Ready To Go Cattle Farm With Building Lots, Water, Electric, Multiple Pastures
New
Media
Summary
Property
- Type
- Farms, Recreational Land, Residential Land, Undeveloped Land, Horse Property
- Road Frontage
- County Road
- Road Surface
- Blacktop/Asphalt
- Fencing
- Low Fence, Partial
- Outbuildings
- Barn
Land Details
- Pasture
- Grass
- Hay
- Open
Approximate Distances
| 8 mi | to Vevay |
| 17 mi | to Rising Sun |
| 28 mi | to Madison |
| 51 mi | to Cincinnati, OH |
| 90 mi | to Lexington, KY |
| 77 mi | to Louisville, KY |
Utilities
| Electric: | Onsite |
| Water: | Onsite |
Features/Improvements
- Small Game
- Big Game
- Livestock Facilities
- Equine Facilities
- Seller's Mineral Rights Convey
Description
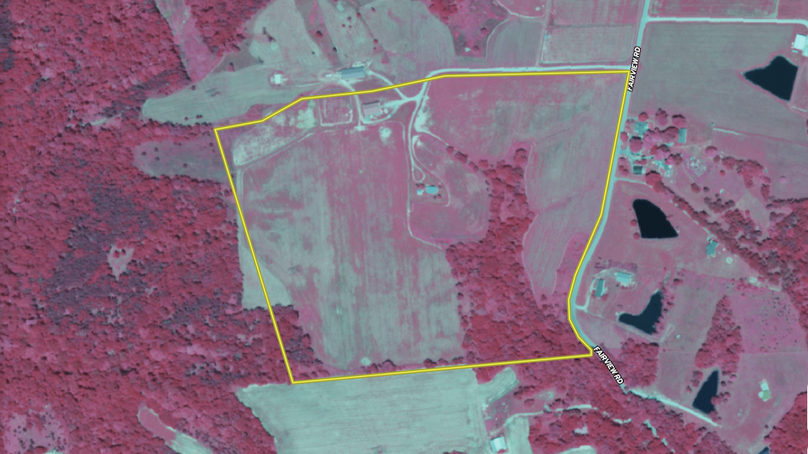
This former cattle farm in Switzerland County, Indiana, is being offered as a whole, approximately 49.34 acres, or divided into four separate tracts. The property features a diverse mix of pasture, hay fields, wooded acreage, and existing agricultural improvements, providing multiple land-use options.
Approximately 25 acres consist of open pasture and reclaimed hay fields that were previously used for livestock production. These fields have been cleaned up and are currently maintained for hay, while electric and water remain in place along the back field for future agricultural use. Several thousand feet of existing wood fencing and remaining corrals are still present and could immediately support livestock with minimal effort.
Roughly 8 acres of wooded ground add additional diversity and recreational value. These wooded areas can provide wildlife habitat, potential hunting opportunities, or natural separation between uses. The balance of the acreage includes open ground and improved areas surrounding the farmstead and outbuildings.
Multiple agricultural buildings are located on the property, all with electric service. The structures are usable in their current condition and offer flexibility for equipment storage, livestock use, workshops, or general farm operations. While functional as-is, they could also be modified to meet a new owner’s specific needs.
The property offers approximately 1,300 feet of road frontage, providing convenient access and potential for multiple drive lanes or future division, if desired. With no known restrictions, the land may be suited for continued agricultural use, a hobby farm, homestead, storage, or a combination of residential, farming, and recreational purposes, including hunting.
The property is conveniently located just a short drive from Vevay, Indiana, and Florence, Kentucky, providing access to dining, shopping, and entertainment. Belterra Casino and Golf Course is nearby, and the bridge into Kentucky offers easy access for travel between states.
Details
-
49.34± acres offered whole or divided into 4 tracts
-
Approximately 25 acres of pasture and reclaimed hay fields
-
Approximately 8 acres of wooded ground
-
Over 1,300 feet of road frontage
-
Multiple barns and agricultural buildings with electric
-
Water available along the back field
-
Existing wood fencing and livestock corrals
-
Suitable for farming, homesteading, storage, or recreation
-
No known restrictions
Area Info
Other
Coordinates
38.8401, -85.0827
Annual Taxes
$3,845
The information contained herein is deemed reliable but is not warranted or guaranteed by the Broker, its Agents, or the Seller. Access to property, access to utilities, or any measurements including but not limited to, acreage, square footage, frontage, and mapping boundary lines shared herein has not been independently verified and is for purposes of marketing only. If exact measurements, access to property, or access to utilities is a concern, the property should be independently measured or investigated by the prospective buyer.
COOPERATING BROKER COMPENSATION: Please contact Listing Agent/Broker for terms of cooperating Buyer Broker compensation. Terms of compensation, if any, shall be ascertained by cooperating brokers before beginning efforts to accept the offer of cooperation. Buyer’s Agents/Brokers must be identified, by Buyers and/or their Brokers/Agents, on the first contact with Listing Broker/Agents to receive compensation. Otherwise, compensation will be at the sole discretion of the Seller, Broker, and Whitetail Properties Real Estate, LLC.
Real Estate Commissions and Cooperating Broker Compensation, if any, are fully negotiable and is not fixed or controlled by law, by Whitetail Properties Real Estate, LLC (or any division/trade name/DBA of), or its Agents/Brokers.