Neosho County Triple Threat
New
Media
Summary
Property
- Type
- Recreational Land, Hunting Land
Features/Improvements
- Small Game
- Big Game
- Predators
- Waterfowl
- Wetlands
- Tree Stands/Blinds
- Water Control Structures
Description
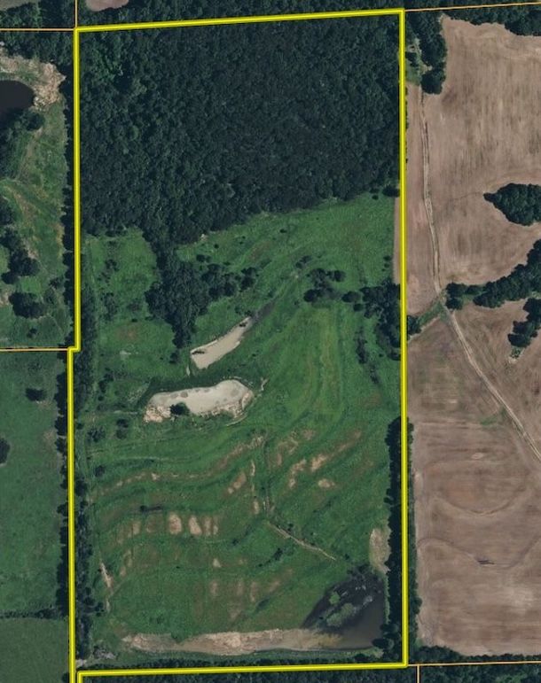
This Neosho County 83.46-acre property presents a unique opportunity for outdoor recreation, with a diverse range of game, including whitetail deer, waterfowl, and wild turkey. The northern area features a mature timbered ridge top, while the southern portion consists of robust stands of warm-season grasses. This combination offers superior cover and forage, creating a high-quality habitat that supports mature whitetails year-round. And the trail cameras prove how great it supports mature whitetails. There is a blind set up for rifle hunting and observation, while another blind allows for exciting bow hunts in the timber. The timbered ridge also serves as an excellent environment for turkey roosting, providing consistent opportunities for hunters.
Its immediate proximity to the Neosho River and just under four acres of impounded water in three different pools, the site is ideally suited for memorable waterfowl hunting experiences. A secluded entrance enhances privacy and shields the property from road traffic, making it a desirable retreat for dedicated outdoor enthusiasts. Please reach out today to get a private showing of this property to make many future memories on.
Details
-
Secluded entrance
-
2 deer blinds and feeders
-
Waterfowl hunting
-
Warm season grass
-
Location to Neosho River
-
Great deer history
-
Thriving turkey population
-
Seller is a licensed real estate agent
Other
Coordinates
37.40305, -95.16995
The information contained herein is deemed reliable but is not warranted or guaranteed by the Broker, its Agents, or the Seller. Access to property, access to utilities, or any measurements including but not limited to, acreage, square footage, frontage, and mapping boundary lines shared herein has not been independently verified and is for purposes of marketing only. If exact measurements, access to property, or access to utilities is a concern, the property should be independently measured or investigated by the prospective buyer.
COOPERATING BROKER COMPENSATION: Please contact Listing Agent/Broker for terms of cooperating Buyer Broker compensation. Terms of compensation, if any, shall be ascertained by cooperating brokers before beginning efforts to accept the offer of cooperation. Buyer’s Agents/Brokers must be identified, by Buyers and/or their Brokers/Agents, on the first contact with Listing Broker/Agents to receive compensation. Otherwise, compensation will be at the sole discretion of the Seller, Broker, and Whitetail Properties Real Estate, LLC.
Real Estate Commissions and Cooperating Broker Compensation, if any, are fully negotiable and is not fixed or controlled by law, by Whitetail Properties Real Estate, LLC (or any division/trade name/DBA of), or its Agents/Brokers.