186 Acre Working And Recreational Farm WITH MINERALS – Pasture, Timber, Pond And Views
Reduced
Media
Summary
Property
- Type
- Farms, Ranches, Recreational Land, Residential Land, Timberland, Undeveloped Land, Hunting Land, Horse Property
- Road Frontage
- County Road
- Road Surface
- Pavement, Gravel, Dirt
- Fencing
- Partial
Land Details
- Pasture
- Timber
- Grass
- Hay
- Pond
Approximate Distances
| 4 Mi | to Jasper |
| 25 M | to Woodville |
| 51 Mi | to Lufkin |
| 73 Mi | to Beaumont |
| 102 Mi | to Lake Charles |
| 132 Mi | to Houston |
Utilities
| Electric: | Nearby |
| Water: | Onsite |
Features/Improvements
- Small Game
- Big Game
- Predators
- Fish
- Upland Game
- Creek/Spring
- Food Plot
- Trail Network
- Internal Road System
- Gated Entrance
- Seller's Mineral Rights Convey
Description
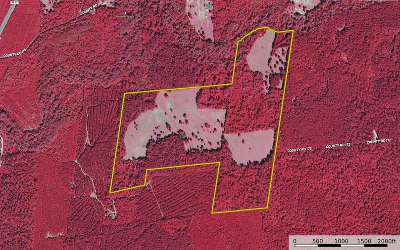
PRICE REDUCED! This is a well-rounded 186 +/- acre tract with a solid mix of open ground and timber, ideal for someone looking for usable land with real potential. About 50 acres are improved hay pasture, with good grass and gentle ground that’s been maintained for productivity. The rest of the property is made up of mature pine and hardwood timber, including some areas of plantation pine and scattered oaks. It has over 100 feet of elevation change, giving you long views and rolling terrain that drains well and lays nicely for both livestock and hay production. Sandy Creek runs along a portion of the property offering fishing and recreational opportunities. This ranch also boasts a fishing pond and plenty of wildlife, if hunting and fishing are your thing. An old gravel well pad sits on the property and would make a great spot for equipment storage, a hunting camp, or even a shooting range. Access is via a recorded easement on a maintained private road, and electricity is nearby. There is a water well on site. Mineral rights are included in this sale! This is the kind of place that’s hard to find — productive pasture, mature timber, water, and hunting — all in one tract. It’s ready to work, hunt, or build on. Extremely close to town with all the amenities, yet tucked away in the country with peace and quiet.
Details
-
Over 100 ft of elevation change
-
Mature pine & hardwood timber
-
Excellent hunting
-
Approximately 50 Acres of pasture
-
Beautiful fishing pond
-
Sweeping views and rolling topography
-
Excellent improved hay meadows
-
Areas of plantation pine for future income potential
-
Sandy Creek frontage
-
Minerals are included
-
Water well on site
Other
Coordinates
30.9055, -94.0589
The information contained herein is deemed reliable but is not warranted or guaranteed by the Broker, its Agents, or the Seller. Access to property, access to utilities, or any measurements including but not limited to, acreage, square footage, frontage, and mapping boundary lines shared herein has not been independently verified and is for purposes of marketing only. If exact measurements, access to property, or access to utilities is a concern, the property should be independently measured or investigated by the prospective buyer.
COOPERATING BROKER COMPENSATION: Please contact Listing Agent/Broker for terms of cooperating Buyer Broker compensation. Terms of compensation, if any, shall be ascertained by cooperating brokers before beginning efforts to accept the offer of cooperation. Buyer’s Agents/Brokers must be identified, by Buyers and/or their Brokers/Agents, on the first contact with Listing Broker/Agents to receive compensation. Otherwise, compensation will be at the sole discretion of the Seller, Broker, and Whitetail Properties Real Estate, LLC.
Real Estate Commissions and Cooperating Broker Compensation, if any, are fully negotiable and is not fixed or controlled by law, by Whitetail Properties Real Estate, LLC (or any division/trade name/DBA of), or its Agents/Brokers.