Country Living And Beautiful MIR Home In Birdsall, NY With Acreage
Media
Summary
Property
- Type
- Farms, Residential Land, Hunting Land, Oceanfront
- Road Surface
- Gravel, Dirt
Utilities
| Electric: | Onsite |
| Propane: | Onsite |
Features/Improvements
- Small Game
- Big Game
- Food Plot
- Tree Stands/Blinds
- Trail Network
Description
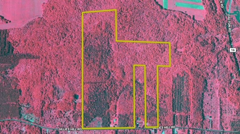
We are pleased to present this beautiful and tranquil property with a move in ready home in Birdsall. This large property boasts mixed hard woods, softwoods and conifers nestled quietly in the Allegany County hills. This home is a country living charmer for those seeking a lifestyle of fall color days, stary nights and wildlife abounding out your back door. Central to Caneadea, Portage, Angelica, and Arkport this property is located conveniently to the services of four towns. Upon approach, a long driveway leads through an open yard where the house presents itself at 255 feet from the road offering even more privacy. A board and batten finished exterior compliments a rustic and country look, with an elevated deck spanning the full width of the home. The deck is oriented north and has wonderful view of the forest and a field where deer, turkey and smaller animals entertain you. A natural setting for a food plot between the maples. The main living area is the upper level, while the garage can store two cars, it also has ample storage, the utilities and a second side room suitable for a finished area or conversion into another bedroom, office or entertainment space. The upper level is open in concept and warms your heart with beautiful tongue and groove wood walls and a central stone hearth fireplace that goes to the ceiling. Recessed lights and two sliding deck doors provide ample light and add to volume and the feel of living in the outdoors. The kitchen is well appointed with lots of cupboard space and has a dining room area as part of its footprint. Three bedrooms and a bathroom make up the rest of the square footage, and these rooms also have a tongue and groove décor. Two utility/storage sheds are also on site for lawn mowers, ATV's and tool storage. The property is expansive at 165 acres and has nearly three miles of ATV trails meandering to all corners of the property. While touring the trails you will note a large inventory of hunting stand locations strategically located for deer hunting success. The property has several transition zones for deer, with topography changes, hardwood and softwood patches and a couple areas suited for hidden food plots. A great tradition was enjoyed here with family members for annual deer seasons. Two state forests are less than a mile from this property if you choose to expand your hunting area. There is ample room to build a small cabin or add even more blinds here for deer season. There are no gas wells on the property, however the GMO's will convey to the new owner. If you are looking for a special place to live or spend weekends enjoying country living, this one is it. Price well to sell and sold mostly furnished, call us today for your private tour and showing. ADDITIONAL INFORMATION: 2,040 feet road frontage - Electric - Well - Septic - AC - Furnace -Propane - GMO's Convey - Sold AS IS - 7.5 miles to Angelica, NY - 11.3 miles to Arkport, NY - 10.8 miles to Caneadea, NY - 14 miles to Hornell, NY - 6.2 miles to Swain ski resort - .4 miles to Gilles Hill State Forest - .75 miles to Keeney Swamp State Forest Taxes $4,501 (2023)
The information contained herein is deemed reliable but is not warranted or guaranteed by the Broker, its Agents, or the Seller. Access to property, access to utilities, or any measurements including but not limited to, acreage, square footage, frontage, and mapping boundary lines shared herein has not been independently verified and is for purposes of marketing only. If exact measurements, access to property, or access to utilities is a concern, the property should be independently measured or investigated by the prospective buyer.
COOPERATING BROKER COMPENSATION: Please contact Listing Agent/Broker for terms of cooperating Buyer Broker compensation. Terms of compensation, if any, shall be ascertained by cooperating brokers before beginning efforts to accept the offer of cooperation. Buyer’s Agents/Brokers must be identified, by Buyers and/or their Brokers/Agents, on the first contact with Listing Broker/Agents to receive compensation. Otherwise, compensation will be at the sole discretion of the Seller, Broker, and Whitetail Properties Real Estate, LLC.
Real Estate Commissions and Cooperating Broker Compensation, if any, are fully negotiable and is not fixed or controlled by law, by Whitetail Properties Real Estate, LLC (or any division/trade name/DBA of), or its Agents/Brokers.
Sold Property
For more information or to see additional properties currently for sale see Paul Vaicunas' listings.