Secluded Hilltop Hunting Cabin Retreat With Utilities
New
Media
Summary
Property
- Type
- Recreational Land, Hunting Land
Approximate Distances
| 5.5 mi | to Cuba |
| 8.9 mi | to Olean |
| 5.9 mi | to Hinsdale |
Utilities
| Electric: | Onsite |
| Water: | Onsite |
Housing
Cabin
1BD / 1BA 900± sqft Built in 1998Features/Improvements
- Small Game
- Big Game
- Seller's Mineral Rights Convey
Description
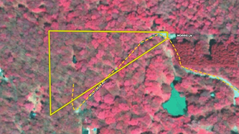
Tucked away on a private and hidden hilltop, this 2.9-acre retreat offers peace, seclusion, and the perfect country escape. Built in 1998, the cozy 900 sq. ft. cabin welcomes you with an open-concept design and soaring ceilings. A spacious loft overlooks the main floor, providing plenty of room for multiple beds or the opportunity to create private bedroom spaces to suit your needs. Step outside and you'll find a campfire area ready for summer gatherings or crisp fall evenings under the stars. Surrounded by nature, yet just a short drive to the conveniences of Cuba, this property is ideal for a weekend getaway, hunting cabin, or even a year-round residence with a few updates and a little finishing touch. If you've been searching for a private hideaway with character and potential, this Wolf Creek gem is waiting for you. Call today for more details or to schedule a showing! ADDITIONAL INFORMATION: Timber and GMO rights convey, Deer Hunting, Turkey Hunting, Electric, Well and Septic on site, 5.5 miles to Cuba, 8.9 miles to Olean, 5.9 miles to Hinsdale. Taxes $2,350, No HOA Fee. Buyer agent must be present on all showings. Do not send clients out without accompanying them. Disclaimer: Map illustrations are for reference purposes only and not the representations of the Listing agent or brokerage. Illustrations are provided by Land ID. Parties should be advised to confirm Illustrations with licensed professional service providers.
Details
-
2.9+/- acres tucked on a private hilltop
-
900 sq ft cabin built in 1998
-
Spacious loft for beds or private rooms
-
Open concept design with high ceilings
-
Electric, well, and septic in place
-
Campfire area for gatherings
-
Timber and GMO rights convey
-
Deer and turkey hunting opportunities
-
Available 10/01/2025
-
Buyer agent must be present on all showings, Do not send clients out without accompanying them
-
MLS #11576723
Other
Coordinates
42.14252, -78.2774
Annual Taxes
$2,350
The information contained herein is deemed reliable but is not warranted or guaranteed by the Broker, its Agents, or the Seller. Access to property, access to utilities, or any measurements including but not limited to, acreage, square footage, frontage, and mapping boundary lines shared herein has not been independently verified and is for purposes of marketing only. If exact measurements, access to property, or access to utilities is a concern, the property should be independently measured or investigated by the prospective buyer.
COOPERATING BROKER COMPENSATION: Please contact Listing Agent/Broker for terms of cooperating Buyer Broker compensation. Terms of compensation, if any, shall be ascertained by cooperating brokers before beginning efforts to accept the offer of cooperation. Buyer’s Agents/Brokers must be identified, by Buyers and/or their Brokers/Agents, on the first contact with Listing Broker/Agents to receive compensation. Otherwise, compensation will be at the sole discretion of the Seller, Broker, and Whitetail Properties Real Estate, LLC.
Real Estate Commissions and Cooperating Broker Compensation, if any, are fully negotiable and is not fixed or controlled by law, by Whitetail Properties Real Estate, LLC (or any division/trade name/DBA of), or its Agents/Brokers.