Land Adjacent To Thousands Of Acres Of Public Land On Jackson/ Brown County Line
New
Media
Summary
Property
- Type
- Recreational Land, Residential Land, Timberland, Hunting Land
- Road Frontage
- County Road
- Road Surface
- Gravel
Land Details
- Timber
- Pond
Approximate Distances
| 17 mi | to Nashville |
| 21 mi | to Seymour |
| 24 mi | to Columbus |
| 28 mi | to Bedford |
| 65 mi | to Indianapolis |
| 73 mi | to Louisville |
Utilities
| Electric: | Nearby |
| Water: | Nearby |
Features/Improvements
- Small Game
- Big Game
- Upland Game
- Predators
- Fish
- Trail Network
- Seller's Mineral Rights Convey
Description
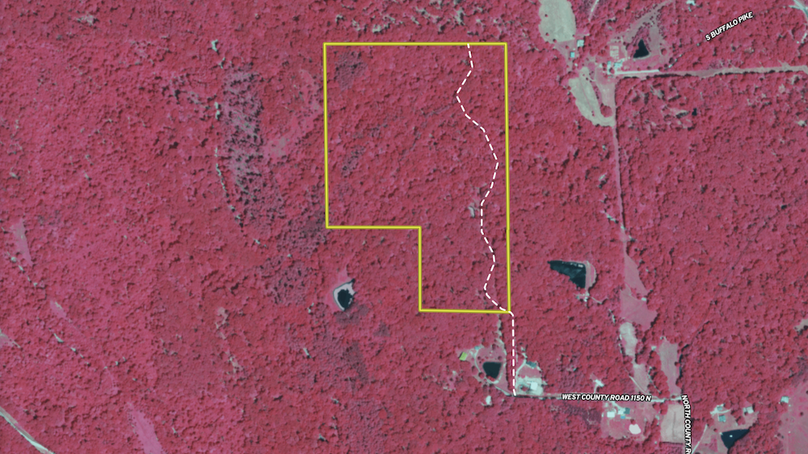
This wooded property is located in the hills along the Jackson/Brown County line in a low-traffic, rural setting. The tract sits at the end of a dead-end road, resulting in minimal vehicle traffic and a secluded feel.
The land is primarily wooded with mature hardwoods and rolling to hilly terrain typical of this area. There is noted timber value on the property, along with long open views through portions of the hillsides. A small pond is located on the tract and may offer potential for expansion.
One of the defining features of this property is its adjacency to the Hoosier National Forest. More than 700 acres of public forest land lie between this parcel and the next public roadway, providing extensive access to publicly managed ground. The Hoosier National Forest encompasses thousands of acres in this region and is renowned for its mature hardwood forests and diverse recreational opportunities, including hiking, hunting, and wildlife observation. This adjacency significantly extends usable recreational acreage without ownership or maintenance responsibilities.
The property was formerly used as a full-time residence, though it has not been occupied in several years. Access is provided by an easement that historically served as the driveway when the residence was occupied. The surveyor is working on marking the easement for clarity. Buyers should confirm utility availability and capacity if future building is contemplated.
While the property offers a secluded setting, State Road 135 is located nearby, providing convenient north-south travel. This allows reasonable access to nearby communities, including Brownstown, Seymour, and Columbus. The combination of timbered acreage, utility access, public land adjacency, and location makes this tract suitable for recreational use, land investment, or potential future residential use.
Details
-
Located on the Jackson/Brown County line
-
End-of-road setting with minimal traffic
-
Borders Hoosier National Forest
-
Over 700 acres of public land between property and next road
-
Mature hardwood timber with noted timber value
-
Rolling to hilly terrain with long views
-
Small pond on the property
-
Close to State Road 135 for north–south travel
Area Info
Other
Coordinates
39.0465, -86.1888
Annual Taxes
$215
The information contained herein is deemed reliable but is not warranted or guaranteed by the Broker, its Agents, or the Seller. Access to property, access to utilities, or any measurements including but not limited to, acreage, square footage, frontage, and mapping boundary lines shared herein has not been independently verified and is for purposes of marketing only. If exact measurements, access to property, or access to utilities is a concern, the property should be independently measured or investigated by the prospective buyer.
COOPERATING BROKER COMPENSATION: Please contact Listing Agent/Broker for terms of cooperating Buyer Broker compensation. Terms of compensation, if any, shall be ascertained by cooperating brokers before beginning efforts to accept the offer of cooperation. Buyer’s Agents/Brokers must be identified, by Buyers and/or their Brokers/Agents, on the first contact with Listing Broker/Agents to receive compensation. Otherwise, compensation will be at the sole discretion of the Seller, Broker, and Whitetail Properties Real Estate, LLC.
Real Estate Commissions and Cooperating Broker Compensation, if any, are fully negotiable and is not fixed or controlled by law, by Whitetail Properties Real Estate, LLC (or any division/trade name/DBA of), or its Agents/Brokers.