Private Getaway Hideaway With Electric, Well And Septic
Media
Summary
Property
- Type
- Recreational Land, Undeveloped Land, Hunting Land
Approximate Distances
| 4.2 mi | to Onoville Marina |
| 1.1 mi | to PA line |
| 5.8 mi | to Frewsburg |
| 4.2 mi | to Allegheny Reservoir |
Utilities
| Electric: | Onsite |
| Water: | Onsite |
Features/Improvements
- Small Game
- Big Game
- Seller's Mineral Rights Convey
Description
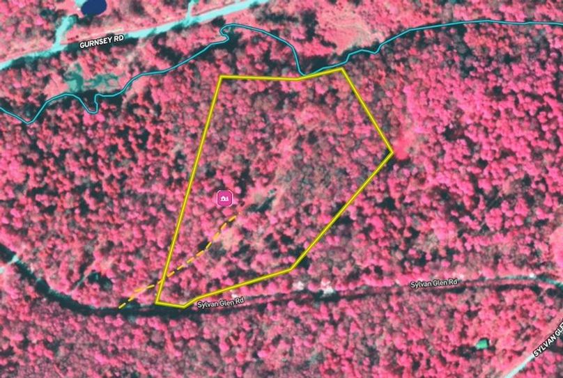
Discover the peace and privacy of this unique 8.5-acre retreat tucked away on a quiet private drive in the Sylvan Glen community. This secluded parcel offers a mix of open clearings and wooded surroundings, ideal for those seeking a recreational escape or a future cabin or country homesite. Whether you're dreaming of building a cabin, setting up a camper, creating food plots for deer hunting, or establishing your forever home, this versatile property offers a wide range of possibilities. Multiple clearings provide excellent potential for development, while existing structures, including a rustic cabin and a shed (conditions unknown, not entered), offer a glimpse of what's possible. Electric is already on site, and a well and septic system have been observed, adding convenience for those looking to build or stay off-grid. Located just minutes east of Frewsburg and minutes west of the Allegany Reservoir, you'll enjoy a balance of town conveniences with complete privacy and rural charm. This is a rare opportunity to own a beautiful piece of Chautauqua County land with recreational and residential potential. Bring your vision and enjoy nature, wildlife, and the serenity of your own private escape. ADDITIONAL INFORMATION: 8.5+/- acres, Secluded building site, GMOs Convey, Electric at the road, Well and septic on site. Sold AS IS. 1.1 miles to PA line, 5.8 miles to Frewsburg, NY, 4.2 miles to Onoville Marina, 4.2 miles to the Allegany Reservoir, Taxes (TBD). Buyer agent must be present on all showings; Do not send clients out without accompanying them. Disclaimer: Map illustrations are for reference purposes only and not the representations of the Listing agent or brokerage. Illustrations are provided by Land ID. Parties should be advised to confirm Illustrations with licensed professional service providers.
Details
-
Located in the peaceful Sylvan Glen community
-
Secluded setting off a private drive
-
8.5+/- acres with mix of woods and clearings
-
Electric service already on site
-
Well and septic system observed
-
Rustic cabin and shed included AS IS
-
Ideal for a recreational escape or homesite
-
Nearby Allegany Reservoir and Onoville Marina
-
GMOs Convey
-
Sold AS IS
-
Buyer agent must be present on all showings; Do not send clients out without accompanying them
-
MLS #11537296
Area Info
Other
Coordinates
42.01496, -79.05473
The information contained herein is deemed reliable but is not warranted or guaranteed by the Broker, its Agents, or the Seller. Access to property, access to utilities, or any measurements including but not limited to, acreage, square footage, frontage, and mapping boundary lines shared herein has not been independently verified and is for purposes of marketing only. If exact measurements, access to property, or access to utilities is a concern, the property should be independently measured or investigated by the prospective buyer.
COOPERATING BROKER COMPENSATION: Please contact Listing Agent/Broker for terms of cooperating Buyer Broker compensation. Terms of compensation, if any, shall be ascertained by cooperating brokers before beginning efforts to accept the offer of cooperation. Buyer’s Agents/Brokers must be identified, by Buyers and/or their Brokers/Agents, on the first contact with Listing Broker/Agents to receive compensation. Otherwise, compensation will be at the sole discretion of the Seller, Broker, and Whitetail Properties Real Estate, LLC.
Real Estate Commissions and Cooperating Broker Compensation, if any, are fully negotiable and is not fixed or controlled by law, by Whitetail Properties Real Estate, LLC (or any division/trade name/DBA of), or its Agents/Brokers.