Sold

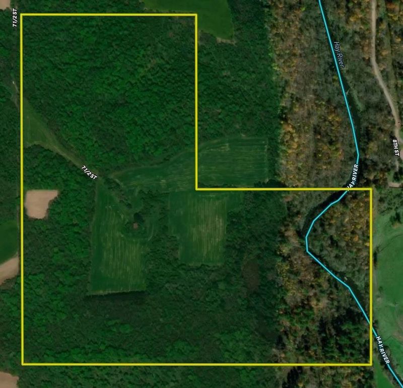
Secluded Wooded Retreat With Income Land, Hay River And Charming Hidden Cabin

Acreage 120 Acres +/-
Price Sold