Secluded Hunting Farm With Timber, Pond, and CRP Income
Media
Summary
Property
- Type
- Recreational Land, Timberland, Hunting Land
- Road Surface
- Dirt
- Fencing
- Partial
Land Details
- Tillable
- Pond
- Enrolled in Government Program
Features/Improvements
- Big Game
- Upland Game
- Small Game
- Trail Network
- Internal Road System
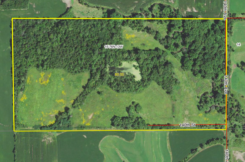
Description
Thirty-four acres are enrolled in the Conservation Reserve Program, which compensates the property owner in exchange for promoting soil and water conservation with wildlife habitat. The contract pays $6,424/yr through 2023. Its combination of native grasses and forbs is prime habitat for deer, pheasants, quail, and a number of other small game species. A thick stand of timber across the property creates great bedding areas.
Rolling terrain and edge allow for predictable deer movement patterns, and the timber is extremely thick. A secluded 1.5 acre pond in the middle of the farm is home to wood ducks. Although the depth is unknown, the owner has never seen it dry up, and it's an attractive water source for the resident wildlife. Camping near this pond would be fun!
If you’ve been waiting for a reliable hunting property with income, you’ll want to take a close look at this one! Showings are by appointment only with advanced notice. Contact the listing agent for more information.
The information contained herein is deemed reliable but is not warranted or guaranteed by the Broker, its Agents, or the Seller. Access to property, access to utilities, or any measurements including but not limited to, acreage, square footage, frontage, and mapping boundary lines shared herein has not been independently verified and is for purposes of marketing only. If exact measurements, access to property, or access to utilities is a concern, the property should be independently measured or investigated by the prospective buyer.
COOPERATING BROKER COMPENSATION: Please contact Listing Agent/Broker for terms of cooperating Buyer Broker compensation. Terms of compensation, if any, shall be ascertained by cooperating brokers before beginning efforts to accept the offer of cooperation. Buyer’s Agents/Brokers must be identified, by Buyers and/or their Brokers/Agents, on the first contact with Listing Broker/Agents to receive compensation. Otherwise, compensation will be at the sole discretion of the Seller, Broker, and Whitetail Properties Real Estate, LLC.
Real Estate Commissions and Cooperating Broker Compensation, if any, are fully negotiable and is not fixed or controlled by law, by Whitetail Properties Real Estate, LLC (or any division/trade name/DBA of), or its Agents/Brokers.
Sold Property
For more information or to see additional properties currently for sale see Ben Harshyne's listings.