Prime Farmstead Land With Barn Or Investment In Addison
Media
Summary
Property
- Type
- Farms, Recreational Land, Residential Land, Hunting Land
- Outbuildings
- Barn
Land Details
- Pasture
- Open
Approximate Distances
| 6.8 mi | to Addison |
| 5.2 mi | to Woodhull |
| 2.4 mi | to Elkland, PA |
Utilities
| Electric: | Onsite |
| Internet: | Onsite |
| Water: | Onsite |
Housing
Home
1BD / 1BA 1332± sqft Built in 1990Features/Improvements
- Small Game
- Big Game
Description
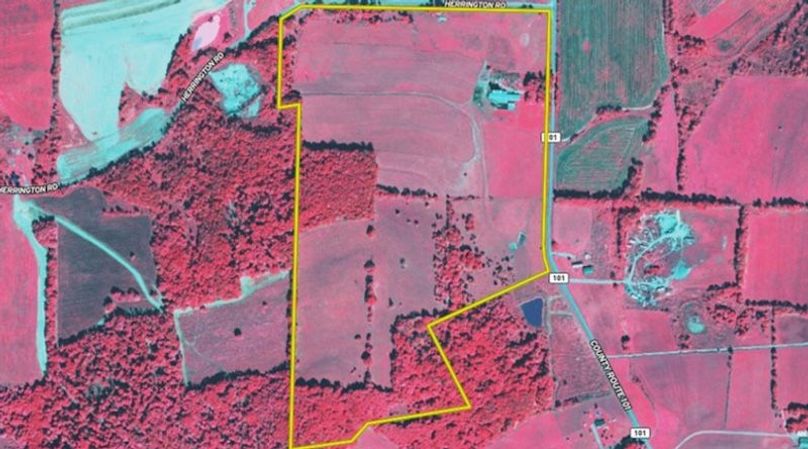
Welcome to 561 County Route 101, Addison, NY - 97.53+/- Acres of Fenced Pastureland with a Farmhouse and Barn. Located in the heart of South Steuben County farm country, this 97.53+/- acre property in Addison, NY, offers an outstanding opportunity for those seeking to raise livestock or restore a working farm. With multiple fenced pastures already in place and supporting a small herd of Angus cattle, the groundwork is set for your agricultural vision. The land features approximately 46+/- acres of gently rolling lower pasture and an additional 21+/- acres of upper pasture, making it ideal for rotational grazing or expanding herd capacity. The fencing is established, and the layout lends itself to practical and efficient livestock management. The balance of the acreage is woods and supports habitat for deer. A large 204' x 36' barn, though in need of some restoration, complements the farm's infrastructure and includes three silos, providing ample potential for feed storage and operational use. The modest farmhouse, originally built in 1900, is a charming single-bedroom home and awaits a handyman's touch to bring it back to life. Whether you're envisioning a cozy country residence or a revitalized farmstead, the bones are here to make it your own. This is a rare chance to acquire substantial acreage with productive pasture, essential infrastructure, and a home full of potential- all in a quiet rural setting just a short drive from town. ADDITIONAL INFORMATION: 1,755' +/- Road frontage on Rt 101, 1,807' +/- of Road frontage on Harrington Road, Electric, Wifi, Well, Barn, 3 Silos, Fenced pastures, Hardwoods, 6.8 miles to Addison, 5.2 miles to Woodhull, 2.4 miles to Elkland, PA Taxes $2935 (2024). For more information or to tour this property, contact us today. Buyer's agent must be present on all showings. Do not send clients out without accompanying them. Disclaimer: Map illustrations are for reference purposes only and not the representations of the Listing agent or brokerage. Illustrations are provided by Land ID. Parties should be advised to confirm Illustrations with licensed professional service providers.
Details
-
97.53+/- total acres in Steuben County farm country
-
46+/- acres of lower pasture and 21+/- acres of upper pasture
-
Remaining acreage is wooded, supporting local wildlife
-
Perimeter fencing and pasture layout ideal for rotational grazing
-
204' x 36' barn with 3 silos—restoration potential for storage and operations
-
1-bedroom farmhouse (built in 1900) ready for renovation
-
Over 3,500+/- feet of combined road frontage (County Route 101 & Harrington Rd)
-
Utilities on site: electric, well water, and available WiFi
-
Available 9/30/2025
-
Buyer's agent must be present on all showings, do not send clients out without accompanying them
-
MLS #11547439
Other
Coordinates
42.02488, -77.33142
Annual Taxes
$2,935
The information contained herein is deemed reliable but is not warranted or guaranteed by the Broker, its Agents, or the Seller. Access to property, access to utilities, or any measurements including but not limited to, acreage, square footage, frontage, and mapping boundary lines shared herein has not been independently verified and is for purposes of marketing only. If exact measurements, access to property, or access to utilities is a concern, the property should be independently measured or investigated by the prospective buyer.
COOPERATING BROKER COMPENSATION: Please contact Listing Agent/Broker for terms of cooperating Buyer Broker compensation. Terms of compensation, if any, shall be ascertained by cooperating brokers before beginning efforts to accept the offer of cooperation. Buyer’s Agents/Brokers must be identified, by Buyers and/or their Brokers/Agents, on the first contact with Listing Broker/Agents to receive compensation. Otherwise, compensation will be at the sole discretion of the Seller, Broker, and Whitetail Properties Real Estate, LLC.
Real Estate Commissions and Cooperating Broker Compensation, if any, are fully negotiable and is not fixed or controlled by law, by Whitetail Properties Real Estate, LLC (or any division/trade name/DBA of), or its Agents/Brokers.