Scenic Property With Buildable Opportunity And Deer Hunting In Wayland
Media
Summary
Property
- Type
- Recreational Land, Residential Land, Undeveloped Land, Hunting Land
- Road Surface
- Dirt
Land Details
- Tillable
Approximate Distances
| 4.1 mi | to Wayland |
| 4.5 mi | to Naples |
| 5.7 mi | to Cohocton |
| 4.2 mi | to I-390 |
| 8.7 mi | to Canandaigua Lake |
Utilities
| Electric: | Onsite |
Features/Improvements
- Small Game
- Big Game
Description
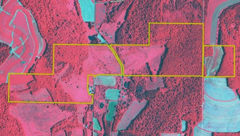
We are pleased to present a beautiful Livingston County property split by two roads, however offering multiple road frontages. Rolling in gentle topography, and picturesque in several locations, this property is an eye pleaser and imagination teaser. A complement of open fallow fields, tillable acres, and mixed hardwoods, provides a variety of uses that can be discovered here. Farming, pasturing, hunting, dream homes and recreational use are all doable here and can largely be enjoyed in combination. The west parcel on Miller Road has a sloping road front leading to woods and 5 +/- tillable acres on top. There are several fallow fields that can be repurposed into food plots bordering the timber or ag fields creating a transition of habitat. The east side on Pardee Hollow Road, has the picturesque entry and presentation of where a dream home or country living cabin could be built. The field is mostly grass and not invaded by woody brush, and is back dropped with a hardwood stand with a significant trail system providing access throughout the east side. A 7.75 +/- acre tillable field is also on the top elevation, where the property continues into Ontario Co. Noted for large deer populations and historically proven to produce mature bucks, the owner had enjoyed many seasons of successful harvests of Big Bucks as evidenced by the pictures. ADDITIONAL INFORMATION: GMO’s Convey, no gas wells on the property, Dual road frontage 2056’ Pardee Hollow Road & 1085’ Miller Road, Cleared for homes or cabins, Beautiful views on each side of the parcels, Mature trees, Deer Hunting excellent, History of mature bucks, Electric on site, Multiple entrance choices, Small tillable income on west side 10 acres of $500/year through 2027. 4.1 miles to Wayland, NY, 4.5 miles to Naples, 5.7 miles to Cohocton, 4.2 miles to I-390, 8.7 miles to Canandaigua Lake Sold AS IS.
The information contained herein is deemed reliable but is not warranted or guaranteed by the Broker, its Agents, or the Seller. Access to property, access to utilities, or any measurements including but not limited to, acreage, square footage, frontage, and mapping boundary lines shared herein has not been independently verified and is for purposes of marketing only. If exact measurements, access to property, or access to utilities is a concern, the property should be independently measured or investigated by the prospective buyer.
COOPERATING BROKER COMPENSATION: Please contact Listing Agent/Broker for terms of cooperating Buyer Broker compensation. Terms of compensation, if any, shall be ascertained by cooperating brokers before beginning efforts to accept the offer of cooperation. Buyer’s Agents/Brokers must be identified, by Buyers and/or their Brokers/Agents, on the first contact with Listing Broker/Agents to receive compensation. Otherwise, compensation will be at the sole discretion of the Seller, Broker, and Whitetail Properties Real Estate, LLC.
Real Estate Commissions and Cooperating Broker Compensation, if any, are fully negotiable and is not fixed or controlled by law, by Whitetail Properties Real Estate, LLC (or any division/trade name/DBA of), or its Agents/Brokers.
Sold Property
For more information or to see additional properties currently for sale see Paul Vaicunas' listings.