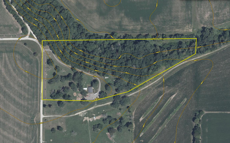
Efficient Country Home On 13.41± Acres With Scenic Views, Wildlife, And Endless Potential
Media
Summary
Property
- Type
- Recreational Land, Residential Land, Timberland, Hunting Land, Horse Property
- Road Frontage
- Township Road
- Road Surface
- Gravel
- Fencing
- Low Fence
Land Details
- Open
Approximate Distances
| 5.5 mi | to Williamsfield |
| 6 mi | to West Jersey |
| 9 mi | to Victoria |
| 13 mi | to Oak Run |
| 15 mi | to Princeville |
| 21 mi | to Knoxville |
Utilities
| Water: | Onsite |
| Sewer: | Onsite |
| Electric: | Onsite |
| Propane: | Onsite |
| Internet: | Onsite |
| Cable: | Onsite |
Features/Improvements
- Small Game
- Big Game
- Predators
Description
Find peace, privacy, and purpose on this stunning 13.41± acre country property nestled near the scenic Spoon River in southwestern Stark County. Surrounded by rolling timber and abundant wildlife, this property offers the perfect balance of seclusion and convenience, with easy access to nearby towns and outdoor recreation.
The well-insulated, energy-efficient home sits in a sunny clearing atop a beautiful hardwood ridge, offering panoramic views of the surrounding landscape. Designed for year-round comfort, the residence combines modern sustainability with the warmth and charm of country living. Inside, you’ll find inviting living spaces filled with natural light, thoughtfully crafted for both relaxation and productivity.
Step outside and enjoy the freedom this land provides, whether it’s hiking through your own woods, hunting, gardening, watching the seasons change, or simply listening to the quiet. The acreage includes ample open ground for expansion, hobby farming, or building additional structures to suit your vision.
Whether you’re seeking a peaceful full-time residence, a rejuvenating weekend retreat, or an income-generating investment such as a vacation rental or hunting property, this versatile property delivers. With its natural beauty, efficient design, and endless possibilities, this country haven is more than just a home — it’s a lifestyle. Reach out to Whitetail Properties listing agents Brent Reneau or Clark Cummings today to learn more or schedule your showing!
Details
-
13.41± country acres featuring open ground, mature timber, and rolling hardwood ridges
-
Well-insulated, efficient home built in 2014 designed for comfort and low utility costs
-
Scenic hilltop views with stunning sunrises and peaceful surroundings
-
Excellent hunting opportunities for big deer and wild turkey in a proven area
-
Timber value for long-term investment and land appreciation
-
Trail system throughout the property for easy access and recreation
-
Room for a shop or garage—ideal for storage, hobbies, or equipment
-
Versatile land use: pasture, recreation, or hobby farming
-
2 bedroom, 1 bathroom versatile home ideal for many lifestyles
-
Previously surveyed
Other
Coordinates
40.981, -89.9835
Annual Taxes
$536
The information contained herein is deemed reliable but is not warranted or guaranteed by the Broker, its Agents, or the Seller. Access to property, access to utilities, or any measurements including but not limited to, acreage, square footage, frontage, and mapping boundary lines shared herein has not been independently verified and is for purposes of marketing only. If exact measurements, access to property, or access to utilities is a concern, the property should be independently measured or investigated by the prospective buyer.
COOPERATING BROKER COMPENSATION: Please contact Listing Agent/Broker for terms of cooperating Buyer Broker compensation. Terms of compensation, if any, shall be ascertained by cooperating brokers before beginning efforts to accept the offer of cooperation. Buyer’s Agents/Brokers must be identified, by Buyers and/or their Brokers/Agents, on the first contact with Listing Broker/Agents to receive compensation. Otherwise, compensation will be at the sole discretion of the Seller, Broker, and Whitetail Properties Real Estate, LLC.
Real Estate Commissions and Cooperating Broker Compensation, if any, are fully negotiable and is not fixed or controlled by law, by Whitetail Properties Real Estate, LLC (or any division/trade name/DBA of), or its Agents/Brokers.