49 Acre Honey Hole In Newton County
New
Media
Summary
Property
- Type
- Farms, Recreational Land, Timberland, Undeveloped Land, Hunting Land
- Road Frontage
- State Highway
- Road Surface
- Blacktop/Asphalt
Land Details
- Timber
Approximate Distances
| 2.5 Mi | to Newton |
| 13 Mi | to Jasper |
| 68 Mi | to Lufkin |
| 70 Mi | to Beaumont |
| 140 Mi | to Houston |
Utilities
| Electric: | Nearby |
Features/Improvements
- Small Game
- Big Game
- Predators
- Waterfowl
- Fish
- Creek/Spring
- Wetlands
- Slough
Description
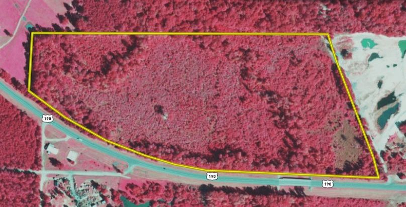
This farm consists of 49.398 +/- unrestricted acres on US Hwy 190 in Newton County, just west of the city of Newton. Approx. 2,800 ft of asphalt road frontage with electric available at the highway. A creek runs through the property, and during rainy seasons, beavers build dams that create a natural duck marsh on the east side. This area is full of smartweed, lined with cypress trees, and creates a beautiful setting for a morning duck hunt! This land is heavily wooded, with nearly every species of oak, plus some pine mixed in as well. There is tons of sign of deer and hogs on the property, with rubs, tracks, and scrapes scattered about. Most of the tract lies in the FEMA 100-year floodplain, but there's a portion out of the flood zone that could be used for future building. Property is currently ag exempt. Could make a strong recreational property with long-term value, or a development tract with this much road frontage! No water currently on site. This one is PRICED RIGHT! Don't miss out.
Details
-
Around 2800 ft of road frontage
-
Buildable area out of floodplain
-
Pine and hardwood timber
-
Duck slough and marsh
-
Creek frontage
-
Populations of deer, hogs, and ducks
-
Great investment and potential development tract
Other
Coordinates
30.8535, -93.8034
The information contained herein is deemed reliable but is not warranted or guaranteed by the Broker, its Agents, or the Seller. Access to property, access to utilities, or any measurements including but not limited to, acreage, square footage, frontage, and mapping boundary lines shared herein has not been independently verified and is for purposes of marketing only. If exact measurements, access to property, or access to utilities is a concern, the property should be independently measured or investigated by the prospective buyer.
COOPERATING BROKER COMPENSATION: Please contact Listing Agent/Broker for terms of cooperating Buyer Broker compensation. Terms of compensation, if any, shall be ascertained by cooperating brokers before beginning efforts to accept the offer of cooperation. Buyer’s Agents/Brokers must be identified, by Buyers and/or their Brokers/Agents, on the first contact with Listing Broker/Agents to receive compensation. Otherwise, compensation will be at the sole discretion of the Seller, Broker, and Whitetail Properties Real Estate, LLC.
Real Estate Commissions and Cooperating Broker Compensation, if any, are fully negotiable and is not fixed or controlled by law, by Whitetail Properties Real Estate, LLC (or any division/trade name/DBA of), or its Agents/Brokers.