60.7+/- Wooded Acres Near Bolivar For Camp, Hunt Or Build
Media
Summary
Property
- Type
- Recreational Land, Undeveloped Land, Hunting Land
Land Details
- Open
Approximate Distances
| 1.1 mi | to Bolivar |
| 9.6 mi | to Wellsville |
| 4.6 mi | to PA line |
| 9.8 mi | to I-86 Southern Tier Expressway |
Utilities
| Electric: | Nearby |
Features/Improvements
- Small Game
- Big Game
- Gated Entrance
Description
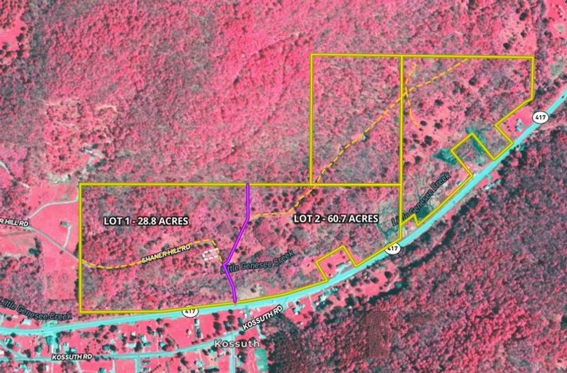
Experience the ideal balance of privacy and accessibility on this stunning 60.7 +/- acre wooded parcel, located just 1.1 miles from the center of Bolivar, NY. Tucked just off Route 417, this property is well-suited for building a cabin, placing a camper, or simply enjoying a peaceful off-grid retreat. With no zoning restrictions, the possibilities for recreation and use are virtually endless. Access begins with a shared driveway with Lot #1 for the first 300 feet, then continues 1,700 feet deep into the property, ending at a cleared, private opening—a perfect location for your future cabin, camper site, food plot, or elevated hunting blind. Surrounded by mature hardwoods, thick cover, and natural trails, this property offers excellent habitat for deer, turkey, and other wildlife, making it an exceptional choice for hunters and nature lovers alike. This property is a sister property to Lot #1, a 28.8 acre parcel with an improved building lot on it. You may combine these lots for an even larger footprint of country living, deer hunting, and privacy. Whether you're planning a weekend escape, setting up a hunting base camp, or envisioning an accessible hunting tract, this property offers all the peace and freedom of rural living—yet remains just minutes from the conveniences of town. ADDITIONAL INFORMATION: Borders Lot #1 (28.8 acres), GMOs Convey, Electric at the road, 28.8 +/- Wooded acres, 60' x 100' level, Cleared building site, Gated shared driveway access off Rt 417, 2,000 ft of driveway access (300 ft shared + 1,700 ft private), Secluded location, not visible from the road, 1.1 miles to Bolivar town center, Excellent setting for a cabin, blinds, or hunting, Abundant wildlife, natural beauty, and peaceful surroundings, 2000 ft Road frontage, 1.1 miles to Bolivar, 9.6 miles to Wellsville, 4.6 miles to PA line, 9.8 miles to I-86 southern tier expressway. Buyer's agent must be present on all showings. Do not send clients out without accompanying them. Disclaimer: Map illustrations are for reference purposes only and not the representations of the Listing agent or brokerage Whitetail Properties Real Estate LLC. Illustrations are provided by Land ID. Parties should be advised to confirm Illustrations with licensed professional service providers.
Details
-
60.7+/- wooded acres in Allegany County
-
Shared driveway for 300 ft, private access for 1,700 ft
-
Private clearing ideal for cabin, camper, or hunting blind
-
Excellent deer and turkey habitat with natural trails
-
No zoning restrictions allows for versatile land use
-
Electric available at the road
-
2,000 ft of road frontage
-
Borders Lot #1 (28.8+/- acres) also available
-
Buyer's agent must be present on all showings, do not send clients out without accompanying them
Other
Coordinates
42.06634, -78.14304
The information contained herein is deemed reliable but is not warranted or guaranteed by the Broker, its Agents, or the Seller. Access to property, access to utilities, or any measurements including but not limited to, acreage, square footage, frontage, and mapping boundary lines shared herein has not been independently verified and is for purposes of marketing only. If exact measurements, access to property, or access to utilities is a concern, the property should be independently measured or investigated by the prospective buyer.
COOPERATING BROKER COMPENSATION: Please contact Listing Agent/Broker for terms of cooperating Buyer Broker compensation. Terms of compensation, if any, shall be ascertained by cooperating brokers before beginning efforts to accept the offer of cooperation. Buyer’s Agents/Brokers must be identified, by Buyers and/or their Brokers/Agents, on the first contact with Listing Broker/Agents to receive compensation. Otherwise, compensation will be at the sole discretion of the Seller, Broker, and Whitetail Properties Real Estate, LLC.
Real Estate Commissions and Cooperating Broker Compensation, if any, are fully negotiable and is not fixed or controlled by law, by Whitetail Properties Real Estate, LLC (or any division/trade name/DBA of), or its Agents/Brokers.