Timber and GMO rights convey
-
Buyer agent must be present on all showings, please do not send clients out without accompanying them
-
NYS MLS#11623556
Other
Coordinates
42.1982, -78.19405
The information contained herein is deemed reliable but is not warranted or guaranteed by the Broker, its Agents, or the Seller. Access to property, access to utilities, or any measurements including but not limited to, acreage, square footage, frontage, and mapping boundary lines shared herein has not been independently verified and is for purposes of marketing only. If exact measurements, access to property, or access to utilities is a concern, the property should be independently measured or investigated by the prospective buyer.
COOPERATING BROKER COMPENSATION: Please contact Listing Agent/Broker for terms of cooperating Buyer Broker compensation. Terms of compensation, if any, shall be ascertained by cooperating brokers before beginning efforts to accept the offer of cooperation. Buyer’s Agents/Brokers must be identified, by Buyers and/or their Brokers/Agents, on the first contact with Listing Broker/Agents to receive compensation. Otherwise, compensation will be at the sole discretion of the Seller, Broker, and Whitetail Properties Real Estate, LLC.
Real Estate Commissions and Cooperating Broker Compensation, if any, are fully negotiable and is not fixed or controlled by law, by Whitetail Properties Real Estate, LLC (or any division/trade name/DBA of), or its Agents/Brokers.