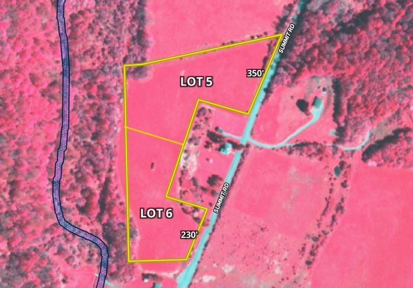
Picturesque Building Lot In Cuba, NY - Lot 6
New
Media
Summary
Property
- Type
- Recreational Land, Undeveloped Land
- Road Frontage
- County Road
Approximate Distances
| 4.55 mi | to Town of Cuba |
| 2.93 mi | to Town of Friendship |
| 3.1 mi | to Southern Tier Expressway I-80 |
Utilities
| Electric: | Nearby |
| Internet: | Nearby |
Features/Improvements
- Seller's Mineral Rights Convey
Description
Just minutes east of Cuba and minutes west of Friendship, this lot is one of two western exposure lots perched on the crown of a hill, offering views of pastures and hills to the west. Imagine mornings overlooking fall color or evenings enjoying sunsets on this quiet road. The road frontage is maintained, and electric service and internet are available at the road. Currently, the property has been an ag field, so no meaningful landscaping is required to plan your dream home location. The property is gently sloped and high and dry of wetlands, where you might consider building a home. Just 4.55 miles from the charming town of Cuba and 2.93 miles to the town of Friendship, all of your conveniences are close by. If you are a commuter, the Southern Tier Expressway (I-86) is merely 3.1 miles away to larger city centers like Olean and Hornell. If hobby farming or if you're looking to start a farmette, combining both lots might be considered as well. Call today for more details or to schedule a showing! ADDITIONAL INFORMATION: Timber and GMO rights convey, Pastures, Electric at the road, 4.55 miles to Cuba, 2.93 miles to Friendship, 3.1 miles to I-86. Taxes $TBD. Building permits are subject to buyers approval from town authorities. Buyer agent must be present on all showings. Do not send clients out without accompanying them. Disclaimer: Map illustrations are for reference purposes only and not the representations of the Listing agent or brokerage Whitetail Properties Real Estate LLC. Illustrations are provided by Land ID. Parties should be advised to confirm. Illustrations with licensed professional service providers.
Details
-
Western exposure homesite with hilltop setting
-
Maintained road frontage
-
Electric and internet available at the road
-
Gently sloped, high and dry potential build areas
-
Currently open agricultural land
-
Minutes to Cuba and Friendship
-
Convenient access to I-86 for commuting
-
Timber and GMO rights convey
-
Buyer agent must be present on all showings, please do not send clients out without accompanying them
-
NYS MLS #11623135
Other
Coordinates
42.1968, -78.1999
The information contained herein is deemed reliable but is not warranted or guaranteed by the Broker, its Agents, or the Seller. Access to property, access to utilities, or any measurements including but not limited to, acreage, square footage, frontage, and mapping boundary lines shared herein has not been independently verified and is for purposes of marketing only. If exact measurements, access to property, or access to utilities is a concern, the property should be independently measured or investigated by the prospective buyer.
COOPERATING BROKER COMPENSATION: Please contact Listing Agent/Broker for terms of cooperating Buyer Broker compensation. Terms of compensation, if any, shall be ascertained by cooperating brokers before beginning efforts to accept the offer of cooperation. Buyer’s Agents/Brokers must be identified, by Buyers and/or their Brokers/Agents, on the first contact with Listing Broker/Agents to receive compensation. Otherwise, compensation will be at the sole discretion of the Seller, Broker, and Whitetail Properties Real Estate, LLC.
Real Estate Commissions and Cooperating Broker Compensation, if any, are fully negotiable and is not fixed or controlled by law, by Whitetail Properties Real Estate, LLC (or any division/trade name/DBA of), or its Agents/Brokers.